2026年05月02日

ハナヒョウタンボク日記(64)枝先ぐんぐん伸びる(5/1)

****************
【これまでの経過】
2023、2024年とハナヒョウタンボクの挿し木に挑戦し、ともに失敗に終わりましたが、昨年2025年に三たび挑戦しました。
昨年(2025)4月19日、2つの鉢に計10本の枝を差し、その後の成長を観察してきました。
2023年、2024年と大きな違いは、(1)地植えから鉢植え(赤玉中)にしたこと、(2)日当たりの良い場所から、あまり良くない場所に変えたこと。この2点です。
今年(2026)に入って、4本に芽が出て、成長を観察中。
****************

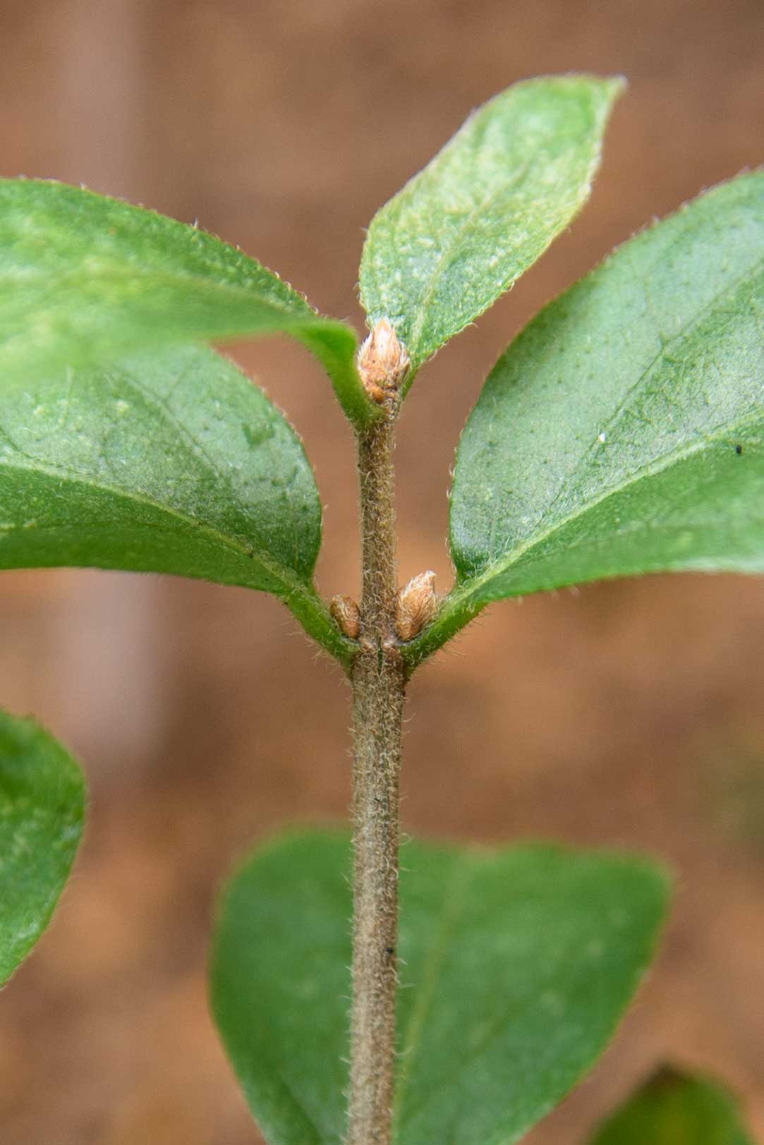
前回(4/24)から1週間ぶりの観察を行いました。
成長は順調で、この1週間で枝先が伸びて、葉の長さも大きくなっていました。

以下、5月1日時点の観察結果です。

20260501ハナヒョウタンボク鉢植え挿し木.jpg
2026年5月1日 軽井沢草花館 ハナヒョウタンボク 挿し木2年目

20260424ハナヒョウタンボク鉢植え挿し木.jpg
2026年4月24日 軽井沢草花館 ハナヒョウタンボク 挿し木2年目

20260417ハナヒョウタンボク鉢植え挿し木.jpg
2026年4月17日 軽井沢草花館 ハナヒョウタンボク 挿し木2年目

20260410ハナヒョウタンボク鉢植え挿し木re.jpg
2026年4月10日 軽井沢草花館 ハナヒョウタンボク 挿し木2年目

(メモ)
(2025年)
4月19日:挿し木開始
6月25日:枝の長さ22_、葉の長さ(最長)15_(A1)
6月30日:枝の長さ30_、葉の長さ(最長)20_(A1)
7月5日:枝の長さ37_、葉の長さ(最長)22_(A1)
7月10日:枝の長さ38_、葉の長さ(最長)24_、枝の先端の葉の長さ18_(A1)
7月15日:枝の長さ38_、葉の長さ(最長)25_、枝の先端の葉の長さ20_(A1)
7月20日:枝の長さ40_、葉の長さ(最長)25_、枝の先端の葉の長さ21_(A1)
 ↓(途中省略)
8月9日:枝の長さ40_、葉の長さ(最長)25_、枝の先端の葉の長さ21_で7/20から変化なし(A1)
8月9日:節に冬芽と思われる突起が複数(長さ1ミリ未満)と新芽?と思うような1センチ程度の細長い茎のようなもの1本を確認(A1)
8月14日:冬芽(A1)と新芽と思われる部分に変化なし→その後成長せず。
8月19日:冬芽のサイズがわずかに成長(A1)
8月24日:新たな挿し木(1本)から冬芽確認(A2)
9月13日:新たな挿し木(2本)から冬芽確認(A3、B1)、4本の挿し木からはまだ冬芽確認できず
9月18日:新たな挿し木(4本)から冬芽確認(A4、A5、A6、B2、すべての挿し木で冬芽を確認)
9月23日:A5の葉が5枚から1枚に、B2の冬芽がわずかに大きく。
9月28日:8つの挿し木のうち、4本の冬芽がわずかに大きく
10月3日:B2の冬芽がわずかに大きく
10月8日:一部黄葉&落葉、冬芽サイズ微増
10月13日:オニヒョウタンボクの冬芽との比較(B1)
10月18日:オニヒョウタンボクの冬芽との比較(B1)
10月23日:黄葉進む、冬芽の変化不明
10月28日:冬芽の変化見られず、一部落葉
11月3日:冬芽の変化見られず、一部落葉
11月10日:冬芽の変化見られず、葉っぱがくすむ、一部落葉
(2026年)
3月31日:Aの鉢6本のうち3本、Bの鉢4本のうち1本の冬芽が膨らんで芽吹きの兆候が見られました。
4月10日:Aの鉢6本のうち3本、Bの鉢4本のうち1本の冬芽が芽吹きを始めました。
4月17日:Aの鉢6本のうち3本、Bの鉢4本のうち1本全てで葉が開き、枝も伸び始めました。
4月24日:4本が順調に成長を続けていました。
5月1日:枝が伸び、葉も大きく。

【挿し木 鉢植え1

20260501ハナヒョウタンボク鉢植え挿し木A01-01.jpg
2026年5月1日 軽井沢草花館 ハナヒョウタンボクの挿し木1(鉢植えで2025年4月19日に6本)

【挿し木1のA-1

20260501ハナヒョウタンボク鉢植え挿し木A01-a01.jpg
2026年5月1日 軽井沢草花館 ハナヒョウタンボクの挿し木 1のA-1

下写真:樹高は約11aで前回(4/24)から1週間で2aほど高くなりました。

20260501ハナヒョウタンボク鉢植え挿し木A01-a02.jpg
2026年5月1日 軽井沢草花館 ハナヒョウタンボクの挿し木 1のA-1 樹高約11a

下写真:葉の長さは大きなもので29_ありました。前回26aから3_くらい長くなりました。

20260501ハナヒョウタンボク鉢植え挿し木A01-a03.jpg
2026年5月1日 軽井沢草花館 ハナヒョウタンボクの挿し木 1のA-1 葉の長さ29_

挿し木1 A-2

20260501ハナヒョウタンボク鉢植え挿し木A01-b01.jpg
2026年5月1日 軽井沢草花館 ハナヒョウタンボクの挿し木1のA-2

樹高は10a(30-20)といったところでした。前回(4/24)より2aくらい伸びました。

20260501ハナヒョウタンボク鉢植え挿し木A01-b02.jpg
2026年5月1日 軽井沢草花館 ハナヒョウタンボクの挿し木 1のA-2

下写真:葉の長さは大きなもので21_ありました。1週間前の18_から3_ほど伸びていました。

20260501ハナヒョウタンボク鉢植え挿し木A01-b03.jpg
2026年5月1日 軽井沢草花館 ハナヒョウタンボクの挿し木1のA-2 葉の長さ21_

挿し木1 A-3

20260501ハナヒョウタンボク鉢植え挿し木A01-c01.jpg
2026年5月1日 軽井沢草花館 ハナヒョウタンボクの挿し木1 A-3

樹高は約14aで、前回(4/24)より1.5a高くなりました。

20260501ハナヒョウタンボク鉢植え挿し木A01-c02.jpg
2026年5月1日 軽井沢草花館 ハナヒョウタンボクの挿し木 1のA-3

下写真:葉の長さは大きなもので30_で前回(4/24)より4_長くなりました。現時点で一番の大きさ(長さ)です。
そして、枝が伸びたことで、株全体の幅が13aとなり、枝ぶりが横に広がてきました。

20260501ハナヒョウタンボク鉢植え挿し木A01-c03.jpg
2026年5月1日 軽井沢草花館 ハナヒョウタンボクの挿し木1 A-3

【挿し木1 A-4、A-5、A-6
この3本は枯れてしまったので観察せず。

【挿し木 鉢植え2

20260501ハナヒョウタンボク鉢植え挿し木B01-a01.jpg
2026年5月1日 軽井沢草花館 ハナヒョウタンボクの挿し木2(鉢植えで2025年4月19日に4本)

【挿し木2 B-1

樹高は約7.5aで、前回(4/25)より1aほど高くなりました。

20260501ハナヒョウタンボク鉢植え挿し木B01-a02.jpg
2026年5月1日 軽井沢草花館 ハナヒョウタンボクの挿し木2 B-1

下写真:葉の長さは大きなもので22_あり、前回(4/24)より4_長くなりました。

20260501ハナヒョウタンボク鉢植え挿し木B01-a03.jpg
2026年5月1日 軽井沢草花館 ハナヒョウタンボクの挿し木2 B-1

【挿し木2 B-2、B-3、B-4

この3本は枯れてしまったので観察なし。

以上
posted by kusabanakan at 23:32| ハナヒョウタンボク日記

2026年04月24日

ハナヒョウタンボク日記(63)若葉広がり、順調に成長(4/24)

****************
【これまでの経過】
2023、2024年とハナヒョウタンボクの挿し木に挑戦し、ともに失敗に終わりましたが、昨年2025年に三たび挑戦しました。
昨年(2025)4月19日、2つの鉢に計10本の枝を差し、その後の成長を観察してきました。
2023年、2024年と大きな違いは、(1)地植えから鉢植え(赤玉中)にしたこと、(2)日当たりの良い場所から、あまり良くない場所に変えたこと。この2点です。
今年(2026)に入って、4本に芽が出て、成長を観察中。
****************

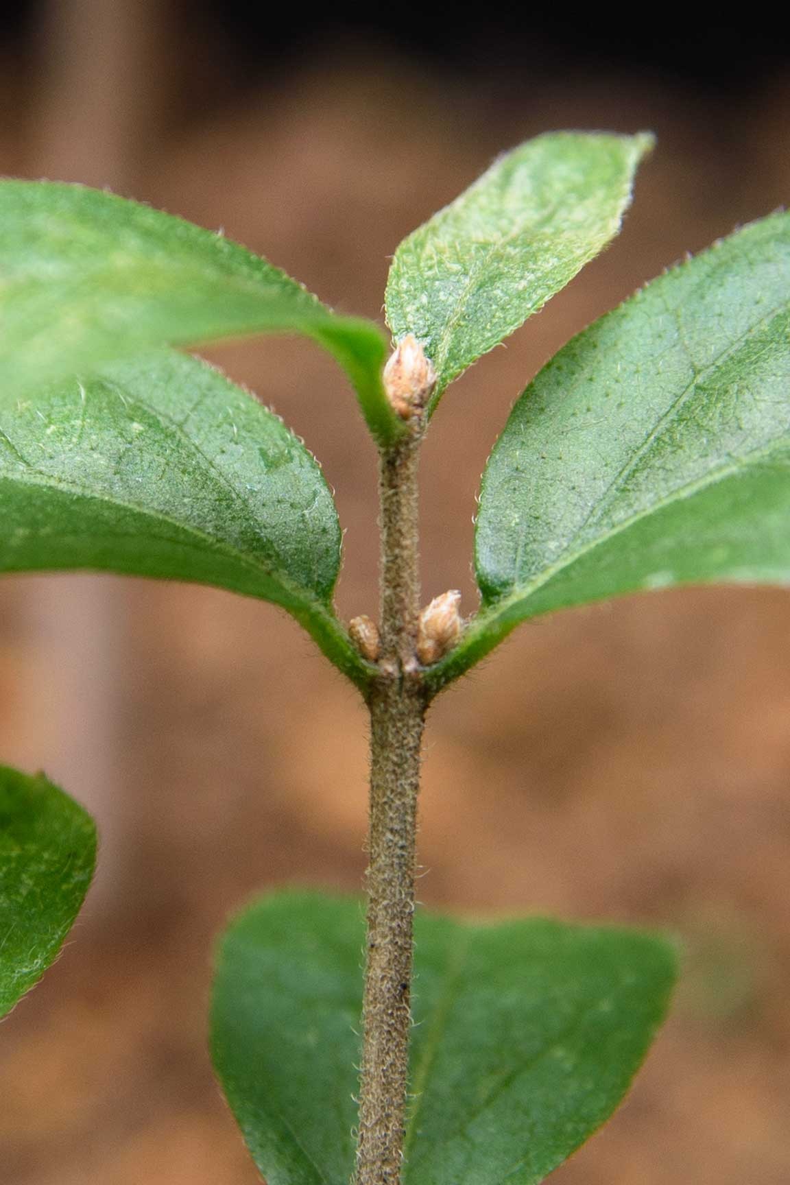
前回(4/17)から1週間ぶりの観察を行いました。
順調に成長を続けていて、枝が伸びて、葉が増え、また葉が広がってサイズアップしました。
この1週間で一回り大きくなりました。

以下、4月24日時点の観察結果です。

20260424ハナヒョウタンボク鉢植え挿し木.jpg
2026年4月24日 軽井沢草花館 ハナヒョウタンボク 挿し木2年目

20260417ハナヒョウタンボク鉢植え挿し木.jpg
2026年4月17日 軽井沢草花館 ハナヒョウタンボク 挿し木2年目

20260410ハナヒョウタンボク鉢植え挿し木re.jpg
2026年4月10日 軽井沢草花館 ハナヒョウタンボク 挿し木2年目

(メモ)
(2025年)
4月19日:挿し木開始
6月25日:枝の長さ22_、葉の長さ(最長)15_(A1)
6月30日:枝の長さ30_、葉の長さ(最長)20_(A1)
7月5日:枝の長さ37_、葉の長さ(最長)22_(A1)
7月10日:枝の長さ38_、葉の長さ(最長)24_、枝の先端の葉の長さ18_(A1)
7月15日:枝の長さ38_、葉の長さ(最長)25_、枝の先端の葉の長さ20_(A1)
7月20日:枝の長さ40_、葉の長さ(最長)25_、枝の先端の葉の長さ21_(A1)
 ↓(途中省略)
8月9日:枝の長さ40_、葉の長さ(最長)25_、枝の先端の葉の長さ21_で7/20から変化なし(A1)
8月9日:節に冬芽と思われる突起が複数(長さ1ミリ未満)と新芽?と思うような1センチ程度の細長い茎のようなもの1本を確認(A1)
8月14日:冬芽(A1)と新芽と思われる部分に変化なし→その後成長せず。
8月19日:冬芽のサイズがわずかに成長(A1)
8月24日:新たな挿し木(1本)から冬芽確認(A2)
9月13日:新たな挿し木(2本)から冬芽確認(A3、B1)、4本の挿し木からはまだ冬芽確認できず
9月18日:新たな挿し木(4本)から冬芽確認(A4、A5、A6、B2、すべての挿し木で冬芽を確認)
9月23日:A5の葉が5枚から1枚に、B2の冬芽がわずかに大きく。
9月28日:8つの挿し木のうち、4本の冬芽がわずかに大きく
10月3日:B2の冬芽がわずかに大きく
10月8日:一部黄葉&落葉、冬芽サイズ微増
10月13日:オニヒョウタンボクの冬芽との比較(B1)
10月18日:オニヒョウタンボクの冬芽との比較(B1)
10月23日:黄葉進む、冬芽の変化不明
10月28日:冬芽の変化見られず、一部落葉
11月3日:冬芽の変化見られず、一部落葉
11月10日:冬芽の変化見られず、葉っぱがくすむ、一部落葉
(2026年)
3月31日:Aの鉢6本のうち3本、Bの鉢4本のうち1本の冬芽が膨らんで芽吹きの兆候が見られました。
4月10日:Aの鉢6本のうち3本、Bの鉢4本のうち1本の冬芽が芽吹きを始めました。
4月17日:Aの鉢6本のうち3本、Bの鉢4本のうち1本全てで葉が開き、枝も伸び始めました。
4月24日:4本が順調に成長を続けていました。

【挿し木 鉢植え1

20260424ハナヒョウタンボク鉢植え挿し木A01-01.jpg
2026年4月24日 軽井沢草花館 ハナヒョウタンボクの挿し木1(鉢植えで2025年4月19日に6本)

【挿し木1のA-1

20260424ハナヒョウタンボク鉢植え挿し木A01-a03.jpg
2026年4月24日 軽井沢草花館 ハナヒョウタンボクの挿し木 1のA-1

下写真:前回1週間前撮影

20260417ハナヒョウタンボク鉢植え挿し木A01-a03.jpg
2026年4月17日 軽井沢草花館 ハナヒョウタンボクの挿し木 1のA-1

20260424ハナヒョウタンボク鉢植え挿し木A01-a01.jpg
2026年4月24日 軽井沢草花館 ハナヒョウタンボクの挿し木 1のA-1

下写真:樹高は約9a

20260424ハナヒョウタンボク鉢植え挿し木A01-a02.jpg
2026年4月24日 軽井沢草花館 ハナヒョウタンボクの挿し木 1のA-1 樹高約9a

下写真:葉の長さは大きなもので26_ありました。前回16.5aからだいぶ大きくなりました。

20260424ハナヒョウタンボク鉢植え挿し木A01-a04.jpg
2026年4月24日 軽井沢草花館 ハナヒョウタンボクの挿し木 1のA-1 葉の長さ26_

下写真:1週間前撮影

20260417ハナヒョウタンボク鉢植え挿し木A01-a04.jpg
2026年4月17日 軽井沢草花館 ハナヒョウタンボクの挿し木 1のA-1 葉の長さ16.5_

挿し木1 A-2

樹高は8a弱といったところでした。

20260424ハナヒョウタンボク鉢植え挿し木A01-b03.jpg
2026年4月24日 軽井沢草花館 ハナヒョウタンボクの挿し木 1のA-2

20260424ハナヒョウタンボク鉢植え挿し木A01-b01.jpg
2026年4月24日 軽井沢草花館 ハナヒョウタンボクの挿し木1のA-2

下写真:葉の長さは大きなもので18_ありました。1週間前の12_から6_伸びていました。

20260424ハナヒョウタンボク鉢植え挿し木A01-b02.jpg
2026年4月24日 軽井沢草花館 ハナヒョウタンボクの挿し木1のA-2 葉の長さ18_

20260417ハナヒョウタンボク鉢植え挿し木A01-b02.jpg
2026年4月17日 軽井沢草花館 ハナヒョウタンボクの挿し木1のA-2 葉の長さ12_

挿し木1 A-3

樹高は12.5aくらいでした。

20260424ハナヒョウタンボク鉢植え挿し木A01-c02.jpg
2026年4月24日 軽井沢草花館 ハナヒョウタンボクの挿し木 1のA-3

20260424ハナヒョウタンボク鉢植え挿し木A01-c01.jpg
2026年4月24日 軽井沢草花館 ハナヒョウタンボクの挿し木1 A-3

下写真:葉の長さは大きなもので26_ありました。現時点で一番の大きさ(長さ)です。

20260424ハナヒョウタンボク鉢植え挿し木A01-c03.jpg
2026年4月24日 軽井沢草花館 ハナヒョウタンボクの挿し木1 A-3

【挿し木1 A-4、A-5、A-6
この3本は枯れてしまったので観察せず。

【挿し木 鉢植え2

20260424ハナヒョウタンボク鉢植え挿し木B01-a01.jpg
2026年4月24日 軽井沢草花館 ハナヒョウタンボクの挿し木2(鉢植えで2025年4月19日に4本)

【挿し木2 B-1

樹高は約6.5aでした。

20260424ハナヒョウタンボク鉢植え挿し木B01-a02.jpg
2026年4月24日 軽井沢草花館 ハナヒョウタンボクの挿し木2 B-1

下写真:前回(4/17)撮影

20260417ハナヒョウタンボク鉢植え挿し木B01-a02.jpg
2026年4月17日 軽井沢草花館 ハナヒョウタンボクの挿し木2 B-1

20260424ハナヒョウタンボク鉢植え挿し木B01-a01.jpg
2026年4月24日 軽井沢草花館 ハナヒョウタンボクの挿し木2 B-1

下写真:1週間前撮影。

20260417ハナヒョウタンボク鉢植え挿し木B01-a01.jpg
2026年4月17日 軽井沢草花館 ハナヒョウタンボクの挿し木2 B-1

下写真:葉の長さは大きなもので18_ありました。

20260424ハナヒョウタンボク鉢植え挿し木B01-a03.jpg
2026年4月24日 軽井沢草花館 ハナヒョウタンボクの挿し木2 B-1

【挿し木2 B-2、B-3、B-4

この3本は枯れてしまったので観察なし。

以上
posted by kusabanakan at 23:59| ハナヒョウタンボク日記

2026年04月18日

ハナヒョウタンボク日記(62)葉が開き、枝が伸び始める(4/17)

****************
【これまでの経過】
2023、2024年とハナヒョウタンボクの挿し木に挑戦し、ともに失敗に終わりましたが、昨年2025年に三たび挑戦しました。
昨年(2025)4月19日、2つの鉢に計10本の枝を差し、その後の成長を観察してきました。
2023年、2024年と大きな違いは、(1)地植えから鉢植え(赤玉中)にしたこと、(2)日当たりの良い場所から、あまり良くない場所に変えたこと。この2点です。
10本のうち11月10日の時点で2本が枯死していましたが、8本は冬芽を付けていました。
今年(2026)に入って、うち4本に芽が出て、成長を観察中。
****************

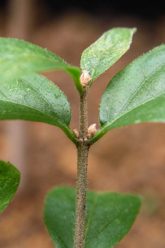
昨年2025年の4月19日にハナヒョウタンボクの挿し木を始めてから約1年です。
前回(4/10)から1週間、芽吹きを始めた4本全てで葉が開き、枝も伸びてきました。
以下、4月17日時点の観察結果です。

20260417ハナヒョウタンボク鉢植え挿し木.jpg
2026年4月17日 軽井沢草花館 ハナヒョウタンボク 挿し木2年目

20260410ハナヒョウタンボク鉢植え挿し木re.jpg
2026年4月10日 軽井沢草花館 ハナヒョウタンボク 挿し木2年目

(メモ)
(2025年)
4月19日:挿し木開始
6月25日:枝の長さ22_、葉の長さ(最長)15_(A1)
6月30日:枝の長さ30_、葉の長さ(最長)20_(A1)
7月5日:枝の長さ37_、葉の長さ(最長)22_(A1)
7月10日:枝の長さ38_、葉の長さ(最長)24_、枝の先端の葉の長さ18_(A1)
7月15日:枝の長さ38_、葉の長さ(最長)25_、枝の先端の葉の長さ20_(A1)
7月20日:枝の長さ40_、葉の長さ(最長)25_、枝の先端の葉の長さ21_(A1)
 ↓(途中省略)
8月9日:枝の長さ40_、葉の長さ(最長)25_、枝の先端の葉の長さ21_で7/20から変化なし(A1)
8月9日:節に冬芽と思われる突起が複数(長さ1ミリ未満)と新芽?と思うような1センチ程度の細長い茎のようなもの1本を確認(A1)
8月14日:冬芽(A1)と新芽と思われる部分に変化なし→その後成長せず。
8月19日:冬芽のサイズがわずかに成長(A1)
8月24日:新たな挿し木(1本)から冬芽確認(A2)
9月13日:新たな挿し木(2本)から冬芽確認(A3、B1)、4本の挿し木からはまだ冬芽確認できず
9月18日:新たな挿し木(4本)から冬芽確認(A4、A5、A6、B2、すべての挿し木で冬芽を確認)
9月23日:A5の葉が5枚から1枚に、B2の冬芽がわずかに大きく。
9月28日:8つの挿し木のうち、4本の冬芽がわずかに大きく
10月3日:B2の冬芽がわずかに大きく
10月8日:一部黄葉&落葉、冬芽サイズ微増
10月13日:オニヒョウタンボクの冬芽との比較(B1)
10月18日:オニヒョウタンボクの冬芽との比較(B1)
10月23日:黄葉進む、冬芽の変化不明
10月28日:冬芽の変化見られず、一部落葉
11月3日:冬芽の変化見られず、一部落葉
11月10日:冬芽の変化見られず、葉っぱがくすむ、一部落葉
(2026年)
3月31日:Aの鉢6本のうち3本、Bの鉢4本のうち1本の冬芽が膨らんで芽吹きの兆候が見られました。
4月10日:Aの鉢6本のうち3本、Bの鉢4本のうち1本の冬芽が芽吹きを始めました。
4月17日:Aの鉢6本のうち3本、Bの鉢4本のうち1本全てで葉が開き、枝も伸び始めました。

【挿し木 鉢植え1 6本中3本で葉が開き、枝が伸びる

20260417ハナヒョウタンボク鉢植え挿し木A01-01.jpg
2026年4月17日 軽井沢草花館 ハナヒョウタンボクの挿し木1(鉢植えで2025年4月19日に6本)

【挿し木1のA-1 葉が開き、枝が伸びる

20260417ハナヒョウタンボク鉢植え挿し木A01-a03.jpg
2026年4月17日 軽井沢草花館 ハナヒョウタンボクの挿し木 1のA-1

下写真:前回1週間前撮影

20260410ハナヒョウタンボク鉢植え挿し木A01-a03.jpg
2026年4月10日 軽井沢草花館 ハナヒョウタンボクの挿し木 1のA-1

20260417ハナヒョウタンボク鉢植え挿し木A01-a01.jpg
2026年4月17日 軽井沢草花館 ハナヒョウタンボクの挿し木 1のA-1(土の上に枯れ葉)

20260410ハナヒョウタンボク鉢植え挿し木A01-a01.jpg
2026年4月10日 軽井沢草花館 ハナヒョウタンボクの挿し木 1のA-1

下写真:葉が開き、枝が伸びてきました。

20260417ハナヒョウタンボク鉢植え挿し木A01-a02.jpg
2026年4月17日 軽井沢草花館 ハナヒョウタンボクの挿し木 1のA-1 葉が開き

下写真:葉の長さは大きなもので16.5_ありました。

20260417ハナヒョウタンボク鉢植え挿し木A01-a04.jpg
2026年4月17日 軽井沢草花館 ハナヒョウタンボクの挿し木 1のA-1 葉の長さ16.5_

挿し木1 A-2 葉が開き、枝が伸びる

20260417ハナヒョウタンボク鉢植え挿し木A01-b03.jpg
2026年4月17日 軽井沢草花館 ハナヒョウタンボクの挿し木 1のA-2

20260417ハナヒョウタンボク鉢植え挿し木A01-b01.jpg
2026年4月17日 軽井沢草花館 ハナヒョウタンボクの挿し木1のA-2(土の上に枯れ葉)

20260410ハナヒョウタンボク鉢植え挿し木A01-b01.jpg
2026年4月10日 軽井沢草花館 ハナヒョウタンボクの挿し木1のA-2

下写真:葉の長さは大きなもので12_ありました。

20260417ハナヒョウタンボク鉢植え挿し木A01-b02.jpg
2026年4月17日 軽井沢草花館 ハナヒョウタンボクの挿し木1のA-2 葉の長さ12_

20260410ハナヒョウタンボク鉢植え挿し木A01-b02.jpg
2026年4月10日 軽井沢草花館 ハナヒョウタンボクの挿し木1のA-2 芽吹き始める

挿し木1 A-3 葉が開き、枝が伸びる

20260417ハナヒョウタンボク鉢植え挿し木A01-c03.jpg
2026年4月17日 軽井沢草花館 ハナヒョウタンボクの挿し木 1のA-3

20260417ハナヒョウタンボク鉢植え挿し木A01-c01.jpg
2026年4月17日 軽井沢草花館 ハナヒョウタンボクの挿し木1 A-3(土の上に枯れ葉)

20260410ハナヒョウタンボク鉢植え挿し木A01-c01.jpg
2026年4月10日 軽井沢草花館 ハナヒョウタンボクの挿し木1 A-3

下写真:葉の長さは大きなもので19_ありました。現時点で一番の大きさ(長さ)です。

20260417ハナヒョウタンボク鉢植え挿し木A01-c02.jpg
2026年4月17日 軽井沢草花館 ハナヒョウタンボクの挿し木1 A-3

【挿し木1 A-4、A-5、A-6

この3本は枯れてしまったので、今回より記録の記載を割愛します。

【挿し木 鉢植え2 4本中1本が葉が開き、枝が伸びる

20260417ハナヒョウタンボク鉢植え挿し木B01-a01.jpg
2026年4月17日 軽井沢草花館 ハナヒョウタンボクの挿し木2(鉢植えで2025年4月19日に4本)

【挿し木2 B-1 葉が開き、枝が伸びる

20260417ハナヒョウタンボク鉢植え挿し木B01-a02.jpg
2026年4月17日 軽井沢草花館 ハナヒョウタンボクの挿し木2 B-1

下写真:前回(4/10)撮影

20260410ハナヒョウタンボク鉢植え挿し木B01-a02.jpg
2026年4月10日 軽井沢草花館 ハナヒョウタンボクの挿し木2 B-1

20260417ハナヒョウタンボク鉢植え挿し木B01-a01.jpg
2026年4月17日 軽井沢草花館 ハナヒョウタンボクの挿し木2 B-1(土の上に枯れ葉)

20260410ハナヒョウタンボク鉢植え挿し木B01-a01.jpg
2026年4月10日 軽井沢草花館 ハナヒョウタンボクの挿し木2 B-1

下写真:葉の長さは大きなもので13_ありました。

20260417ハナヒョウタンボク鉢植え挿し木B01-a03.jpg
2026年4月17日 軽井沢草花館 ハナヒョウタンボクの挿し木2 B-1

【挿し木2 B-2、B-3、B-4

この3本は枯れてしまったので、今回より記録の記載を割愛します。

以上
posted by kusabanakan at 22:58| ハナヒョウタンボク日記

2026年04月11日

ハナヒョウタンボク日記(61)挿し木から初めて芽吹きました!(4/10)

****************
【これまでの経過】
2023、2024年とハナヒョウタンボクの挿し木に挑戦し、ともに失敗に終わりましたが、昨年2025年に三たび挑戦しました。
昨年(2025)4月19日、2つの鉢に計10本の枝を差し、その後の成長を観察してきました。
2023年、2024年と大きな違いは、(1)地植えから鉢植え(赤玉中)にしたこと、(2)日当たりの良い場所から、あまり良くない場所に変えたこと。この2点です。
10本のうち11月10日の時点で2本が枯死していましたが、8本は冬芽を付けていました。
****************

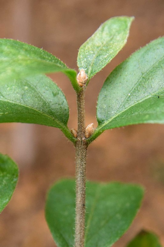
今年(2026)に入って3月31日、8本中4本で冬芽が膨らんで、芽吹きの兆候が見られました。
そして10日後の4月10日、4本ともしっかりと葉っぱが開き芽吹きました!
3回目の挑戦で、初めて冬を越し、芽吹きを始めてくれました。
この先、成長が続くかどうか、観察を続けます。

以下、4月10日時点の観察結果です。

20260410ハナヒョウタンボク鉢植え挿し木re.jpg
2026年4月10日 軽井沢草花館 ハナヒョウタンボク 挿し木2年目

(メモ)
(2025年)
4月19日:挿し木開始
6月25日:枝の長さ22_、葉の長さ(最長)15_(A1)
6月30日:枝の長さ30_、葉の長さ(最長)20_(A1)
7月5日:枝の長さ37_、葉の長さ(最長)22_(A1)
7月10日:枝の長さ38_、葉の長さ(最長)24_、枝の先端の葉の長さ18_(A1)
7月15日:枝の長さ38_、葉の長さ(最長)25_、枝の先端の葉の長さ20_(A1)
7月20日:枝の長さ40_、葉の長さ(最長)25_、枝の先端の葉の長さ21_(A1)
 ↓(途中省略)
8月9日:枝の長さ40_、葉の長さ(最長)25_、枝の先端の葉の長さ21_で7/20から変化なし(A1)
8月9日:節に冬芽と思われる突起が複数(長さ1ミリ未満)と新芽?と思うような1センチ程度の細長い茎のようなもの1本を確認(A1)
8月14日:冬芽(A1)と新芽と思われる部分に変化なし→その後成長せず。
8月19日:冬芽のサイズがわずかに成長(A1)
8月24日:新たな挿し木(1本)から冬芽確認(A2)
9月13日:新たな挿し木(2本)から冬芽確認(A3、B1)、4本の挿し木からはまだ冬芽確認できず
9月18日:新たな挿し木(4本)から冬芽確認(A4、A5、A6、B2、すべての挿し木で冬芽を確認)
9月23日:A5の葉が5枚から1枚に、B2の冬芽がわずかに大きく。
9月28日:8つの挿し木のうち、4本の冬芽がわずかに大きく
10月3日:B2の冬芽がわずかに大きく
10月8日:一部黄葉&落葉、冬芽サイズ微増
10月13日:オニヒョウタンボクの冬芽との比較(B1)
10月18日:オニヒョウタンボクの冬芽との比較(B1)
10月23日:黄葉進む、冬芽の変化不明
10月28日:冬芽の変化見られず、一部落葉
11月3日:冬芽の変化見られず、一部落葉
11月10日:冬芽の変化見られず、葉っぱがくすむ、一部落葉
(2026年)
3月31日:Aの鉢6本のうち3本、Bの鉢4本のうち1本の冬芽が膨らんで芽吹きの兆候が見られました。
4月10日:Aの鉢6本のうち3本、Bの鉢4本のうち1本の冬芽が芽吹きを始めました。

【挿し木 鉢植え1 6本中3本が芽吹き始める

20260410ハナヒョウタンボク鉢植え挿し木A01-01.jpg
2026年4月10日 軽井沢草花館 ハナヒョウタンボクの挿し木1(鉢植えで2025年4月19日に6本)

【挿し木1のA-1 芽吹き始める

20260410ハナヒョウタンボク鉢植え挿し木A01-a03.jpg
2026年4月10日 軽井沢草花館 ハナヒョウタンボクの挿し木 1のA-1

20260410ハナヒョウタンボク鉢植え挿し木A01-a01.jpg
2026年4月10日 軽井沢草花館 ハナヒョウタンボクの挿し木 1のA-1

20260331ハナヒョウタンボク鉢植え挿し木A01-a01.jpg
2026年3月31日 軽井沢草花館 ハナヒョウタンボクの挿し木1のA-1

下写真:芽吹き始めました。葉の長さは最大約1a。

20260410ハナヒョウタンボク鉢植え挿し木A01-a02.jpg
2026年4月10日 軽井沢草花館 ハナヒョウタンボクの挿し木 1のA-1 芽吹く

下写真:前回3月31日撮影。冬芽が膨らんだものの、まだ芽吹いていなかった。

20260331ハナヒョウタンボク鉢植え挿し木A01-a02.jpg
2026年3月31日 軽井沢草花館 ハナヒョウタンボクの挿し木 1のA-1 冬芽膨らむ

挿し木1 A-2 芽吹き始める

20260410ハナヒョウタンボク鉢植え挿し木A01-b03.jpg
2026年4月10日 軽井沢草花館 ハナヒョウタンボクの挿し木 1のA-2

20260410ハナヒョウタンボク鉢植え挿し木A01-b01.jpg
2026年4月10日 軽井沢草花館 ハナヒョウタンボクの挿し木1のA-2

20260331ハナヒョウタンボク鉢植え挿し木A01-b01.jpg
2026年3月31日 軽井沢草花館 ハナヒョウタンボクの挿し木1のA2

下写真:芽吹きを始めました。葉っぱの長さは大きなもので6_くらい。

20260410ハナヒョウタンボク鉢植え挿し木A01-b02.jpg
2026年4月10日 軽井沢草花館 ハナヒョウタンボクの挿し木1のA-2 芽吹き始める

20260331ハナヒョウタンボク鉢植え挿し木A01-b02.jpg
2026年3月31日 軽井沢草花館 ハナヒョウタンボクの挿し木1のA-2 冬芽膨らむ

挿し木1 A-3 芽吹き始める

20260410ハナヒョウタンボク鉢植え挿し木A01-c03.jpg
2026年4月10日 軽井沢草花館 ハナヒョウタンボクの挿し木 1のA-3

20260410ハナヒョウタンボク鉢植え挿し木A01-c01.jpg
2026年4月10日 軽井沢草花館 ハナヒョウタンボクの挿し木1 A-3

20260331ハナヒョウタンボク鉢植え挿し木A01-c01.jpg
2026年3月31日 軽井沢草花館 ハナヒョウタンボクの挿し木1 A-3

下写真:密度高く芽吹きました。

20260410ハナヒョウタンボク鉢植え挿し木A01-c03.jpg
2026年4月10日 軽井沢草花館 ハナヒョウタンボクの挿し木1 A-3

20260331ハナヒョウタンボク鉢植え挿し木A01-c02.jpg
2026年3月31日 軽井沢草花館 ハナヒョウタンボクの挿し木1 A-3

【挿し木1 A-4 冬芽の変化なし

20260410ハナヒョウタンボク鉢植え挿し木A01-d01.jpg
2026年4月10日 軽井沢草花館 ハナヒョウタンボクの挿し木1 A-4

【挿し木1 A-5 冬芽の変化なし】 

20260410ハナヒョウタンボク鉢植え挿し木A01-e01.jpg
2026年4月10日 軽井沢草花館 ハナヒョウタンボクの挿し木1 A-5

【挿し木1 A-6 冬芽の変化なし】 

20260410ハナヒョウタンボク鉢植え挿し木A01-f01.jpg
2026年4月10日 軽井沢草花館 ハナヒョウタンボクの挿し木1 A-6

【挿し木 鉢植え2 4本中1本が芽吹き始める

20260410ハナヒョウタンボク鉢植え挿し木B01-01.jpg
2026年4月10日 軽井沢草花館 ハナヒョウタンボクの挿し木2(鉢植えで2025年4月19日に4本)

【挿し木2 B-1 芽吹き始める

20260410ハナヒョウタンボク鉢植え挿し木B01-a02.jpg
2026年4月10日 軽井沢草花館 ハナヒョウタンボクの挿し木2 B-1

20260410ハナヒョウタンボク鉢植え挿し木B01-a01.jpg
2026年4月10日 軽井沢草花館 ハナヒョウタンボクの挿し木2 B-1

20260331ハナヒョウタンボク鉢植え挿し木B01-a01.jpg
2026年3月31日 軽井沢草花館 ハナヒョウタンボクの挿し木2 B-1

【挿し木2 B-2 冬芽の変化なし

20260410ハナヒョウタンボク鉢植え挿し木B01-b01.jpg
2026年4月10日 軽井沢草花館 ハナヒョウタンボクの挿し木2 B-2

20260331ハナヒョウタンボク鉢植え挿し木B01-b01.jpg
2026年3月31日 軽井沢草花館 ハナヒョウタンボクの挿し木2 B-2

以上
posted by kusabanakan at 23:37| ハナヒョウタンボク日記

2026年04月03日

ハナヒョウタンボク日記(60)3度目の挑戦で初の冬越し、芽吹きの兆し!(3/31)

2023、2024年とハナヒョウタンボクの挿し木に挑戦し、ともに失敗に終わりましたが、昨年2025年に三たび挑戦しました。
昨年(2025)4月19日、2つの鉢に計10本の枝を差し、その後の成長を観察してきました。
2023年、2024年と大きな違いは、(1)地植えから鉢植えにしたこと、(2)日当たりの良い場所から、あまり良くない場所に変えたこと。この2点です。
10本のうち11月10日の時点で2本が枯死していましたが、8本は冬芽を付けていました。
そして、今年(2026)3月31日、8本中4本で冬芽が膨らんで、芽吹きの兆候が見られました。
このまま芽吹いて、成長が続くと良いのですが!
観察を続けます。

20260331ハナヒョウタンボク鉢植え挿し木re.jpg

(メモ)
(2025年)
6月25日:枝の長さ22_、葉の長さ(最長)15_(A1)
6月30日:枝の長さ30_、葉の長さ(最長)20_(A1)
7月5日:枝の長さ37_、葉の長さ(最長)22_(A1)
7月10日:枝の長さ38_、葉の長さ(最長)24_、枝の先端の葉の長さ18_(A1)
7月15日:枝の長さ38_、葉の長さ(最長)25_、枝の先端の葉の長さ20_(A1)
7月20日:枝の長さ40_、葉の長さ(最長)25_、枝の先端の葉の長さ21_(A1)
 ↓(途中省略)
8月9日:枝の長さ40_、葉の長さ(最長)25_、枝の先端の葉の長さ21_で7/20から変化なし(A1)
8月9日:節に冬芽と思われる突起が複数(長さ1ミリ未満)と新芽?と思うような1センチ程度の細長い茎のようなもの1本を確認(A1)
8月14日:冬芽(A1)と新芽と思われる部分に変化なし→その後成長せず。
8月19日:冬芽のサイズがわずかに成長(A1)
8月24日:新たな挿し木(1本)から冬芽確認(A2)
9月13日:新たな挿し木(2本)から冬芽確認(A3、B1)、4本の挿し木からはまだ冬芽確認できず
9月18日:新たな挿し木(4本)から冬芽確認(A4、A5、A6、B2、すべての挿し木で冬芽を確認)
9月23日:A5の葉が5枚から1枚に、B2の冬芽がわずかに大きく。
9月28日:8つの挿し木のうち、4本の冬芽がわずかに大きく
10月3日:B2の冬芽がわずかに大きく
10月8日:一部黄葉&落葉、冬芽サイズ微増
10月13日:オニヒョウタンボクの冬芽との比較(B1)
10月18日:オニヒョウタンボクの冬芽との比較(B1)
10月23日:黄葉進む、冬芽の変化不明
10月28日:冬芽の変化見られず、一部落葉
11月3日:冬芽の変化見られず、一部落葉
11月10日:冬芽の変化見られず、葉っぱがくすむ、一部落葉
(2026年)
3月31日:Aの鉢6本のうち3本、Bの鉢2本のうち1本の冬芽が膨らんで芽吹きの兆候が見られました。

【挿し木A1(2025年8月9日に最初の冬芽確認)冬芽膨らむ

20260331ハナヒョウタンボク鉢植え挿し木A01-a01.jpg
2026年3月31日 軽井沢草花館 ハナヒョウタンボクの挿し木 A1

20251103ハナヒョウタンボク鉢植え挿し木A01-a01.jpg
2025年11月3日 軽井沢草花館 ハナヒョウタンボクの挿し木 A1

下写真:昨年(2025)8月9日に初めて確認した冬芽です。昨年の11月の時点では、長さは1_程度でしたが、今年(2026)の3月31日には4_程度の大きさに膨らんでいました。

20260331ハナヒョウタンボク鉢植え挿し木A01-a02.jpg
2026年3月31日 軽井沢草花館 ハナヒョウタンボクの挿し木 A1 冬芽膨らむ

下写真:昨年(2025)11月3日撮影。

20251103ハナヒョウタンボク鉢植え挿し木A01-a02.jpg
2025年11月3日 軽井沢草花館 ハナヒョウタンボクの挿し木 A1 冬芽

【挿し木A2(2025年8月24日に冬芽確認)冬芽膨らむ

20260331ハナヒョウタンボク鉢植え挿し木A01-b01.jpg
2026年3月31日 軽井沢草花館 ハナヒョウタンボクの挿し木 A2

20251103ハナヒョウタンボク鉢植え挿し木A01-b01.jpg
2025年11月3日 軽井沢草花館 ハナヒョウタンボクの挿し木 A2

下写真:冬芽が膨らんでいました。大きなもので長さ5_くらい。

20260331ハナヒョウタンボク鉢植え挿し木A01-b02.jpg
2026年3月31日 軽井沢草花館 ハナヒョウタンボクの挿し木 A2 冬芽膨らむ

下写真:昨年(2025)11月3日撮影。

20251103ハナヒョウタンボク鉢植え挿し木A01-b02.jpg
2025年11月3日 軽井沢草花館 ハナヒョウタンボクの挿し木 A2

【挿し木A3(2025年9月13日に冬芽確認)冬芽膨らむ

20260331ハナヒョウタンボク鉢植え挿し木A01-c01.jpg
2026年3月31日 軽井沢草花館 ハナヒョウタンボクの挿し木 A3

20251103ハナヒョウタンボク鉢植え挿し木A01-c01.jpg
2025年11月3日 軽井沢草花館 ハナヒョウタンボクの挿し木 A3

下写真:多数の冬芽が膨らんでいました。大きなもので長さ5_くらい。

20260331ハナヒョウタンボク鉢植え挿し木A01-c02.jpg
2026年3月31日 軽井沢草花館 ハナヒョウタンボクの挿し木 A3

下写真:昨年(2025)11月3日撮影。

20251103ハナヒョウタンボク鉢植え挿し木A01-c02.jpg
2025年11月3日 軽井沢草花館 ハナヒョウタンボクの挿し木 A3

【挿し木A4(2025年9月18日に冬芽確認)冬芽の変化なし

20260331ハナヒョウタンボク鉢植え挿し木A01-d01.jpg
2026年3月31日 軽井沢草花館 ハナヒョウタンボクの挿し木 A4

20251103ハナヒョウタンボク鉢植え挿し木A01-d01.jpg
2025年11月3日 軽井沢草花館 ハナヒョウタンボクの挿し木 A4

下写真:昨年2025年11月3日の冬芽の状態から変化が見られません。枯れてしまったのか?これから膨らんでくるのか?もうしばらく観察しようと思います。

20260331ハナヒョウタンボク鉢植え挿し木A01-d02.jpg
2026年3月31日 軽井沢草花館 ハナヒョウタンボクの挿し木 A4

下写真:昨年(2025)11月3日撮影

20251103ハナヒョウタンボク鉢植え挿し木A01-d02.jpg
2025年11月3日 軽井沢草花館 ハナヒョウタンボクの挿し木 A4

【挿し木A5(2025年9月18日に冬芽確認)冬芽の変化なし】 

20260331ハナヒョウタンボク鉢植え挿し木A01-e01.jpg
2026年3月31日 軽井沢草花館 ハナヒョウタンボクの挿し木 A5

20251103ハナヒョウタンボク鉢植え挿し木A01-e01.jpg
2025年11月3日 軽井沢草花館 ハナヒョウタンボクの挿し木 A5

下写真:昨年2025年11月3日の冬芽の状態から変化が見られません。枯れてしまったのか?これから膨らんでくるのか?もうしばらく観察しようと思います。

20260331ハナヒョウタンボク鉢植え挿し木A01-e02.jpg
2026年3月31日 軽井沢草花館 ハナヒョウタンボクの挿し木 A5

下写真:昨年2025年11月3日撮影

20251103ハナヒョウタンボク鉢植え挿し木A01-e02.jpg
2025年11月3日 軽井沢草花館 ハナヒョウタンボクの挿し木 A5

【挿し木A6(2025年9月18日に冬芽確認)冬芽の変化なし

20260331ハナヒョウタンボク鉢植え挿し木A01-f01.jpg
2026年3月31日 軽井沢草花館 ハナヒョウタンボクの挿し木 A6

20251103ハナヒョウタンボク鉢植え挿し木A01-f01.jpg
2025年11月3日 軽井沢草花館 ハナヒョウタンボクの挿し木 A6

下写真:昨年2025年11月3日の冬芽の状態から変化が見られません。枯れてしまったのか?これから膨らんでくるのか?もうしばらく観察しようと思います。

20260331ハナヒョウタンボク鉢植え挿し木A01-f02.jpg
2026年3月31日 軽井沢草花館 ハナヒョウタンボクの挿し木 A6

下写真:昨年2025年11月3日撮影

20251103ハナヒョウタンボク鉢植え挿し木A01-f02.jpg
2025年11月3日 軽井沢草花館 ハナヒョウタンボクの挿し木 A6

【挿し木B1(2025年9月13日に冬芽確認)、冬芽膨らむ

20260331ハナヒョウタンボク鉢植え挿し木B01-a01.jpg
2026年3月31日 軽井沢草花館 ハナヒョウタンボクの挿し木 B1

20251103ハナヒョウタンボク鉢植え挿し木B01-a01.jpg
2025年11月3日 軽井沢草花館 ハナヒョウタンボクの挿し木 B1

下写真:多数の冬芽が膨らんでいました。大きなもので長さ6_くらい。

20260331ハナヒョウタンボク鉢植え挿し木B01-a02.jpg
2026年3月31日 軽井沢草花館 ハナヒョウタンボクの挿し木 B1

下写真:昨年2025年11月3日撮影

20251103ハナヒョウタンボク鉢植え挿し木B01-a02.jpg
2025年11月3日 軽井沢草花館 ハナヒョウタンボクの挿し木 B1

【挿し木B2(2025年9月18日に冬芽確認)、冬芽の変化なし

20260331ハナヒョウタンボク鉢植え挿し木B01-b01.jpg
2026年3月31日 軽井沢草花館 ハナヒョウタンボクの挿し木 B2

20251103ハナヒョウタンボク鉢植え挿し木B01-b01.jpg
2025年11月3日 軽井沢草花館 ハナヒョウタンボクの挿し木 B2

下写真:昨年2025年9月18日に初めて確認した冬芽です。冬芽の出始めが一番遅かったものの、唯一、成長がコンスタンスに続けてきた苗でした。しかし、10/18以降の観察で冬芽の成長は確認できず、冬を越して3月31日の時点でも成長が見られません。

20260331ハナヒョウタンボク鉢植え挿し木B01-b02.jpg
2026年3月31日 軽井沢草花館 ハナヒョウタンボクの挿し木 B2

下写真:昨年2025年11月3日撮影。

20251103ハナヒョウタンボク鉢植え挿し木B01-b02.jpg
2025年11月3日 軽井沢草花館 ハナヒョウタンボクの挿し木 B2

以上
posted by kusabanakan at 22:45| ハナヒョウタンボク日記

2025年11月10日

ハナヒョウタンボク日記(59)挿し木205日目、葉っぱがくすんで、一部落葉(11/10)

2023、2024年とハナヒョウタンボクの挿し木に挑戦し、ともに失敗に終わりましたが、三たび挑戦中です。

今年(2025)の4月19日に2つの鉢に挿し木を始めて本日(11/10)205日目となりました。
挿し木した10本のうち2本は6月に枯れてしまい、残り8本の成長を観察しているところです。
9月18日には8本すべての挿し木に冬芽を確認することが出来ました。
その後、それらの冬芽が少しずつ成長を続けてきましたが、10/23の観察から変化が見られません。
前回(11/3)から1週間が経ち、大きな変化はありませんが、葉っぱの色が茶色っぽく、くすんできました。
葉っぱの数は一部が散っただけで、まだ多くが残っています。

(メモ)

6月25日:枝の長さ22_、葉の長さ(最長)15_(A1)
6月30日:枝の長さ30_、葉の長さ(最長)20_(A1)
7月5日:枝の長さ37_、葉の長さ(最長)22_(A1)
7月10日:枝の長さ38_、葉の長さ(最長)24_、枝の先端の葉の長さ18_(A1)
7月15日:枝の長さ38_、葉の長さ(最長)25_、枝の先端の葉の長さ20_(A1)
7月20日:枝の長さ40_、葉の長さ(最長)25_、枝の先端の葉の長さ21_(A1)
 ↓(途中省略)
8月9日:枝の長さ40_、葉の長さ(最長)25_、枝の先端の葉の長さ21_で7/20から変化なし(A1)
8月9日:節に冬芽と思われる突起が複数(長さ1ミリ未満)と新芽?と思うような1センチ程度の細長い茎のようなもの1本を確認(A1)
8月14日:冬芽(A1)と新芽と思われる部分に変化なし→その後成長せず。
8月19日:冬芽のサイズがわずかに成長(A1)
8月24日:新たな挿し木(1本)から冬芽確認(A2)
9月13日:新たな挿し木(2本)から冬芽確認(A3、B1)、4本の挿し木からはまだ冬芽確認できず
9月18日:新たな挿し木(4本)から冬芽確認(A4、A5、A6、B2、すべての挿し木で冬芽を確認)
9月23日:A5の葉が5枚から1枚に、B2の冬芽がわずかに大きく。
9月28日:8つの挿し木のうち、4本の冬芽がわずかに大きく
10月3日:B2の冬芽がわずかに大きく
10月8日:一部黄葉&落葉、冬芽サイズ微増
10月13日:オニヒョウタンボクの冬芽との比較(B1)
10月18日:オニヒョウタンボクの冬芽との比較(B1)
10月23日:黄葉進む、冬芽の変化不明
10月28日:冬芽の変化見られず、一部落葉
11月3日:冬芽の変化見られず、一部落葉
11月10日:冬芽の変化見られず、葉っぱがくすむ、一部落葉

【挿し木A1〜A6

20251110ハナヒョウタンボク鉢植え挿し木A01-01.jpg
2025年11月10日 軽井沢草花館 ハナヒョウタンボクの挿し木 A1〜A6

20251110ハナヒョウタンボク鉢植え挿し木A01-02.jpg
2025年11月10日 軽井沢草花館 ハナヒョウタンボクの挿し木 A1〜A6

【挿し木B1&B2

もう一つ鉢(B)は4本のうち2本が枯れてしまいましたが、残り2本には冬芽が出ています。

20251110ハナヒョウタンボク鉢植え挿し木B01-01.jpg
2025年11月10日 軽井沢草花館 ハナヒョウタンボクの挿し木 B1&B2

20251110ハナヒョウタンボク鉢植え挿し木B01-02.jpg
2025年11月10日 軽井沢草花館 ハナヒョウタンボクの挿し木 B1&B2

以下、4月19日からの挿し木の変遷です。

【2025年11月10日(205日目)】
20251110ハナヒョウタンボク鉢植え挿し木.jpg

【2025年10月3日(172日目)】
20251008ハナヒョウタンボク鉢植え挿し木.jpg

【2025年8月29日(132日目)】
20250829ハナヒョウタンボク鉢植え挿し木.jpg

【2025年7月20日(92日目)】
20250720ハナヒョウタンボク鉢植え挿し木.jpg

【2025年6月10日(52日目)】
20250610ハナヒョウタンボク鉢植え挿し木.jpg

【2025年5月21日(32日目)】
20250521ハナヒョウタンボク鉢植え挿し木.jpg

【2025年5月2日(13日目)】
20250502ハナヒョウタンボク鉢植え挿し木.jpg

【2025年4月19日 挿し木開始】
20250419ハナヒョウタンボク鉢植え挿し木開始01.jpg

【小さな美術館軽井沢草花館 2025年度展示のご案内】

2025年11月16日(日)まで「石川功一の水彩・油彩展 軽井沢の花と実」を開催中。
火曜日休館(2025年11月17日以降、翌年4月下旬まで冬期休館)
詳しくはこちら 軽井沢草花館 ブログユウスゲ日記より「展示案内
posted by kusabanakan at 21:05| ハナヒョウタンボク日記

2025年11月03日

ハナヒョウタンボク日記(58)挿し木198日目、冬芽変化なく、一部落葉(11/3)

2023、2024年とハナヒョウタンボクの挿し木に挑戦し、ともに失敗に終わりましたが、三たび挑戦中です。

今年(2025)の4月19日に2つの鉢に挿し木を始めて本日(11/3)で198日目となりました。
挿し木した10本のうち2本は6月に枯れてしまい、残り8本の成長を観察しているところです。
9月18日には8本すべての挿し木に冬芽を確認することが出来ました。
その後、それらが少しずつ成長を続けてきましたが、10/23の観察から変化が見られません。
また、10月に入ってから落葉が見られますが、一斉に落ちることはなく、ほぼ5日おきに観察した際に数枚が落ちている程度です。
尚、10月23日以降、冬芽の成長が見られないことから、今日で冬芽の詳細な観察は終了します。
ただし、落葉が進むなどの変化があれば、続けて観察日記を公開する予定です。

(メモ)

6月25日:枝の長さ22_、葉の長さ(最長)15_(A1)
6月30日:枝の長さ30_、葉の長さ(最長)20_(A1)
7月5日:枝の長さ37_、葉の長さ(最長)22_(A1)
7月10日:枝の長さ38_、葉の長さ(最長)24_、枝の先端の葉の長さ18_(A1)
7月15日:枝の長さ38_、葉の長さ(最長)25_、枝の先端の葉の長さ20_(A1)
7月20日:枝の長さ40_、葉の長さ(最長)25_、枝の先端の葉の長さ21_(A1)
 ↓(途中省略)
8月9日:枝の長さ40_、葉の長さ(最長)25_、枝の先端の葉の長さ21_で7/20から変化なし(A1)
8月9日:節に冬芽と思われる突起が複数(長さ1ミリ未満)と新芽?と思うような1センチ程度の細長い茎のようなもの1本を確認(A1)
8月14日:冬芽(A1)と新芽と思われる部分に変化なし→その後成長せず。
8月19日:冬芽のサイズがわずかに成長(A1)
8月24日:新たな挿し木(1本)から冬芽確認(A2)
9月13日:新たな挿し木(2本)から冬芽確認(A3、B1)、4本の挿し木からはまだ冬芽確認できず
9月18日:新たな挿し木(4本)から冬芽確認(A4、A5、A6、B2、すべての挿し木で冬芽を確認)
9月23日:A5の葉が5枚から1枚に、B2の冬芽がわずかに大きく。
9月28日:8つの挿し木のうち、4本の冬芽がわずかに大きく
10月3日:B2の冬芽がわずかに大きく
10月8日:一部黄葉&落葉、冬芽サイズ微増
10月13日:オニヒョウタンボクの冬芽との比較(B1)
10月18日:オニヒョウタンボクの冬芽との比較(B1)
10月23日:黄葉進む、冬芽の変化不明
10月28日:冬芽の変化見られず、一部落葉
11月3日:冬芽の変化見られず、一部落葉

【挿し木A1(8/9に最初の冬芽確認)冬芽の変化なし

20251103ハナヒョウタンボク鉢植え挿し木A01-a01.jpg
2025年11月3日 軽井沢草花館 ハナヒョウタンボクの挿し木 A1

下写真:8月9日に初めて確認した冬芽です。長さは1_程度で、正確に測っていませんが、前回(10/28)からの6日間で変化(成長)はありませんでした。

20251103ハナヒョウタンボク鉢植え挿し木A01-a02.jpg
2025年11月3日 軽井沢草花館 ハナヒョウタンボクの挿し木 A1 冬芽

下写真:前回、10月28日撮影です。

20251028ハナヒョウタンボク鉢植え挿し木A01-a02.jpg
2025年10月28日 軽井沢草花館 ハナヒョウタンボクの挿し木 A1 冬芽

下写真:7月10日撮影です。この時を基準にすると、だいぶ成長しています。

20250710ハナヒョウタンボク鉢植え挿し木A03.jpg
2025年7月10日 軽井沢草花館 ハナヒョウタンボクの挿し木 A 冬芽

【挿し木A2(8/24に冬芽確認)冬芽の変化なし

20251103ハナヒョウタンボク鉢植え挿し木A01-b01.jpg
2025年11月3日 軽井沢草花館 ハナヒョウタンボクの挿し木 A2

下写真:8月24日に初めて確認した冬芽です。前回(10/28)からの6日間で、冬芽の変化はありませんでした。

20251103ハナヒョウタンボク鉢植え挿し木A01-b02.jpg
2025年11月3日 軽井沢草花館 ハナヒョウタンボクの挿し木 A2

下写真:前回、10月28日撮影です。

20251028ハナヒョウタンボク鉢植え挿し木A01-b02.jpg
2025年10月28日 軽井沢草花館 ハナヒョウタンボクの挿し木 A2

下写真:8月29日観察時の撮影です。この時と比べると、1_の10分の1単位で大きくなっているように見えます。

20250829ハナヒョウタンボク鉢植え挿し木A05.jpg
2025年8月29日 軽井沢草花館 ハナヒョウタンボクの挿し木 A2 冬芽

【挿し木A3(9/13に冬芽確認)冬芽の変化なし

20251103ハナヒョウタンボク鉢植え挿し木A01-c01.jpg
2025年11月3日 軽井沢草花館 ハナヒョウタンボクの挿し木 A3

下写真:9月13日に初めて確認した冬芽です。前回(10/28)からの6日間で、冬芽の変化はありませんでした。

20251103ハナヒョウタンボク鉢植え挿し木A01-c02.jpg
2025年11月3日 軽井沢草花館 ハナヒョウタンボクの挿し木 A3

下写真:前回、10月28日撮影です。

20251028ハナヒョウタンボク鉢植え挿し木A01-c02.jpg
2025年10月28日 軽井沢草花館 ハナヒョウタンボクの挿し木 A3

【挿し木A4(9/18に冬芽確認)冬芽の変化なし

20251103ハナヒョウタンボク鉢植え挿し木A01-d01.jpg
2025年11月3日 軽井沢草花館 ハナヒョウタンボクの挿し木 A4

下写真:9月18日に確認した冬芽です。前回(10/28)からの6日間で一部落葉しましたが、冬芽の変化はありませんでした。

20251103ハナヒョウタンボク鉢植え挿し木A01-d02.jpg
2025年11月3日 軽井沢草花館 ハナヒョウタンボクの挿し木 A4

下写真:前回(10/28)撮影

20251028ハナヒョウタンボク鉢植え挿し木A01-d02.jpg
2025年10月28日 軽井沢草花館 ハナヒョウタンボクの挿し木 A4

【挿し木A5(9/18に冬芽確認)冬芽の変化なし】 

20251103ハナヒョウタンボク鉢植え挿し木A01-e01.jpg
2025年11月3日 軽井沢草花館 ハナヒョウタンボクの挿し木 A5

下写真:9月18日に初めて確認した冬芽です。前回(10/28)からの6日間で、冬芽の変化はありませんでした。

20251103ハナヒョウタンボク鉢植え挿し木A01-e02.jpg
2025年11月3日 軽井沢草花館 ハナヒョウタンボクの挿し木 A5

下写真:前回(10/28)撮影

20251028ハナヒョウタンボク鉢植え挿し木A01-e02.jpg\
2025年10月28日 軽井沢草花館 ハナヒョウタンボクの挿し木 A5

【挿し木A6(9/18に冬芽確認)冬芽の変化なし

20251103ハナヒョウタンボク鉢植え挿し木A01-f01.jpg
2025年11月3日 軽井沢草花館 ハナヒョウタンボクの挿し木 A6

下写真:9月23日に初めて確認した冬芽です。前回(10/28)からの6日間で、冬芽の変化はありませんでした。

20251103ハナヒョウタンボク鉢植え挿し木A01-f02.jpg
2025年11月3日 軽井沢草花館 ハナヒョウタンボクの挿し木 A6

下写真:前回(10/28)撮影

20251028ハナヒョウタンボク鉢植え挿し木A01-f02.jpg
2025年10月28日 軽井沢草花館 ハナヒョウタンボクの挿し木 A6

【挿し木B1(9/13に冬芽確認)、冬芽変化なし

もう一つ鉢(B)は4本のうち2本が枯れてしまいましたが、残り2本には冬芽が出ています。

20251103ハナヒョウタンボク鉢植え挿し木B01-a01.jpg
2025年11月3日 軽井沢草花館 ハナヒョウタンボクの挿し木 B1

下写真:9月13日に初めて確認した冬芽です。それ以降、冬芽に大きな変化は見られていません。

20251103ハナヒョウタンボク鉢植え挿し木B01-a02.jpg
2025年11月3日 軽井沢草花館 ハナヒョウタンボクの挿し木 B1

下写真:前回(10/28)撮影

20251028ハナヒョウタンボク鉢植え挿し木B01-a02.jpg
2025年10月28日 軽井沢草花館 ハナヒョウタンボクの挿し木 B1

【挿し木B2(9/18に冬芽確認)、冬芽の変化なし

20251103ハナヒョウタンボク鉢植え挿し木B01-b01.jpg
2025年11月3日 軽井沢草花館 ハナヒョウタンボクの挿し木 B2

下写真:9月18日に初めて確認した冬芽です。まだ1_程度の大きさですが、9/18→9/23→9/28→10/3→10/8→10/13へと5日おきに少しづつですが成長を続けてきて、8本の挿し木の中では、冬芽の出始めが一番遅かったものの、唯一、成長がコンスタンスに続けてきた苗です。しかし、10/18以降の観察で冬芽の成長は確認できていません。

20251103ハナヒョウタンボク鉢植え挿し木B01-b02.jpg
2025年11月3日 軽井沢草花館 ハナヒョウタンボクの挿し木 B2

下写真:10月28日撮影です。

20251028ハナヒョウタンボク鉢植え挿し木B01-b02.jpg
2025年10月28日 軽井沢草花館 ハナヒョウタンボクの挿し木 B2

以下、4月19日からの挿し木の変遷です。

【2025年11月3日(198日目)】
20251103ハナヒョウタンボク鉢植え挿し木.jpg

【2025年10月3日(172日目)】
20251008ハナヒョウタンボク鉢植え挿し木.jpg

【2025年8月29日(132日目)】
20250829ハナヒョウタンボク鉢植え挿し木.jpg

【2025年7月20日(92日目)】
20250720ハナヒョウタンボク鉢植え挿し木.jpg

【2025年6月10日(52日目)】
20250610ハナヒョウタンボク鉢植え挿し木.jpg

【2025年5月21日(32日目)】
20250521ハナヒョウタンボク鉢植え挿し木.jpg

【2025年5月2日(13日目)】
20250502ハナヒョウタンボク鉢植え挿し木.jpg

【2025年4月19日 挿し木開始】
20250419ハナヒョウタンボク鉢植え挿し木開始01.jpg

【小さな美術館軽井沢草花館 2025年度展示のご案内】

2025年11月16日(日)まで「石川功一の水彩・油彩展 軽井沢の花と実」を開催中。
火曜日休館(2025年11月17日以降、翌年4月下旬まで冬期休館)
詳しくはこちら 軽井沢草花館 ブログユウスゲ日記より「展示案内
posted by kusabanakan at 15:41| ハナヒョウタンボク日記

2025年10月29日

ハナヒョウタンボク日記(57)挿し木192日目、冬芽変化なく(10/28)

2023、2024年とハナヒョウタンボクの挿し木に挑戦し、ともに失敗に終わりましたが、三たび挑戦中です。

今年(2025)の4月19日に2つの鉢に挿し木を始めて昨日(10/28)で192日目となりました。
挿し木した10本のうち2本は6月に枯れてしまい、残り8本の成長を観察しているところです。
9月18日には8本すべての挿し木に冬芽を確認することが出来ました。
その後、それらが少しずつ成長を続けてきましたが、今回(10/28)の観察では変化が見られませんでした。
また、一部落葉が見られました。

(メモ)

6月25日:枝の長さ22_、葉の長さ(最長)15_(A1)
6月30日:枝の長さ30_、葉の長さ(最長)20_(A1)
7月5日:枝の長さ37_、葉の長さ(最長)22_(A1)
7月10日:枝の長さ38_、葉の長さ(最長)24_、枝の先端の葉の長さ18_(A1)
7月15日:枝の長さ38_、葉の長さ(最長)25_、枝の先端の葉の長さ20_(A1)
7月20日:枝の長さ40_、葉の長さ(最長)25_、枝の先端の葉の長さ21_(A1)
 ↓(途中省略)
8月9日:枝の長さ40_、葉の長さ(最長)25_、枝の先端の葉の長さ21_で7/20から変化なし(A1)
8月9日:節に冬芽と思われる突起が複数(長さ1ミリ未満)と新芽?と思うような1センチ程度の細長い茎のようなもの1本を確認(A1)
8月14日:冬芽(A1)と新芽と思われる部分に変化なし→その後成長せず。
8月19日:冬芽のサイズがわずかに成長(A1)
8月24日:新たな挿し木(1本)から冬芽確認(A2)
9月13日:新たな挿し木(2本)から冬芽確認(A3、B1)、4本の挿し木からはまだ冬芽確認できず
9月18日:新たな挿し木(4本)から冬芽確認(A4、A5、A6、B2、すべての挿し木で冬芽を確認)
9月23日:A5の葉が5枚から1枚に、B2の冬芽がわずかに大きく。
9月28日:8つの挿し木のうち、4本の冬芽がわずかに大きく
10月3日:B2の冬芽がわずかに大きく
10月8日:一部黄葉&落葉、冬芽サイズ微増
10月13日:オニヒョウタンボクの冬芽との比較(B1)
10月18日:オニヒョウタンボクの冬芽との比較(B1)
10月23日:黄葉進む、冬芽の変化不明
10月28日:冬芽の変化見られず、一部落葉

【挿し木A1(8/9に最初の冬芽確認)冬芽の変化なし

20251028ハナヒョウタンボク鉢植え挿し木A01-a01.jpg
2025年10月28日 軽井沢草花館 ハナヒョウタンボクの挿し木 A1

下写真:8月9日に初めて確認した冬芽です。長さは1_程度で、正確に測っていませんが、前回(10/23)からの5日間で変化(成長)はありませんでした。

20251028ハナヒョウタンボク鉢植え挿し木A01-a02.jpg
2025年10月28日 軽井沢草花館 ハナヒョウタンボクの挿し木 A1 冬芽

下写真:前回、10月23日撮影です。

20251023ハナヒョウタンボク鉢植え挿し木A01-a02.jpg
2025年10月23日 軽井沢草花館 ハナヒョウタンボクの挿し木 A1 冬芽

下写真:7月10日撮影です。この時を基準にすると、だいぶ成長しています。

20250710ハナヒョウタンボク鉢植え挿し木A03.jpg
2025年7月10日 軽井沢草花館 ハナヒョウタンボクの挿し木 A 冬芽

【挿し木A2(8/24に冬芽確認)冬芽の変化なし

20251028ハナヒョウタンボク鉢植え挿し木A01-b01.jpg
2025年10月28日 軽井沢草花館 ハナヒョウタンボクの挿し木 A2

下写真:8月24日に初めて確認した冬芽です。前回(10/23)からの5日間で、冬芽の変化はありませんでした。

20251028ハナヒョウタンボク鉢植え挿し木A01-b02.jpg
2025年10月28日 軽井沢草花館 ハナヒョウタンボクの挿し木 A2

下写真:前回、10月23日撮影です。

20251023ハナヒョウタンボク鉢植え挿し木A01-b02.jpg
2025年10月23日 軽井沢草花館 ハナヒョウタンボクの挿し木 A2

下写真:8月29日観察時の撮影です。この時と比べると、1_の10分の1単位で大きくなっているように見えます。

20250829ハナヒョウタンボク鉢植え挿し木A05.jpg
2025年8月29日 軽井沢草花館 ハナヒョウタンボクの挿し木 A2 冬芽

【挿し木A3(9/13に冬芽確認)冬芽の変化なし

20251028ハナヒョウタンボク鉢植え挿し木A01-c01.jpg
2025年10月28日 軽井沢草花館 ハナヒョウタンボクの挿し木 A3

下写真:9月13日に初めて確認した冬芽です。前回(10/23)からの5日間で冬芽の変化はありませんでした。

20251028ハナヒョウタンボク鉢植え挿し木A01-c02.jpg
2025年10月28日 軽井沢草花館 ハナヒョウタンボクの挿し木 A3

下写真:前回、10月23日撮影です。

20251023ハナヒョウタンボク鉢植え挿し木A01-c02.jpg
2025年10月23日 軽井沢草花館 ハナヒョウタンボクの挿し木 A3

【挿し木A4(9/18に冬芽確認)冬芽の変化なし

20251028ハナヒョウタンボク鉢植え挿し木A01-d01.jpg
2025年10月28日 軽井沢草花館 ハナヒョウタンボクの挿し木 A4

下写真:9月18日に確認した冬芽です。前回(10/23)からの5日間で、冬芽の変化はありませんでした。

20251028ハナヒョウタンボク鉢植え挿し木A01-d02.jpg
2025年10月28日 軽井沢草花館 ハナヒョウタンボクの挿し木 A4

下写真:前回(10/23)撮影

20251023ハナヒョウタンボク鉢植え挿し木A01-d02.jpg
2025年10月23日 軽井沢草花館 ハナヒョウタンボクの挿し木 A4

【挿し木A5(9/18に冬芽確認)冬芽の変化なし】 

20251028ハナヒョウタンボク鉢植え挿し木A01-e01.jpg
2025年10月28日 軽井沢草花館 ハナヒョウタンボクの挿し木 A5

下写真:9月18日に初めて確認した冬芽です。前回(10/23)からの5日間で、冬芽の変化はありませんでした。

20251028ハナヒョウタンボク鉢植え挿し木A01-e02.jpg\
2025年10月28日 軽井沢草花館 ハナヒョウタンボクの挿し木 A5

下写真:前回(10/23)撮影

20251023ハナヒョウタンボク鉢植え挿し木A01-e02.jpg
2025年10月23日 軽井沢草花館 ハナヒョウタンボクの挿し木 A5

【挿し木A6(9/18に冬芽確認)冬芽の変化なし

20251028ハナヒョウタンボク鉢植え挿し木A01-f01.jpg
2025年10月28日 軽井沢草花館 ハナヒョウタンボクの挿し木 A6

下写真:9月23日に初めて確認した冬芽です。前回(10/23)からの5日間で一部落葉しましたが、冬芽の変化はありませんでした。

20251028ハナヒョウタンボク鉢植え挿し木A01-f02.jpg

2025年10月28日 軽井沢草花館 ハナヒョウタンボクの挿し木 A6

下写真:前回(10/23)撮影

20251023ハナヒョウタンボク鉢植え挿し木A01-f02.jpg
2025年10月23日 軽井沢草花館 ハナヒョウタンボクの挿し木 A6

【挿し木B1(9/13に冬芽確認)、冬芽変化なし

もう一つ鉢(B)は4本のうち2本が枯れてしまいましたが、残り2本には冬芽が出ています。

20251028ハナヒョウタンボク鉢植え挿し木B01-a01.jpg
2025年10月28日 軽井沢草花館 ハナヒョウタンボクの挿し木 B1

下写真:9月13日に初めて確認した冬芽です。それ以降、冬芽に大きな変化は見られていません。

20251028ハナヒョウタンボク鉢植え挿し木B01-a02.jpg
2025年10月28日 軽井沢草花館 ハナヒョウタンボクの挿し木 B1

下写真:前回(10/23)撮影

20251023ハナヒョウタンボク鉢植え挿し木B01-a02.jpg
2025年10月23日 軽井沢草花館 ハナヒョウタンボクの挿し木 B1

【挿し木B2(9/18に冬芽確認)、冬芽の変化なし

20251028ハナヒョウタンボク鉢植え挿し木B01-b01.jpg
2025年10月28日 軽井沢草花館 ハナヒョウタンボクの挿し木 B2

下写真:9月18日に初めて確認した冬芽です。まだ1_程度の大きさですが、9/18→9/23→9/28→10/3→10/8→10/13へと5日おきに少しづつですが成長を続けてきて、8本の挿し木の中では、冬芽の出始めが一番遅かったものの、唯一、成長がコンスタンスに続けてきた苗です。しかし、10/18以降の観察で冬芽の成長は確認できていません。

20251028ハナヒョウタンボク鉢植え挿し木B01-b02.jpg
2025年10月28日 軽井沢草花館 ハナヒョウタンボクの挿し木 B2

下写真:10月23日撮影です。

20251023ハナヒョウタンボク鉢植え挿し木B01-b02.jpg
2025年10月23日 軽井沢草花館 ハナヒョウタンボクの挿し木 B2

以下、4月19日からの挿し木の変遷です。

【2025年10月28日(192日目)】
20251028ハナヒョウタンボク鉢植え挿し木.jpg

【2025年10月3日(172日目)】
20251008ハナヒョウタンボク鉢植え挿し木.jpg

【2025年8月29日(132日目)】
20250829ハナヒョウタンボク鉢植え挿し木.jpg

【2025年7月20日(92日目)】
20250720ハナヒョウタンボク鉢植え挿し木.jpg

【2025年6月10日(52日目)】
20250610ハナヒョウタンボク鉢植え挿し木.jpg

【2025年5月21日(32日目)】
20250521ハナヒョウタンボク鉢植え挿し木.jpg

【2025年5月2日(13日目)】
20250502ハナヒョウタンボク鉢植え挿し木.jpg

【2025年4月19日 挿し木開始】
20250419ハナヒョウタンボク鉢植え挿し木開始01.jpg

【小さな美術館軽井沢草花館 2025年度展示のご案内】

2025年11月16日(日)まで「石川功一の水彩・油彩展 軽井沢の花と実」を開催中。
火曜日休館(2025年11月17日以降、翌年4月下旬まで冬期休館)
詳しくはこちら 軽井沢草花館 ブログユウスゲ日記より「展示案内
posted by kusabanakan at 13:41| ハナヒョウタンボク日記

2025年10月23日

ハナヒョウタンボク日記(56)挿し木187日目、わずかに黄葉進む(10/23)

2023、2024年とハナヒョウタンボクの挿し木に挑戦し、ともに失敗に終わりましたが、三たび挑戦中です。

今年(2025)の4月19日に2つの鉢に挿し木を始めて今日で187日目、半年を超えました。
挿し木した10本のうち2本は6月に枯れてしまい、残り8本の成長を観察しているところです。
9月18日には8本すべての挿し木に冬芽を確認することが出来ました。
そして、それらが少しずつ成長を続け、現在に至っています。
前回(10/18)から若干黄葉が進みました。
また、冬芽の成長は肉眼では分からず、ほとんど変化がなかったのではないかと思います。

(メモ)

6月25日:枝の長さ22_、葉の長さ(最長)15_(A1)
6月30日:枝の長さ30_、葉の長さ(最長)20_(A1)
7月5日:枝の長さ37_、葉の長さ(最長)22_(A1)
7月10日:枝の長さ38_、葉の長さ(最長)24_、枝の先端の葉の長さ18_(A1)
7月15日:枝の長さ38_、葉の長さ(最長)25_、枝の先端の葉の長さ20_(A1)
7月20日:枝の長さ40_、葉の長さ(最長)25_、枝の先端の葉の長さ21_(A1)
 ↓(途中省略)
8月9日:枝の長さ40_、葉の長さ(最長)25_、枝の先端の葉の長さ21_で7/20から変化なし(A1)
8月9日:節に冬芽と思われる突起が複数(長さ1ミリ未満)と新芽?と思うような1センチ程度の細長い茎のようなもの1本を確認(A1)
8月14日:冬芽(A1)と新芽と思われる部分に変化なし→その後成長せず。
8月19日:冬芽のサイズがわずかに成長(A1)
8月24日:新たな挿し木(1本)から冬芽確認(A2)
9月13日:新たな挿し木(2本)から冬芽確認(A3、B1)、4本の挿し木からはまだ冬芽確認できず
9月18日:新たな挿し木(4本)から冬芽確認(A4、A5、A6、B2、すべての挿し木で冬芽を確認)
9月23日:A5の葉が5枚から1枚に、B2の冬芽がわずかに大きく。
9月28日:8つの挿し木のうち、4本の冬芽がわずかに大きく
10月3日:B2の冬芽がわずかに大きく
10月8日:一部黄葉&落葉、冬芽サイズ微増
10月13日:オニヒョウタンボクの冬芽との比較(B1)
10月18日:オニヒョウタンボクの冬芽との比較(B1)
10月23日:黄葉進む、冬芽の変化不明

【挿し木A1(8/9に最初の冬芽確認)冬芽の変化分からず

20251023ハナヒョウタンボク鉢植え挿し木A01-a01.jpg
2025年10月23日 軽井沢草花館 ハナヒョウタンボクの挿し木 A1

下写真:8月9日に初めて確認した冬芽です。長さは1_程度で、正確に測っていませんが、前回(10/18)からの5日間で変化(成長)しているか分かりませんでした。

20251023ハナヒョウタンボク鉢植え挿し木A01-a02.jpg
2025年10月23日 軽井沢草花館 ハナヒョウタンボクの挿し木 A1 冬芽

下写真:前回、10月18日撮影です。

20251018ハナヒョウタンボク鉢植え挿し木A01-a02.jpg
2025年10月18日 軽井沢草花館 ハナヒョウタンボクの挿し木 A1 冬芽

下写真:7月10日撮影です。この時を基準にすると、だいぶ成長しています。

20250710ハナヒョウタンボク鉢植え挿し木A03.jpg
2025年7月10日 軽井沢草花館 ハナヒョウタンボクの挿し木 A 冬芽

【挿し木A2(8/24に冬芽確認)冬芽の変化分からず

20251023ハナヒョウタンボク鉢植え挿し木A01-b01.jpg
2025年10月23日 軽井沢草花館 ハナヒョウタンボクの挿し木 A2

下写真:8月24日に初めて確認した冬芽です。前回(10/18)からの5日間で黄葉が進みましたが、冬芽の変化は分かりませんでした。

20251023ハナヒョウタンボク鉢植え挿し木A01-b02.jpg
2025年10月23日 軽井沢草花館 ハナヒョウタンボクの挿し木 A2

20251018ハナヒョウタンボク鉢植え挿し木A01-b02.jpg
2025年10月18日 軽井沢草花館 ハナヒョウタンボクの挿し木 A2

下写真:8月29日観察時の撮影です。この時と比べると、1_の10分の1単位で大きくなっているように見えます。

20250829ハナヒョウタンボク鉢植え挿し木A05.jpg
2025年8月29日 軽井沢草花館 ハナヒョウタンボクの挿し木 A2 冬芽

【挿し木A3(9/13に冬芽確認)冬芽の変化分からず

20251023ハナヒョウタンボク鉢植え挿し木A01-c01.jpg
2025年10月23日 軽井沢草花館 ハナヒョウタンボクの挿し木 A3

下写真:9月13日に初めて確認した冬芽です。前回(10/18)からの5日間で黄葉が進みましたが、冬芽の変化は分かりませんでした。

20251023ハナヒョウタンボク鉢植え挿し木A01-c02.jpg
2025年10月23日 軽井沢草花館 ハナヒョウタンボクの挿し木 A3

下写真:前回、10月18日撮影です。

20251018ハナヒョウタンボク鉢植え挿し木A01-c02.jpg
2025年10月18日 軽井沢草花館 ハナヒョウタンボクの挿し木 A3

【挿し木A4(9/18に冬芽確認)冬芽の変化分からず

20251023ハナヒョウタンボク鉢植え挿し木A01-d01.jpg
2025年10月23日 軽井沢草花館 ハナヒョウタンボクの挿し木 A4

下写真:9月18日に確認した冬芽です。前回(10/18)からの5日間で黄葉が進みましたが、冬芽の変化は分かりませんでした。

20251023ハナヒョウタンボク鉢植え挿し木A01-d02.jpg
2025年10月23日 軽井沢草花館 ハナヒョウタンボクの挿し木 A4

下写真:前回(10/18)撮影

20251018ハナヒョウタンボク鉢植え挿し木A01-d02.jpg
2025年10月18日 軽井沢草花館 ハナヒョウタンボクの挿し木 A4

【挿し木A5(9/18に冬芽確認)冬芽の変化分からず】 

20251023ハナヒョウタンボク鉢植え挿し木A01-e01.jpg
2025年10月23日 軽井沢草花館 ハナヒョウタンボクの挿し木 A5

下写真:9月18日に初めて確認した冬芽です。前回(10/18)からの5日間で黄葉が進みましたが、冬芽の変化は分かりませんでした。

20251023ハナヒョウタンボク鉢植え挿し木A01-e02.jpg
2025年10月23日 軽井沢草花館 ハナヒョウタンボクの挿し木 A5

下写真:前回(10/18)撮影

20251018ハナヒョウタンボク鉢植え挿し木A01-e02.jpg
2025年10月18日 軽井沢草花館 ハナヒョウタンボクの挿し木 A5

【挿し木A6(9/18に冬芽確認)冬芽の変化分からず

20251023ハナヒョウタンボク鉢植え挿し木A01-f01.jpg
2025年10月23日 軽井沢草花館 ハナヒョウタンボクの挿し木 A6

下写真:9月23日に初めて確認した冬芽です。前回(10/18)からの5日間で黄葉が進みましたが、冬芽の変化は分かりませんでした。

20251023ハナヒョウタンボク鉢植え挿し木A01-f02.jpg
2025年10月23日 軽井沢草花館 ハナヒョウタンボクの挿し木 A6

下写真:前回(10/18)撮影

20251018ハナヒョウタンボク鉢植え挿し木A01-f02.jpg
2025年10月18日 軽井沢草花館 ハナヒョウタンボクの挿し木 A6

【挿し木B1(9/13に冬芽確認)、冬芽変化なし

もう一つ鉢(B)は4本のうち2本が枯れてしまいましたが、残り2本には冬芽が出ています。

20251023ハナヒョウタンボク鉢植え挿し木B01-a01.jpg
2025年10月23日 軽井沢草花館 ハナヒョウタンボクの挿し木 B1

下写真:9月13日に初めて確認した冬芽です。それ以降、冬芽に大きな変化は見られませんが、この5日間で黄葉が少し進みました。

20251023ハナヒョウタンボク鉢植え挿し木B01-a02.jpg
2025年10月23日 軽井沢草花館 ハナヒョウタンボクの挿し木 B1

下写真:前回(10/18)撮影

20251018ハナヒョウタンボク鉢植え挿し木B01-a02.jpg
2025年10月18日 軽井沢草花館 ハナヒョウタンボクの挿し木 B1

【挿し木B2(9/18に冬芽確認)、冬芽の変化分からず

20251023ハナヒョウタンボク鉢植え挿し木B01-b01.jpg
2025年10月23日 軽井沢草花館 ハナヒョウタンボクの挿し木 B2

下写真:9月18日に初めて確認した冬芽です。まだ1_程度の大きさですが、9/18→9/23→9/28→10/3→10/8→10/13へと5日おきに少しづつですが成長を続けてきて、8本の挿し木の中では、冬芽の出始めが一番遅かったものの、唯一、成長がコンスタンスに続けてきた苗です。しかし、前回(10/18)の観察以降、冬芽の成長は確認できていません。

20251023ハナヒョウタンボク鉢植え挿し木B01-b02.jpg
2025年10月23日 軽井沢草花館 ハナヒョウタンボクの挿し木 B2

下写真:10月18日撮影です。

20251018ハナヒョウタンボク鉢植え挿し木B01-b02.jpg
2025年10月18日 軽井沢草花館 ハナヒョウタンボクの挿し木 B2

以下、4月19日からの挿し木の変遷です。

【2025年10月23日(187日目)】
20251023ハナヒョウタンボク鉢植え挿し木.jpg

【2025年10月3日(172日目)】
20251008ハナヒョウタンボク鉢植え挿し木.jpg

【2025年8月29日(132日目)】
20250829ハナヒョウタンボク鉢植え挿し木.jpg

【2025年7月20日(92日目)】
20250720ハナヒョウタンボク鉢植え挿し木.jpg

【2025年6月10日(52日目)】
20250610ハナヒョウタンボク鉢植え挿し木.jpg

【2025年5月21日(32日目)】
20250521ハナヒョウタンボク鉢植え挿し木.jpg

【2025年5月2日(13日目)】
20250502ハナヒョウタンボク鉢植え挿し木.jpg

【2025年4月19日 挿し木開始】
20250419ハナヒョウタンボク鉢植え挿し木開始01.jpg

【小さな美術館軽井沢草花館 2025年度展示のご案内】

2025年11月16日(日)まで「石川功一の水彩・油彩展 軽井沢の花と実」を開催中。
火曜日休館(2025年11月17日以降、翌年4月下旬まで冬期休館)
詳しくはこちら 軽井沢草花館 ブログユウスゲ日記より「展示案内
posted by kusabanakan at 15:59| ハナヒョウタンボク日記

2025年10月18日

ハナヒョウタンボク日記(55)挿し木182日目、オニヒョウタンボク冬芽と比較(10/18)

2023、2024年とハナヒョウタンボクの挿し木に挑戦し、ともに失敗に終わりましたが、三たび挑戦中です。

今年(2025)の4月19日に2つの鉢に挿し木を始めて今日で182日目、約半年となりました。
挿し木した10本のうち2本は6月に枯れてしまい、残り8本の成長を観察しているところです。
9月18日には8本すべての挿し木に冬芽を確認することが出来ました。
そして、それらが少しずつ成長を続け、現在に至っています。
前回(10/13)からの成長はわからないくらい微小ですが続いています。
また、若干黄葉してきましたが、落葉はしていません。

参考までに、今回も草花館の庭のオニヒョウタンボクの冬芽とも比べてみました(下写真)。
オニヒョウタンボクの冬芽は前回と違うものですが、たくさん付いている冬芽の中で標準的な大きさのものを選びました。
比べると、ハナヒョウタンボクの冬芽はオニヒョウタンボクの冬芽の(長さにして)半分くらいでした。

20251018ハナ&オニ冬芽の比較.jpg
2025年10月18日 軽井沢草花館 
オニヒョウタンボク(左)とハナヒョウタンボク挿し木B1(右)の冬芽

(メモ)

6月25日:枝の長さ22_、葉の長さ(最長)15_(A1)
6月30日:枝の長さ30_、葉の長さ(最長)20_(A1)
7月5日:枝の長さ37_、葉の長さ(最長)22_(A1)
7月10日:枝の長さ38_、葉の長さ(最長)24_、枝の先端の葉の長さ18_(A1)
7月15日:枝の長さ38_、葉の長さ(最長)25_、枝の先端の葉の長さ20_(A1)
7月20日:枝の長さ40_、葉の長さ(最長)25_、枝の先端の葉の長さ21_(A1)
 ↓(途中省略)
8月9日:枝の長さ40_、葉の長さ(最長)25_、枝の先端の葉の長さ21_で7/20から変化なし(A1)
8月9日:節に冬芽と思われる突起が複数(長さ1ミリ未満)と新芽?と思うような1センチ程度の細長い茎のようなもの1本を確認(A1)
8月14日:冬芽(A1)と新芽と思われる部分に変化なし→その後成長せず。
8月19日:冬芽のサイズがわずかに成長(A1)
8月24日:新たな挿し木(1本)から冬芽確認(A2)
9月13日:新たな挿し木(2本)から冬芽確認(A3、B1)、4本の挿し木からはまだ冬芽確認できず
9月18日:新たな挿し木(4本)から冬芽確認(A4、A5、A6、B2、すべての挿し木で冬芽を確認)
9月23日:A5の葉が5枚から1枚に、B2の冬芽がわずかに大きく。
9月28日:8つの挿し木のうち、4本の冬芽がわずかに大きく
10月3日:B2の冬芽がわずかに大きく
10月8日:一部黄葉&落葉、冬芽サイズ微増
10月13日:オニヒョウタンボクの冬芽との比較(B1)
10月18日:オニヒョウタンボクの冬芽との比較(B1)

【挿し木A1(8/9に最初の冬芽確認)わずかに冬芽成長

20251018ハナヒョウタンボク鉢植え挿し木A01-a01.jpg
2025年10月18日 軽井沢草花館 ハナヒョウタンボクの挿し木 A1

下写真:8月9日に初めて確認した冬芽です。長さは1_程度で、正確に測っていませんが、目測では前回(10/13)からの5日間でわずかに大きくなっているように見えました。

20251018ハナヒョウタンボク鉢植え挿し木A01-a02.jpg
2025年10月18日 軽井沢草花館 ハナヒョウタンボクの挿し木 A1 冬芽

下写真:前回、10月13日撮影です。

20251013ハナヒョウタンボク鉢植え挿し木A01-a02.jpg
2025年10月13日 軽井沢草花館 ハナヒョウタンボクの挿し木 A1 冬芽

下写真:7月10日撮影です。この時を基準にすると、確実に成長しています。

20250710ハナヒョウタンボク鉢植え挿し木A03.jpg
2025年7月10日 軽井沢草花館 ハナヒョウタンボクの挿し木 A 冬芽

【挿し木A2(8/24に冬芽確認)冬芽変化なし

20251018ハナヒョウタンボク鉢植え挿し木A01-b01.jpg
2025年10月18日 軽井沢草花館 ハナヒョウタンボクの挿し木 A2

下写真:8月24日に初めて確認した冬芽です。前回(10/13)からの5日間で変化は見られませんでした。

20251018ハナヒョウタンボク鉢植え挿し木A01-b02.jpg
2025年10月18日 軽井沢草花館 ハナヒョウタンボクの挿し木 A2 冬芽

下写真:8月29日観察時の撮影です。この時と比べると、1_の10分の1単位で大きくなっているように見えます。

20250829ハナヒョウタンボク鉢植え挿し木A05.jpg
2025年8月29日 軽井沢草花館 ハナヒョウタンボクの挿し木 A2 冬芽

【挿し木A3(9/13に冬芽確認)わずかに冬芽成長

20251018ハナヒョウタンボク鉢植え挿し木A01-c01.jpg
2025年10月18日 軽井沢草花館 ハナヒョウタンボクの挿し木 A3

下写真:9月13日に初めて確認した冬芽です。前回(10/13)の時よりも、わずかながら大きくなっているように見えます。

20251018ハナヒョウタンボク鉢植え挿し木A01-c02.jpg
2025年10月18日 軽井沢草花館 ハナヒョウタンボクの挿し木 A3

下写真:前回、10月13日撮影です。

20251013ハナヒョウタンボク鉢植え挿し木A01-c02.jpg
2025年10月13日 軽井沢草花館 ハナヒョウタンボクの挿し木 A3

【挿し木A4(9/18に冬芽確認)わずかに冬芽成長

20251018ハナヒョウタンボク鉢植え挿し木A01-d01.jpg
2025年10月18日 軽井沢草花館 ハナヒョウタンボクの挿し木 A4

下写真:9月18日に確認した冬芽です。前回(10/13)の時よりも、わずかながら大きくなっているように見えます。

20251018ハナヒョウタンボク鉢植え挿し木A01-d02.jpg
2025年10月18日 軽井沢草花館 ハナヒョウタンボクの挿し木 A4

下写真:前回(10/13)撮影

20251013ハナヒョウタンボク鉢植え挿し木A01-d02.jpg
2025年10月13日 軽井沢草花館 ハナヒョウタンボクの挿し木 A4

【挿し木A5(9/18に冬芽確認)わずかに冬芽成長】 

20251018ハナヒョウタンボク鉢植え挿し木A01-e01.jpg
2025年10月18日 軽井沢草花館 ハナヒョウタンボクの挿し木 A5

下写真:9月18日に初めて確認した冬芽です。前回(10/13)の時よりも、わずかながら大きくなっているように見えます。

20251018ハナヒョウタンボク鉢植え挿し木A01-e02.jpg
2025年10月18日 軽井沢草花館 ハナヒョウタンボクの挿し木 A5

下写真:前回(10/13)撮影

20251013ハナヒョウタンボク鉢植え挿し木A01-e02.jpg
2025年10月13日 軽井沢草花館 ハナヒョウタンボクの挿し木 A5

【挿し木A6(9/18に冬芽確認)冬芽変化なし

20251018ハナヒョウタンボク鉢植え挿し木A01-f01.jpg
2025年10月18日 軽井沢草花館 ハナヒョウタンボクの挿し木 A6

下写真:9月23日に初めて確認した冬芽です。前回(10/13)からの5日間で変化は見られませんでした。

20251018ハナヒョウタンボク鉢植え挿し木A01-f02.jpg
2025年10月18日 軽井沢草花館 ハナヒョウタンボクの挿し木 A6

【挿し木B1(9/13に冬芽確認)、冬芽変化なし オニヒョウタンボクとの比較

もう一つ鉢(B)は4本のうち2本が枯れてしまいましたが、残り2本には冬芽が出ています。

20251018ハナヒョウタンボク鉢植え挿し木B01-a01.jpg
2025年10月18日 軽井沢草花館 ハナヒョウタンボクの挿し木 B1

下写真:9月13日に初めて確認した冬芽です。それ以降、冬芽に大きな変化は見られません。冬芽の大きさは長さにして最大3.5mmです。今回は、草花館の庭に生えているオニヒョウタンボクの冬芽とも比べてみました。

20251018ハナヒョウタンボク鉢植え挿し木B01-a02.jpg
2025年10月18日 軽井沢草花館 ハナヒョウタンボクの挿し木 B1

下写真:草花館の庭に生えているオニヒョウタンボクとの比較です。
前回(10/13)も同様に比較してみましたが、今回(10/18)比較したオニヒョウタンボクの冬芽は前回(10/13)比較したオニヒョウタンボクの冬芽とは別のものになります(前回の冬芽がどれだかわからなかくなってしまったので…)。
オニヒョウタンボクの木にはたくさんの冬芽が付いていて、その中の標準的な大きさの冬芽を選びました。
結果は、
・オニヒョウタンボクの標準的な冬芽の長さは6_前後
・ハナヒョウタンボクの挿し木(B1)に付いた冬芽の長さは最大で3.5_
尚、B1以外のハナヒョウタンボクの冬芽は長さにして1_前後しかないので、オニヒョウタンボクと比べるとだいぶ小さいです。

20251018ハナ&オニ冬芽の比較.jpg
2025年10月18日 軽井沢草花館 
オニヒョウタンボク(左)とハナヒョウタンボク挿し木(右)の冬芽

【挿し木B2(9/18に冬芽確認)、わずかに冬芽成長

20251018ハナヒョウタンボク鉢植え挿し木B01-b01.jpg
2025年10月18日 軽井沢草花館 ハナヒョウタンボクの挿し木 B2

下写真:9月18日に初めて確認した冬芽です。まだ1_程度の大きさですが、9/18→9/23→9/28→10/3→10/8→10/13へと5日おきに少しづつですが成長を続けてきて、8本の挿し木の中では、冬芽の出始めが一番遅かったものの、唯一、成長がコンスタンスに続けてきた苗です。しかし、今回(10/18)の観察では冬芽の成長は確認できませんでした。

20251018ハナヒョウタンボク鉢植え挿し木B01-b02.jpg
2025年10月18日 軽井沢草花館 ハナヒョウタンボクの挿し木 B2

下写真:10月13日撮影です。

20251013ハナヒョウタンボク鉢植え挿し木B01-b02.jpg
2025年10月13日 軽井沢草花館 ハナヒョウタンボクの挿し木 B2

以下、4月19日からの挿し木の変遷です。

【2025年10月13日(182日目)】
20251018ハナヒョウタンボク鉢植え挿し木.jpg

【2025年10月3日(172日目)】
20251008ハナヒョウタンボク鉢植え挿し木.jpg

【2025年8月29日(132日目)】
20250829ハナヒョウタンボク鉢植え挿し木.jpg

【2025年7月20日(92日目)】
20250720ハナヒョウタンボク鉢植え挿し木.jpg

【2025年6月10日(52日目)】
20250610ハナヒョウタンボク鉢植え挿し木.jpg

【2025年5月21日(32日目)】
20250521ハナヒョウタンボク鉢植え挿し木.jpg

【2025年5月2日(13日目)】
20250502ハナヒョウタンボク鉢植え挿し木.jpg

【2025年4月19日 挿し木開始】
20250419ハナヒョウタンボク鉢植え挿し木開始01.jpg

【小さな美術館軽井沢草花館 2025年度展示のご案内】

2025年11月16日(日)まで「石川功一の水彩・油彩展 軽井沢の花と実」を開催中。
火曜日休館(2025年11月17日以降、翌年4月下旬まで冬期休館)
詳しくはこちら 軽井沢草花館 ブログユウスゲ日記より「展示案内
posted by kusabanakan at 16:46| ハナヒョウタンボク日記

2025年10月13日

ハナヒョウタンボク日記(54)挿し木177日目、オニヒョウタンボク冬芽と比較(10/13)

2023、2024年とハナヒョウタンボクの挿し木に挑戦し、ともに失敗に終わりましたが、三たび挑戦中です。

今年(2025)の4月19日に2つの鉢に挿し木を始めて今日で177日目となりました。
挿し木した10本のうち2本は6月に枯れてしまい、残り8本の成長を観察しているところです。
9月18日には8本すべての挿し木に冬芽を確認することが出来ました。
そして、それらがほんの少しずつ成長を続け、現在に至っています。
前回(10/8)からの変化も微小ですが、枯れていく気配はありません。
今回は草花館の庭のオニヒョウタンボクの冬芽とも比べてみました。

20251013ハナ&オニ冬芽の比較.jpg
2025年10月13日 軽井沢草花館 
オニヒョウタンボク(左)とハナヒョウタンボク挿し木B1(右)の冬芽

(メモ)

6月25日:枝の長さ22_、葉の長さ(最長)15_(A1)
6月30日:枝の長さ30_、葉の長さ(最長)20_(A1)
7月5日:枝の長さ37_、葉の長さ(最長)22_(A1)
7月10日:枝の長さ38_、葉の長さ(最長)24_、枝の先端の葉の長さ18_(A1)
7月15日:枝の長さ38_、葉の長さ(最長)25_、枝の先端の葉の長さ20_(A1)
7月20日:枝の長さ40_、葉の長さ(最長)25_、枝の先端の葉の長さ21_(A1)
 ↓(途中省略)
8月9日:枝の長さ40_、葉の長さ(最長)25_、枝の先端の葉の長さ21_で7/20から変化なし(A1)
8月9日:節に冬芽と思われる突起が複数(長さ1ミリ未満)と新芽?と思うような1センチ程度の細長い茎のようなもの1本を確認(A1)
8月14日:冬芽(A1)と新芽と思われる部分に変化なし→その後成長せず。
8月19日:冬芽のサイズがわずかに成長(A1)
8月24日:新たな挿し木(1本)から冬芽確認(A2)
9月13日:新たな挿し木(2本)から冬芽確認(A3、B1)、4本の挿し木からはまだ冬芽確認できず
9月18日:新たな挿し木(4本)から冬芽確認(A4、A5、A6、B2、すべての挿し木で冬芽を確認)
9月23日:A5の葉が5枚から1枚に、B2の冬芽がわずかに大きく。
9月28日:8つの挿し木のうち、4本の冬芽がわずかに大きく
10月3日:B2の冬芽がわずかに大きく
10月8日:一部黄葉&落葉、冬芽サイズ微増
10月13日:オニヒョウタンボクの冬芽との比較(B1)

【挿し木A1(8/9に最初の冬芽確認)冬芽変化なし

20251013ハナヒョウタンボク鉢植え挿し木A01-a01.jpg
2025年10月13日 軽井沢草花館 ハナヒョウタンボクの挿し木 A1

下写真:8月9日に初めて確認した冬芽です。長さは1_にも満たないので、正確に測っていませんが、目測では前回(10/8)からの5日間で変化は見られません。

20251013ハナヒョウタンボク鉢植え挿し木A01-a02.jpg
2025年10月13日 軽井沢草花館 ハナヒョウタンボクの挿し木 A1 冬芽

下写真:前回、10月8日撮影です。

20251008ハナヒョウタンボク鉢植え挿し木A01-a02.jpg
2025年10月8日 軽井沢草花館 ハナヒョウタンボクの挿し木 A1 冬芽

下写真:7月10日撮影です。この時を基準にすると、確実に成長しています。

20250710ハナヒョウタンボク鉢植え挿し木A03.jpg
2025年7月10日 軽井沢草花館 ハナヒョウタンボクの挿し木 A 冬芽

【挿し木A2(8/24に冬芽確認)冬芽変化なし

20251013ハナヒョウタンボク鉢植え挿し木A01-b01.jpg
2025年10月13日 軽井沢草花館 ハナヒョウタンボクの挿し木 A2

下写真:8月24日に初めて確認した冬芽です。前回(10/8)からの5日間で変化は見られませんでした。

20251013ハナヒョウタンボク鉢植え挿し木A01-b02.jpg
2025年10月13日 軽井沢草花館 ハナヒョウタンボクの挿し木 A2 冬芽

下写真:1か月半前の8月29日観察時の撮影です。こうして比べると、1_の10分の1単位で大きくなっているように見えます。

20250829ハナヒョウタンボク鉢植え挿し木A05.jpg
2025年8月29日 軽井沢草花館 ハナヒョウタンボクの挿し木 A2 冬芽

【挿し木A3(9/13に冬芽確認)冬芽変化なし

20251013ハナヒョウタンボク鉢植え挿し木A01-c01.jpg
2025年10月13日 軽井沢草花館 ハナヒョウタンボクの挿し木 A3

下写真:9月13日に初めて確認した冬芽です。前回(10/8)からの5日間で変化は見られませんでした。

20251013ハナヒョウタンボク鉢植え挿し木A01-c02.jpg
2025年10月13日 軽井沢草花館 ハナヒョウタンボクの挿し木 A3

【挿し木A4(9/18に冬芽確認)わずかに冬芽成長

20251013ハナヒョウタンボク鉢植え挿し木A01-d01.jpg
2025年10月13日 軽井沢草花館 ハナヒョウタンボクの挿し木 A4

下写真:9月18日に確認した冬芽です。前回(10/8)の時よりも、わずかながら大きくなっているように見えます。

20251013ハナヒョウタンボク鉢植え挿し木A01-d02.jpg
2025年10月13日 軽井沢草花館 ハナヒョウタンボクの挿し木 A4

下写真:前回(10/8)撮影

20251008ハナヒョウタンボク鉢植え挿し木A01-d02.jpg
2025年10月8日 軽井沢草花館 ハナヒョウタンボクの挿し木 A4

【挿し木A5(9/18に冬芽確認)冬芽変化なし】 

20251013ハナヒョウタンボク鉢植え挿し木A01-e01.jpg
2025年10月13日 軽井沢草花館 ハナヒョウタンボクの挿し木 A5

下写真:9月18日に初めて確認した冬芽です。前回(10/8)からの5日間で変化は見られませんでした。

20251013ハナヒョウタンボク鉢植え挿し木A01-e02.jpg
2025年10月13日 軽井沢草花館 ハナヒョウタンボクの挿し木 A5

【挿し木A6(9/18に冬芽確認)冬芽変化なし

20251013ハナヒョウタンボク鉢植え挿し木A01-f01.jpg
2025年10月13日 軽井沢草花館 ハナヒョウタンボクの挿し木 A6

下写真:9月23日に初めて確認した冬芽です。前回(10/8)からの5日間で変化は見られませんでした。

20251013ハナヒョウタンボク鉢植え挿し木A01-f02.jpg
2025年10月13日 軽井沢草花館 ハナヒョウタンボクの挿し木 A6

【挿し木B1(9/13に冬芽確認)、冬芽変化なし オニヒョウタンボクとの比較

もう一つ鉢(B)は4本のうち2本が枯れてしまいましたが、残り2本には冬芽が出ています。

20251013ハナヒョウタンボク鉢植え挿し木B01-a01.jpg
2025年10月13日 軽井沢草花館 ハナヒョウタンボクの挿し木 B1

下写真:9月13日に初めて確認した冬芽です。それ以降、冬芽に大きな変化は見られません。冬芽の大きさは長さにして最大3.5mmです。今回は、草花館の庭に生えているオニヒョウタンボクの冬芽とも比べてみました。

20251013ハナヒョウタンボク鉢植え挿し木B01-a02.jpg
2025年10月13日 軽井沢草花館 ハナヒョウタンボクの挿し木 B1

下写真:草花館の庭に生えているオニヒョウタンボクとの比較です。冬芽の大きさは標準的なもので長さ3.5_でした。
オニヒョウタンボクは樹高2.5mくらいの小さな木ですが、春(5月)に花が咲き、実も付けています。
挿し木が付けた冬芽と同じようなサイズだったので、少し安心しました。
ただ、B1以外の冬芽は長さにして1_前後しかないので、オニヒョウタンボクと比べるとだいぶ小さいです。

20251013ハナ&オニ冬芽の比較.jpg
2025年10月13日 軽井沢草花館 
オニヒョウタンボク(左)とハナヒョウタンボク挿し木(右)の冬芽

【挿し木B2(9/18に冬芽確認)、わずかに冬芽成長

20251013ハナヒョウタンボク鉢植え挿し木B01-b01.jpg
2025年10月13日 軽井沢草花館 ハナヒョウタンボクの挿し木 B2

下写真:9月18日に初めて確認した冬芽です。まだ1_程度の大きさですが、9/18→9/23→9/28→10/3→10/8へと5日おきに少しづつですが成長を続けてきて、8本の挿し木の中では、冬芽の出始めが一番遅かったものの、唯一、成長がコンスタンスに続いている苗です。今回(10/13)の観察でも冬芽がわずかながら大きく成長していました。

20251013ハナヒョウタンボク鉢植え挿し木B01-b02.jpg
2025年10月13日 軽井沢草花館 ハナヒョウタンボクの挿し木 B2

下写真:10月8日撮影です。

20251008ハナヒョウタンボク鉢植え挿し木B01-b02.jpg
2025年10月8日 軽井沢草花館 ハナヒョウタンボクの挿し木 B2

以下、4月19日からの挿し木の変遷です。

【2025年10月13日(177日目)】
20251013ハナヒョウタンボク鉢植え挿し木.jpg

【2025年10月3日(172日目)】
20251008ハナヒョウタンボク鉢植え挿し木.jpg

【2025年8月29日(132日目)】
20250829ハナヒョウタンボク鉢植え挿し木.jpg

【2025年7月20日(92日目)】
20250720ハナヒョウタンボク鉢植え挿し木.jpg

【2025年6月10日(52日目)】
20250610ハナヒョウタンボク鉢植え挿し木.jpg

【2025年5月21日(32日目)】
20250521ハナヒョウタンボク鉢植え挿し木.jpg

【2025年5月2日(13日目)】
20250502ハナヒョウタンボク鉢植え挿し木.jpg

【2025年4月19日 挿し木開始】
20250419ハナヒョウタンボク鉢植え挿し木開始01.jpg

【小さな美術館軽井沢草花館 2025年度展示のご案内】

2025年11月16日(日)まで「石川功一の水彩・油彩展 軽井沢の花と実」を開催中。
火曜日休館(2025年11月17日以降、翌年4月下旬まで冬期休館)
詳しくはこちら 軽井沢草花館 ブログユウスゲ日記より「展示案内
posted by kusabanakan at 16:28| ハナヒョウタンボク日記

2025年10月08日

ハナヒョウタンボク日記(53)挿し木172日目、黄葉&落葉、冬芽は微成長(10/8)

2023、2024年とハナヒョウタンボクの挿し木に挑戦し、ともに失敗に終わりましたが、三たび挑戦中です。

今年(2025)の4月19日に2つの鉢に挿し木を始めて今日で172日目となりました。
挿し木した10本のうち2本は6月に枯れてしまい、残り8本の成長を観察しているところです。
9月18日には8本すべての挿し木に冬芽を確認することが出来ました。

前回(10/3)からの5日間でわずかですが冬芽が成長していました。
また、黄葉が少し進み、落葉も一部見られました。
(メモ)

6月25日:枝の長さ22_、葉の長さ(最長)15_(A1)
6月30日:枝の長さ30_、葉の長さ(最長)20_(A1)
7月5日:枝の長さ37_、葉の長さ(最長)22_(A1)
7月10日:枝の長さ38_、葉の長さ(最長)24_、枝の先端の葉の長さ18_(A1)
7月15日:枝の長さ38_、葉の長さ(最長)25_、枝の先端の葉の長さ20_(A1)
7月20日:枝の長さ40_、葉の長さ(最長)25_、枝の先端の葉の長さ21_(A1)
 ↓(途中省略)
8月9日:枝の長さ40_、葉の長さ(最長)25_、枝の先端の葉の長さ21_で7/20から変化なし(A1)
8月9日:節に冬芽と思われる突起が複数(長さ1ミリ未満)と新芽?と思うような1センチ程度の細長い茎のようなもの1本を確認(A1)
8月14日:冬芽(A1)と新芽と思われる部分に変化なし→その後成長せず。
8月19日:冬芽のサイズがわずかに成長(A1)
8月24日:新たな挿し木(1本)から冬芽確認(A2)
9月13日:新たな挿し木(2本)から冬芽確認(A3、B1)、4本の挿し木からはまだ冬芽確認できず
9月18日:新たな挿し木(4本)から冬芽確認(A4、A5、A6、B2、すべての挿し木で冬芽を確認)
9月23日:A5の葉が5枚から1枚に、B2の冬芽がわずかに大きく。
9月28日:8つの挿し木のうち、4本の冬芽がわずかに大きく
10月3日:B2の冬芽がわずかに大きく
10月8日:一部黄葉&落葉、冬芽サイズ微増

【挿し木A1(8/9に最初の冬芽確認)わずかに冬芽成長

20251008ハナヒョウタンボク鉢植え挿し木A01-a01.jpg
2025年10月8日 軽井沢草花館 ハナヒョウタンボクの挿し木 A1

下写真:前回(10/3)撮影です。比べると、この5日間で黄葉してきています。

20251003ハナヒョウタンボク鉢植え挿し木A01-a01.jpg
2025年10月3日 軽井沢草花館 ハナヒョウタンボクの挿し木 A1

下写真:8月9日に初めて確認した冬芽です。長さは1_にも満たないので、正確に測っていませんが、目測では前回(10/3)の時よりも、わずかながら大きくなっているように見えます。

20251008ハナヒョウタンボク鉢植え挿し木A01-a02.jpg
2025年10月8日 軽井沢草花館 ハナヒョウタンボクの挿し木 A1 冬芽

下写真:前回、10月3日撮影です。

20251003ハナヒョウタンボク鉢植え挿し木A01-a02.jpg
2025年10月3日 軽井沢草花館 ハナヒョウタンボクの挿し木 A1 冬芽

下写真:7月10日撮影です。この時を基準にすると、確実に成長しているといえそうです。

20250710ハナヒョウタンボク鉢植え挿し木A03.jpg
2025年7月10日 軽井沢草花館 ハナヒョウタンボクの挿し木 A 冬芽

【挿し木A2(8/24に冬芽確認)わずかに冬芽成長&1枚落葉

20251008ハナヒョウタンボク鉢植え挿し木A01-b01.jpg
2025年10月8日 軽井沢草花館 ハナヒョウタンボクの挿し木 A2

下写真:8月24日に初めて確認した冬芽です。

20251008ハナヒョウタンボク鉢植え挿し木A01-b02.jpg
2025年10月8日 軽井沢草花館 ハナヒョウタンボクの挿し木 A2 冬芽

下写真:1か月以上前の8月29日観察時の撮影です。こうして比べると、1_の10分の1単位で大きくなっているように見えます。また、葉っぱが1枚落ちていました。

20250829ハナヒョウタンボク鉢植え挿し木A05.jpg
2025年8月29日 軽井沢草花館 ハナヒョウタンボクの挿し木 A2 冬芽

【挿し木A3(9/13に冬芽確認)わずかに冬芽成長

20251008ハナヒョウタンボク鉢植え挿し木A01-c01.jpg
2025年10月8日 軽井沢草花館 ハナヒョウタンボクの挿し木 A3

下写真:9月13日に初めて確認した冬芽です。前回(10/3)の時よりも、わずかながら大きくなっているように見えます。

20251008ハナヒョウタンボク鉢植え挿し木A01-c02.jpg
2025年10月8日 軽井沢草花館 ハナヒョウタンボクの挿し木 A3

下写真:前回(10/3)撮影です。

20251003ハナヒョウタンボク鉢植え挿し木A01-c02.jpg
2025年10月3日 軽井沢草花館 ハナヒョウタンボクの挿し木 A3

【挿し木A4(9/18に冬芽確認)わずかに冬芽成長&1枚落葉

20251008ハナヒョウタンボク鉢植え挿し木A01-d01.jpg
2025年10月8日 軽井沢草花館 ハナヒョウタンボクの挿し木 A4

下写真:9月18日に確認した冬芽です。前回(10/3)の時よりも、わずかながら大きくなっているように見えます。また葉っぱが1枚落ちていました。

20251008ハナヒョウタンボク鉢植え挿し木A01-d02.jpg
2025年10月8日 軽井沢草花館 ハナヒョウタンボクの挿し木 A4

下写真:前回(10/3)撮影

20251003ハナヒョウタンボク鉢植え挿し木A01-d02.jpg
2025年10月3日 軽井沢草花館 ハナヒョウタンボクの挿し木 A4

【挿し木A5(9/18に冬芽確認)わずかに冬芽成長】 

1枚だけになっている葉っぱは、今日もなんとか残っていました。

20251003ハナヒョウタンボク鉢植え挿し木A01-e01.jpg
2025年10月8日 軽井沢草花館 ハナヒョウタンボクの挿し木 A5

下写真:9月18日に初めて確認した冬芽です。前回(10/3)の時よりも、わずかながら大きくなっているように見えます。

20251008ハナヒョウタンボク鉢植え挿し木A01-e02.jpg
2025年10月8日 軽井沢草花館 ハナヒョウタンボクの挿し木 A5

下写真:前回(10/3)撮影

20251003ハナヒョウタンボク鉢植え挿し木A01-e02.jpg
2025年10月3日 軽井沢草花館 ハナヒョウタンボクの挿し木 A5

【挿し木A6(9/18に冬芽確認)わずかに冬芽成長

20251008ハナヒョウタンボク鉢植え挿し木A01-f01.jpg
2025年10月8日 軽井沢草花館 ハナヒョウタンボクの挿し木 A6

下写真:9月23日に初めて確認した冬芽です。前回(10/3)の時よりも、わずかながら大きくなっているように見えます。

20251008ハナヒョウタンボク鉢植え挿し木A01-f02.jpg
2025年10月8日 軽井沢草花館 ハナヒョウタンボクの挿し木 A6

下写真:前回(10/3)撮影

20251003ハナヒョウタンボク鉢植え挿し木A01-f02.jpg
2025年10月3日 軽井沢草花館 ハナヒョウタンボクの挿し木 A6

【挿し木B1(9/13に冬芽確認)、冬芽の成長見られず

もう一つ鉢(B)は4本のうち2本が枯れてしまいましたが、残り2本には冬芽が出ています。

20251008ハナヒョウタンボク鉢植え挿し木B01-a01.jpg
2025年10月8日 軽井沢草花館 ハナヒョウタンボクの挿し木 B1

下写真:前回(10/3)撮影です。比べると、この5日間で黄葉してきています。

20251003ハナヒョウタンボク鉢植え挿し木B01-a01.jpg
2025年10月3日 軽井沢草花館 ハナヒョウタンボクの挿し木 B1

下写真:9月13日に初めて確認した冬芽です。それ以降、冬芽に大きな変化は見られません。

20251008ハナヒョウタンボク鉢植え挿し木B01-a02.jpg
2025年10月8日 軽井沢草花館 ハナヒョウタンボクの挿し木 B1

下写真:前回(10/3)撮影

20251003ハナヒョウタンボク鉢植え挿し木B01-a02.jpg
2025年10月3日 軽井沢草花館 ハナヒョウタンボクの挿し木 B1

【挿し木B2(9/18に冬芽確認)、わずかに冬芽成長

20251008ハナヒョウタンボク鉢植え挿し木B01-b01.jpg
2025年10月8日 軽井沢草花館 ハナヒョウタンボクの挿し木 B2

下写真:9月18日に初めて確認した冬芽です。まだ1_程度の大きさですが、9/18→9/23→9/28→10/3へと5日おきに少しづつですが成長を続けてきて、8本の挿し木の中では、冬芽の出始めが一番遅かったものの、唯一、成長がコンスタンスに続いている苗です。今回(10/8)の観察でも冬芽がわずかながら大きく成長していました。

20251008ハナヒョウタンボク鉢植え挿し木B01-b02.jpg
2025年10月8日 軽井沢草花館 ハナヒョウタンボクの挿し木 B2

下写真:10月3日撮影です。

20251003ハナヒョウタンボク鉢植え挿し木B01-b02.jpg
2025年10月3日 軽井沢草花館 ハナヒョウタンボクの挿し木 B2

以下、4月19日からの挿し木の変遷です。

【2025年10月3日(172日目)】
20251008ハナヒョウタンボク鉢植え挿し木.jpg

【2025年8月29日(132日目)】
20250829ハナヒョウタンボク鉢植え挿し木.jpg

【2025年7月20日(92日目)】
20250720ハナヒョウタンボク鉢植え挿し木.jpg

【2025年6月10日(52日目)】
20250610ハナヒョウタンボク鉢植え挿し木.jpg

【2025年5月21日(32日目)】
20250521ハナヒョウタンボク鉢植え挿し木.jpg

【2025年5月2日(13日目)】
20250502ハナヒョウタンボク鉢植え挿し木.jpg

【2025年4月19日 挿し木開始】
20250419ハナヒョウタンボク鉢植え挿し木開始01.jpg

【小さな美術館軽井沢草花館 2025年度展示のご案内】

2025年11月16日(日)まで「石川功一の水彩・油彩展 軽井沢の花と実」を開催中。
火曜日休館(2025年11月17日以降、翌年4月下旬まで冬期休館)
詳しくはこちら 軽井沢草花館 ブログユウスゲ日記より「展示案内
posted by kusabanakan at 14:12| ハナヒョウタンボク日記

2025年10月03日

ハナヒョウタンボク日記(52)挿し木167日目、8本中1本の冬芽大きく(10/3)

2023、2024年とハナヒョウタンボクの挿し木に挑戦し、ともに失敗に終わりましたが、三たび挑戦中です。

4月19日に2つの鉢に挿し木を始めて今日で167日目となりました。
挿し木した10本のうち2本が6月に枯れてしまい、残り8本の成長を観察しているところです。
9月18日に8本すべての挿し木に冬芽を確認することが出来ました。
前回9月29日からの5日間でB2の冬芽にわずかながら大きくなりました。他の7本の苗ではこれといった冬芽の成長が見られませんでしたが、苗や冬芽自体の状態は良さそうです。

(メモ)

6月25日:枝の長さ22_、葉の長さ(最長)15_(A1)
6月30日:枝の長さ30_、葉の長さ(最長)20_(A1)
7月5日:枝の長さ37_、葉の長さ(最長)22_(A1)
7月10日:枝の長さ38_、葉の長さ(最長)24_、枝の先端の葉の長さ18_(A1)
7月15日:枝の長さ38_、葉の長さ(最長)25_、枝の先端の葉の長さ20_(A1)
7月20日:枝の長さ40_、葉の長さ(最長)25_、枝の先端の葉の長さ21_(A1)
 ↓(途中省略)
8月9日:枝の長さ40_、葉の長さ(最長)25_、枝の先端の葉の長さ21_で7/20から変化なし(A1)
8月9日:節に冬芽と思われる突起が複数(長さ1ミリ未満)と新芽?と思うような1センチ程度の細長い茎のようなもの1本を確認(A1)
8月14日:冬芽(A1)と新芽と思われる部分に変化なし→その後成長せず。
8月19日:冬芽のサイズがわずかに成長(A1)
8月24日:新たな挿し木(1本)から冬芽確認(A2)
9月13日:新たな挿し木(2本)から冬芽確認(A3、B1)、4本の挿し木からはまだ冬芽確認できず
9月18日:新たな挿し木(4本)から冬芽確認(A4、A5、A6、B2、すべての挿し木で冬芽を確認)
9月23日:A5の葉が5枚から1枚に、B2の冬芽がわずかに大きく。
9月28日:8つの挿し木のうち、4本の冬芽がわずかに大きく
10月3日:B2の冬芽がわずかに大きく

【挿し木A1(8/9に最初の冬芽確認)】

20251003ハナヒョウタンボク鉢植え挿し木A01-a01.jpg
2025年10月3日 軽井沢草花館 ハナヒョウタンボクの挿し木 A1

下写真:8月9日に初めて確認した冬芽です。長さは1_にも満たないので、正確に測っていません。目測では前回(9/28)からの変化は見られません。

20251003ハナヒョウタンボク鉢植え挿し木A01-a02.jpg
2025年10月3日 軽井沢草花館 ハナヒョウタンボクの挿し木 A1 冬芽

下写真:前回、9月28日撮影です。

20250928ハナヒョウタンボク鉢植え挿し木A01-a02.jpg
2025年9月28日 軽井沢草花館 ハナヒョウタンボクの挿し木 A1 冬芽

下写真:7月10日撮影です。この時を基準にすると、確実に成長しているといえそうです。

20250710ハナヒョウタンボク鉢植え挿し木A03.jpg
2025年7月10日 軽井沢草花館 ハナヒョウタンボクの挿し木 A 冬芽

【挿し木A2(8/24に冬芽確認)】

20251003ハナヒョウタンボク鉢植え挿し木A01-b01.jpg
2025年10月3日 軽井沢草花館 ハナヒョウタンボクの挿し木 A2

下写真:8月24日に確認した冬芽です。1ヵ月以上が経過ち、これといった変化は見られませんが、劣化している様子もありません。

20251003ハナヒョウタンボク鉢植え挿し木A01-b02.jpg
2025年10月3日 軽井沢草花館 ハナヒョウタンボクの挿し木 A2 冬芽

【挿し木A3(9/13に冬芽確認)】

20251003ハナヒョウタンボク鉢植え挿し木A01-c01.jpg
2025年10月3日 軽井沢草花館 ハナヒョウタンボクの挿し木 A3

下写真:9月13日に確認した冬芽です。前回(9/28)から、これといった変化は見られません。

20251003ハナヒョウタンボク鉢植え挿し木A01-c02.jpg
2025年10月3日 軽井沢草花館 ハナヒョウタンボクの挿し木 A3

下写真:前回(9/28)撮影

20250928ハナヒョウタンボク鉢植え挿し木A01-c02.jpg
2025年9月28日 軽井沢草花館 ハナヒョウタンボクの挿し木 A3

【挿し木A4(9/18に冬芽確認)】

20251003ハナヒョウタンボク鉢植え挿し木A01-d01.jpg
2025年10月3日 軽井沢草花館 ハナヒョウタンボクの挿し木 A4

下写真:9月18日に確認した冬芽です。前回(9/28)から、これといった変化は見られません。

20251003ハナヒョウタンボク鉢植え挿し木A01-d02.jpg
2025年10月3日 軽井沢草花館 ハナヒョウタンボクの挿し木 A4

下写真:前回(9/28)撮影

20250928ハナヒョウタンボク鉢植え挿し木A01-d02.jpg
2025年9月28日 軽井沢草花館 ハナヒョウタンボクの挿し木 A4

【挿し木A5(9/18に冬芽確認)】 

1枚だけになっている葉っぱは、今日もなんとか残っていました。

20251003ハナヒョウタンボク鉢植え挿し木A01-e01.jpg
2025年10月3日 軽井沢草花館 ハナヒョウタンボクの挿し木 A5

下写真:9月18日に確認した冬芽です。それ以降、冬芽に大きな変化は見られません。

20251003ハナヒョウタンボク鉢植え挿し木A01-e02.jpg
2025年10月3日 軽井沢草花館 ハナヒョウタンボクの挿し木 A5

【挿し木A6(9/18に冬芽確認)】

20251003ハナヒョウタンボク鉢植え挿し木A01-f01.jpg
2025年10月3日 軽井沢草花館 ハナヒョウタンボクの挿し木 A6

下写真:9月23日に確認した冬芽です。それ以降、冬芽に大きな変化は見られません。

20251003ハナヒョウタンボク鉢植え挿し木A01-f02.jpg
2025年10月3日 軽井沢草花館 ハナヒョウタンボクの挿し木 A6

【挿し木B1(9/13に冬芽確認)】

もう一つ鉢(B)は4本のうち2本が枯れてしまいましたが、残り2本には冬芽が出ています。

20251003ハナヒョウタンボク鉢植え挿し木B01-a01.jpg
2025年10月3日 軽井沢草花館 ハナヒョウタンボクの挿し木 B1

下写真:9月13日に確認した冬芽です。それ以降、冬芽に大きな変化は見られません。

20251003ハナヒョウタンボク鉢植え挿し木B01-a02.jpg
2025年10月3日 軽井沢草花館 ハナヒョウタンボクの挿し木 B1

下写真:前回(9/28)撮影

20250928ハナヒョウタンボク鉢植え挿し木B01-a02.jpg
2025年9月28日 軽井沢草花館 ハナヒョウタンボクの挿し木 B1

【挿し木B2(9/18に冬芽確認)、わずかに冬芽成長

20251003ハナヒョウタンボク鉢植え挿し木B01-b01.jpg
2025年10月3日 軽井沢草花館 ハナヒョウタンボクの挿し木 B2

下写真:9月18日に確認した冬芽です。まだ1_にも満たない大きさですが、9/18→9/23→9/28そして10/3へと5日おきに少しづつですが成長を続けています。8本の挿し木の中では、冬芽の出始めが一番遅かったものの、唯一、成長がコンスタンスに続いている苗です。

20251003ハナヒョウタンボク鉢植え挿し木B01-b02.jpg
2025年10月3日 軽井沢草花館 ハナヒョウタンボクの挿し木 B2

下写真:9月28日撮影です。上(10/3)の冬芽に比べるとわずかに小さいです。

20250928ハナヒョウタンボク鉢植え挿し木B01-b02.jpg
2025年9月28日 軽井沢草花館 ハナヒョウタンボクの挿し木 B2

下写真:9月23日撮影です。上(9/28)の冬芽に比べるとわずかに小さいです。

20250923ハナヒョウタンボク鉢植え挿し木B01-b02.jpg
2025年9月23日 軽井沢草花館 ハナヒョウタンボクの挿し木 B2

下写真:9月18日撮影です。上(9/23)の冬芽に比べるとさらに小さいです。

20250918ハナヒョウタンボク鉢植え挿し木B01-b02.jpg
2025年9月18日 軽井沢草花館 ハナヒョウタンボクの挿し木 B2

以下、4月19日からの挿し木の変遷です。

【2025年10月3日(167日目)】
20251003ハナヒョウタンボク鉢植え挿し木.jpg

【2025年8月29日(132日目)】
20250829ハナヒョウタンボク鉢植え挿し木.jpg

【2025年7月20日(92日目)】
20250720ハナヒョウタンボク鉢植え挿し木.jpg

【2025年6月10日(52日目)】
20250610ハナヒョウタンボク鉢植え挿し木.jpg

【2025年5月21日(32日目)】
20250521ハナヒョウタンボク鉢植え挿し木.jpg

【2025年5月2日(13日目)】
20250502ハナヒョウタンボク鉢植え挿し木.jpg

【2025年4月19日 挿し木開始】
20250419ハナヒョウタンボク鉢植え挿し木開始01.jpg

【小さな美術館軽井沢草花館 2025年度展示のご案内】

2025年11月16日(日)まで「石川功一の水彩・油彩展 軽井沢の花と実」を開催中。
火曜日休館(2025年11月17日以降、翌年4月下旬まで冬期休館)
詳しくはこちら 軽井沢草花館 ブログユウスゲ日記より「展示案内
posted by kusabanakan at 14:14| ハナヒョウタンボク日記

2025年09月28日

ハナヒョウタンボク日記(51)挿し木162日目、8本中4本で冬芽成長(9/28)

2023、2024年とハナヒョウタンボクの挿し木に挑戦し、ともに失敗に終わりましたが、三たび挑戦中です。

4月19日に2つの鉢に挿し木を始めて今日で162日目となりました。
挿し木した10本のうち2本が6月に枯れてしまい、残り8本の成長を観察しているところです。
9月18日に8本すべての挿し木に冬芽を確認することが出来ました。
そして本日、前回9月23日から5日ぶりの観察となりますが、目測ながら4本の挿し木で冬芽にわずかな成長が見られました

(メモ)

6月25日:枝の長さ22_、葉の長さ(最長)15_(A1)
6月30日:枝の長さ30_、葉の長さ(最長)20_(A1)
7月5日:枝の長さ37_、葉の長さ(最長)22_(A1)
7月10日:枝の長さ38_、葉の長さ(最長)24_、枝の先端の葉の長さ18_(A1)
7月15日:枝の長さ38_、葉の長さ(最長)25_、枝の先端の葉の長さ20_(A1)
7月20日:枝の長さ40_、葉の長さ(最長)25_、枝の先端の葉の長さ21_(A1)
 ↓(途中省略)
8月9日:枝の長さ40_、葉の長さ(最長)25_、枝の先端の葉の長さ21_で7/20から変化なし(A1)
8月9日:節に冬芽と思われる突起が複数(長さ1ミリ未満)と新芽?と思うような1センチ程度の細長い茎のようなもの1本を確認(A1)
8月14日:冬芽(A1)と新芽と思われる部分に変化なし→その後成長せず。
8月19日:冬芽のサイズがわずかに成長(A1)
8月24日:新たな挿し木(1本)から冬芽確認(A2)
9月13日:新たな挿し木(2本)から冬芽確認(A3、B1)、4本の挿し木からはまだ冬芽確認できず
9月18日:新たな挿し木(4本)から冬芽確認(A4、A5、A6、B2、すべての挿し木で冬芽を確認)
9月23日:A5の葉が5枚から1枚に、B2の冬芽がわずかに大きく。
9月28日:8つの挿し木のうち、4本の冬芽がわずかに大きく

【挿し木A1(8/9に最初の冬芽確認) わずかに冬芽成長

20250928ハナヒョウタンボク鉢植え挿し木A01-a01.jpg
2025年9月28日 軽井沢草花館 ハナヒョウタンボクの挿し木 A1

下写真:8月9日に確認した冬芽の拡大、長さは1_にも満たないので、正確に測っていません。目測では前回(9/23)よりわずかに大きくなっているように見えます。

20250928ハナヒョウタンボク鉢植え挿し木A01-a02.jpg
2025年9月28日 軽井沢草花館 ハナヒョウタンボクの挿し木 A1 冬芽

下写真:前回、9月23日撮影です。

20250923ハナヒョウタンボク鉢植え挿し木A01-a02.jpg
2025年9月23日 軽井沢草花館 ハナヒョウタンボクの挿し木 A1 冬芽

下写真:7月10日撮影です。この時を基準にすると、確実に成長しているといえそうです。

20250710ハナヒョウタンボク鉢植え挿し木A03.jpg
2025年7月10日 軽井沢草花館 ハナヒョウタンボクの挿し木 A 冬芽

【挿し木A2(8/24に冬芽確認)】

20250928ハナヒョウタンボク鉢植え挿し木A01-b01.jpg
2025年9月28日 軽井沢草花館 ハナヒョウタンボクの挿し木 A2

下写真:8月24日に確認した冬芽です。1ヵ月以上が経過しましたが、大きな変化は見られません。

20250928ハナヒョウタンボク鉢植え挿し木A01-b02.jpg
2025年9月28日 軽井沢草花館 ハナヒョウタンボクの挿し木 A2 冬芽

【挿し木A3(9/13に冬芽確認) わずかに冬芽成長

20250928ハナヒョウタンボク鉢植え挿し木A01-c01.jpg
2025年9月28日 軽井沢草花館 ハナヒョウタンボクの挿し木 A3

下写真:9月13日に確認した冬芽です。この5日間でわずかながら大きくなっているように見えます。

20250928ハナヒョウタンボク鉢植え挿し木A01-c02.jpg
2025年9月28日 軽井沢草花館 ハナヒョウタンボクの挿し木 A3

下写真:前回(9/23)撮影

20250923ハナヒョウタンボク鉢植え挿し木A01-c02.jpg
2025年9月23日 軽井沢草花館 ハナヒョウタンボクの挿し木 A3

【挿し木A4(9/18に冬芽確認) わずかに冬芽成長

20250928ハナヒョウタンボク鉢植え挿し木A01-d01.jpg
2025年9月28日 軽井沢草花館 ハナヒョウタンボクの挿し木 A4

下写真:9月18日に確認した冬芽です。この5日間でわずかながら大きくなっているように見えます。

20250928ハナヒョウタンボク鉢植え挿し木A01-d02.jpg
2025年9月28日 軽井沢草花館 ハナヒョウタンボクの挿し木 A4

下写真:前回(9/23)撮影

20250923ハナヒョウタンボク鉢植え挿し木A01-d02.jpg
2025年9月23日 軽井沢草花館 ハナヒョウタンボクの挿し木 A4

【挿し木A5(9/18に冬芽確認)】 

前回(9/23)の時点で葉っぱが1枚だけになっていましたが、本日の測定でも1枚が残っていました。

20250928ハナヒョウタンボク鉢植え挿し木A01-e01.jpg
2025年9月28日 軽井沢草花館 ハナヒョウタンボクの挿し木 A5

下写真:9月18日に確認した冬芽です。10日が経過しましたが、大きな変化は見られません。

20250928ハナヒョウタンボク鉢植え挿し木A01-e02.jpg
2025年9月28日 軽井沢草花館 ハナヒョウタンボクの挿し木 A5

【挿し木A6(9/18に冬芽確認)】

20250928ハナヒョウタンボク鉢植え挿し木A01-f01.jpg
2025年9月28日 軽井沢草花館 ハナヒョウタンボクの挿し木 A6

下写真:9月23日に確認した冬芽です。この5日間で大きな変化は見られません。

20250928ハナヒョウタンボク鉢植え挿し木A01-f02.jpg
2025年9月28日 軽井沢草花館 ハナヒョウタンボクの挿し木 A6

【挿し木B1(9/13に冬芽確認)】

もう一つ鉢(B)は4本のうち2本が枯れてしまいましたが、残り2本には冬芽が出ています。

20250928ハナヒョウタンボク鉢植え挿し木B01-a01.jpg
2025年9月28日 軽井沢草花館 ハナヒョウタンボクの挿し木 B1

下写真:測定対象の冬芽を1つから2つに増やしました。9/13から変化がありません。

20250928ハナヒョウタンボク鉢植え挿し木B01-a02.jpg
2025年9月28日 軽井沢草花館 ハナヒョウタンボクの挿し木 B1

下写真:前回(9/23)撮影

20250923ハナヒョウタンボク鉢植え挿し木B01-a02.jpg
2025年9月23日 軽井沢草花館 ハナヒョウタンボクの挿し木 B1

【挿し木B2(9/18に冬芽確認)、わずかに冬芽成長

20250928ハナヒョウタンボク鉢植え挿し木B01-b01.jpg
2025年9月28日 軽井沢草花館 ハナヒョウタンボクの挿し木 B2

下写真:9月18日に確認した冬芽です。まだ1_にも満たない大きさですが、9/18から9/23、そして9/28へと、わずかながらではありますが、成長を続けています。8本の挿し木の中では、冬芽の出始めが一番遅かったものの、成長のスピードは一番早い挿し木です。

20250928ハナヒョウタンボク鉢植え挿し木B01-b02.jpg
2025年9月28日 軽井沢草花館 ハナヒョウタンボクの挿し木 B2

下写真:9月23日撮影です。上(9/28)の冬芽に比べるとわずかに小さいです。

20250923ハナヒョウタンボク鉢植え挿し木B01-b02.jpg
2025年9月23日 軽井沢草花館 ハナヒョウタンボクの挿し木 B2

下写真:9月18日撮影です。上(9/23)の冬芽に比べるとさらに小さいです。

20250918ハナヒョウタンボク鉢植え挿し木B01-b02.jpg
2025年9月18日 軽井沢草花館 ハナヒョウタンボクの挿し木 B2

以下、4月19日からの挿し木の変遷です。

【2025年9月28日(162日目)】
20250928ハナヒョウタンボク鉢植え挿し木.jpg

【2025年8月29日(132日目)】
20250829ハナヒョウタンボク鉢植え挿し木.jpg

【2025年7月20日(92日目)】
20250720ハナヒョウタンボク鉢植え挿し木.jpg

【2025年6月10日(52日目)】
20250610ハナヒョウタンボク鉢植え挿し木.jpg

【2025年5月21日(32日目)】
20250521ハナヒョウタンボク鉢植え挿し木.jpg

【2025年5月2日(13日目)】
20250502ハナヒョウタンボク鉢植え挿し木.jpg

【2025年4月19日 挿し木開始】
20250419ハナヒョウタンボク鉢植え挿し木開始01.jpg

【小さな美術館軽井沢草花館 2025年度展示のご案内】

2025年11月16日(日)まで「石川功一の水彩・油彩展 軽井沢の花と実」を開催中。
火曜日休館(2025年11月17日以降、翌年4月下旬まで冬期休館)
詳しくはこちら 軽井沢草花館 ブログユウスゲ日記より「展示案内
posted by kusabanakan at 16:34| ハナヒョウタンボク日記

2025年09月23日

ハナヒョウタンボク日記(50)挿し木157日目、一部で冬芽の成長と落葉(9/23)

2023、2024年とハナヒョウタンボクの挿し木に挑戦し、ともに失敗に終わりましたが、三たび挑戦中です。

4月19日に2つの鉢に挿し木を始めて今日で157日目となりました。
挿し木した10本のうち、6月に2本が枯れていて、残り8本の成長を観察しているところです。
前回(9/18)、8本すべての挿し木に冬芽を確認することが出来ました。
今日の観察ではこの5日間で冬芽の大きさに変化は見られた挿し木が1本
葉っぱが落ちた挿し木が1本ありました。

(メモ)

6月25日:枝の長さ22_、葉の長さ(最長)15_(A1)
6月30日:枝の長さ30_、葉の長さ(最長)20_(A1)
7月5日:枝の長さ37_、葉の長さ(最長)22_(A1)
7月10日:枝の長さ38_、葉の長さ(最長)24_、枝の先端の葉の長さ18_(A1)
7月15日:枝の長さ38_、葉の長さ(最長)25_、枝の先端の葉の長さ20_(A1)
7月20日:枝の長さ40_、葉の長さ(最長)25_、枝の先端の葉の長さ21_(A1)
 ↓(途中省略)
8月9日:枝の長さ40_、葉の長さ(最長)25_、枝の先端の葉の長さ21_で7/20から変化なし(A1)
8月9日:節に冬芽と思われる突起が複数(長さ1ミリ未満)と新芽?と思うような1センチ程度の細長い茎のようなもの1本を確認(A1)
8月14日:冬芽(A1)と新芽と思われる部分に変化なし→その後成長せず。
8月19日:冬芽のサイズがわずかに成長(A1)
8月24日:新たな挿し木(1本)から冬芽確認(A2)
9月13日:新たな挿し木(2本)から冬芽確認(A3、B1)、4本の挿し木からはまだ冬芽確認できず
9月18日:新たな挿し木(4本)から冬芽確認(A4、A5、A6、B2、すべての挿し木で冬芽を確認)
9月23日:A5の葉が5枚から1枚に、B2の冬芽がわずかに大きく

【挿し木A1(8/9に最初の冬芽確認)】

20250923ハナヒョウタンボク鉢植え挿し木A01-a01.jpg
2025年9月23日 軽井沢草花館 ハナヒョウタンボクの挿し木 A1

下写真:8月9日に確認した冬芽の拡大、長さは1_にも満たないので、正確に測れていませんが、目測では前回(9/18)から大きさの変化は見られません。

20250923ハナヒョウタンボク鉢植え挿し木A01-a02.jpg
2025年9月23日 軽井沢草花館 ハナヒョウタンボクの挿し木 A1 冬芽

下写真:前回、9月18日撮影です。

20250918ハナヒョウタンボク鉢植え挿し木A01-a02.jpg
2025年9月18日 軽井沢草花館 ハナヒョウタンボクの挿し木 A1 冬芽

下写真:7月10日撮影です。この時を基準にすると、確実に成長しているといえそうです。

20250710ハナヒョウタンボク鉢植え挿し木A03.jpg
2025年7月10日 軽井沢草花館 ハナヒョウタンボクの挿し木 A 冬芽

【挿し木A2(8/24に冬芽確認)】

20250923ハナヒョウタンボク鉢植え挿し木A01-b01.jpg
2025年9月23日 軽井沢草花館 ハナヒョウタンボクの挿し木 A2

下写真:8月24日に確認した冬芽です。以降、大きな変化は見られません。

20250923ハナヒョウタンボク鉢植え挿し木A01-b02.jpg
2025年9月23日 軽井沢草花館 ハナヒョウタンボクの挿し木 A2 冬芽

【挿し木A3(9/13に冬芽確認)】

20250923ハナヒョウタンボク鉢植え挿し木A01-c01.jpg
2025年9月23日 軽井沢草花館 ハナヒョウタンボクの挿し木 A3

下写真:9月13日に確認した冬芽です。以降、大きな変化は見られません。

20250923ハナヒョウタンボク鉢植え挿し木A01-c02.jpg
2025年9月23日 軽井沢草花館 ハナヒョウタンボクの挿し木 A3

【挿し木A4(9/18に冬芽確認)】

20250923ハナヒョウタンボク鉢植え挿し木A01-d01.jpg
2025年9月23日 軽井沢草花館 ハナヒョウタンボクの挿し木 A4

下写真:9月18日に確認した冬芽です。この5日間で大きな変化は見られません。

20250923ハナヒョウタンボク鉢植え挿し木A01-d02.jpg
2025年9月23日 軽井沢草花館 ハナヒョウタンボクの挿し木 A4

【挿し木A5(9/18に冬芽確認)】 葉が5枚から1枚に

前回(9/18)から5日間で5枚あった葉っぱが1枚だけになってしまいました。
他の挿し木はほとんど落葉していないように見えるので、このA5だけのようです。
ここ4〜5日で朝晩の気温が低くなってきているので、その影響があるのかもしれません。
9月18日に確認した冬芽には大きな変化が見られません。

20250923ハナヒョウタンボク鉢植え挿し木A01-e01re.jpg
2025年9月23日 軽井沢草花館 ハナヒョウタンボクの挿し木 A5

下写真:前回(9/18)撮影です。この時はA5の葉っぱが5枚ありました。

20250918ハナヒョウタンボク鉢植え挿し木A01-e01.jpg
2025年9月18日 軽井沢草花館 ハナヒョウタンボクの挿し木 A5

下写真:この5日間で葉っぱが1枚になってしまいました。9月18日に確認した冬芽には大きな変化が見られません。

20250923ハナヒョウタンボク鉢植え挿し木A01-e02re.jpg
2025年9月23日 軽井沢草花館 ハナヒョウタンボクの挿し木 A5

下写真:前回(9/18)撮影です。この時はA5の葉っぱは5枚ありました。

20250918ハナヒョウタンボク鉢植え挿し木A01-e02.jpg
2025年9月18日 軽井沢草花館 ハナヒョウタンボクの挿し木 A5

【挿し木A6(9/18に冬芽確認)】

20250923ハナヒョウタンボク鉢植え挿し木A01-f01re.jpg
2025年9月23日 軽井沢草花館 ハナヒョウタンボクの挿し木 A6

下写真:9月18日に確認した冬芽です。この5日間で大きな変化は見られません。

20250923ハナヒョウタンボク鉢植え挿し木A01-f02.jpg
2025年9月23日 軽井沢草花館 ハナヒョウタンボクの挿し木 A6

【挿し木B1(9/13に冬芽確認)】

もう一つ鉢(B)は4本のうち2本が枯れてしまいましたが、残り2本には冬芽が出ています。

20250923ハナヒョウタンボク鉢植え挿し木B01-a01.jpg
2025年9月23日 軽井沢草花館 ハナヒョウタンボクの挿し木 B1

下写真:一番大きな冬芽の大きさは長さ3_で、9/13から変化がありません。

20250923ハナヒョウタンボク鉢植え挿し木B01-a02.jpg
2025年9月23日 軽井沢草花館 ハナヒョウタンボクの挿し木 B1

【挿し木B29/18に冬芽確認)、冬芽がわずかながら大きくなる

20250923ハナヒョウタンボク鉢植え挿し木B01-b01.jpg
2025年9月23日 軽井沢草花館 ハナヒョウタンボクの挿し木 B2

下写真:9月18日に確認した冬芽です。まだ1_にも満たない大きさですが、この5日間でわずかながら大きくなっているようです。

20250923ハナヒョウタンボク鉢植え挿し木B01-b02.jpg
2025年9月23日 軽井沢草花館 ハナヒョウタンボクの挿し木 B2

下写真:9月18日撮影です。上(9/23)の冬芽に比べると小さいです。

20250918ハナヒョウタンボク鉢植え挿し木B01-b02.jpg
2025年9月18日 軽井沢草花館 ハナヒョウタンボクの挿し木 B2

以下、4月19日からの挿し木の変遷です。

【2025年9月23日(157日目)】
20250923ハナヒョウタンボク鉢植え挿し木.jpg

【2025年8月29日(132日目)】
20250829ハナヒョウタンボク鉢植え挿し木.jpg

【2025年7月20日(92日目)】
20250720ハナヒョウタンボク鉢植え挿し木.jpg

【2025年6月10日(52日目)】
20250610ハナヒョウタンボク鉢植え挿し木.jpg

【2025年5月21日(32日目)】
20250521ハナヒョウタンボク鉢植え挿し木.jpg

【2025年5月2日(13日目)】
20250502ハナヒョウタンボク鉢植え挿し木.jpg

【2025年4月19日 挿し木開始】
20250419ハナヒョウタンボク鉢植え挿し木開始01.jpg

【小さな美術館軽井沢草花館 2025年度展示のご案内】

2025年11月16日(日)まで「石川功一の水彩・油彩展 軽井沢の花と実」を開催中。
火曜日休館(2025年11月17日以降、翌年4月下旬まで冬期休館)
詳しくはこちら 軽井沢草花館 ブログユウスゲ日記より「展示案内
posted by kusabanakan at 15:46| ハナヒョウタンボク日記

2025年09月18日

ハナヒョウタンボク日記(49)挿し木152日目、8本全てで冬芽確認(9/18)

2023、2024年とハナヒョウタンボクの挿し木に挑戦し、ともに失敗に終わりましたが、三たび挑戦中です。

4月19日に2つの鉢に挿し木を始めて今日で152日目、約5ヵ月となりました。
挿し木した10本のうち、すでに2本が枯れていて、残り8本の成長を観察しているところですが、前々回(9/8)から前回(9/13)にかけて冬芽の数が急増し、8本の挿し木のうち4本に冬芽を確認したところでした。
そして、本日の観察では、8本すべての挿し木に冬芽を確認することが出来ました。
それらの冬芽がこの秋のうちにどれだけ成長するのか? そしてそれらが来年の春に芽吹いてくれるかどうか?
観察を続けます。

(メモ)

6月25日:枝の長さ22_、葉の長さ(最長)15_(A1)
6月30日:枝の長さ30_、葉の長さ(最長)20_(A1)
7月5日:枝の長さ37_、葉の長さ(最長)22_(A1)
7月10日:枝の長さ38_、葉の長さ(最長)24_、枝の先端の葉の長さ18_(A1)
7月15日:枝の長さ38_、葉の長さ(最長)25_、枝の先端の葉の長さ20_(A1)
7月20日:枝の長さ40_、葉の長さ(最長)25_、枝の先端の葉の長さ21_(A1)
 ↓(途中省略)
8月9日:枝の長さ40_、葉の長さ(最長)25_、枝の先端の葉の長さ21_で7/20から変化なし(A1)
8月9日:節に冬芽と思われる突起が複数(長さ1ミリ未満)と新芽?と思うような1センチ程度の細長い茎のようなもの1本を確認(A1)
8月14日:冬芽(A1)と新芽と思われる部分に変化なし→その後成長せず。
8月19日:冬芽のサイズがわずかに成長(A1)
8月24日:新たな挿し木(1本)から冬芽確認(A2)
9月13日:新たな挿し木(2本)から冬芽確認(A3、B1)、4本の挿し木からはまだ冬芽確認できず
9月18日:新たな挿し木(4本)から冬芽確認(A4、A5、A6、B2、すべての挿し木で冬芽を確認)

【挿し木A1(8/9に最初の冬芽確認)】

20250918ハナヒョウタンボク鉢植え挿し木A01-a01.jpg
2025年9月18日 軽井沢草花館 ハナヒョウタンボクの挿し木 A1

下写真:8月9日に確認した冬芽の拡大、長さは1_にも満たないので、正確に測れていませんが、目測では前回(9/13)から大きさの変化は見られません。

20250918ハナヒョウタンボク鉢植え挿し木A01-a02.jpg
2025年9月18日 軽井沢草花館 ハナヒョウタンボクの挿し木 A1 冬芽

下写真:前回、9月13日撮影です。

20250913ハナヒョウタンボク鉢植え挿し木A01-a01.jpg
2025年9月13日 軽井沢草花館 ハナヒョウタンボクの挿し木 A1 冬芽

下写真:7月10日撮影です。この時を基準にすると、確実に成長しているといえそうです。

20250710ハナヒョウタンボク鉢植え挿し木A03.jpg
2025年7月10日 軽井沢草花館 ハナヒョウタンボクの挿し木 A 冬芽?

【挿し木A2(8/24に冬芽確認)】

20250918ハナヒョウタンボク鉢植え挿し木A01-b01.jpg
2025年9月18日 軽井沢草花館 ハナヒョウタンボクの挿し木 A2

下写真:8月24日に確認した冬芽です

20250918ハナヒョウタンボク鉢植え挿し木A01-b02.jpg
2025年9月18日 軽井沢草花館 ハナヒョウタンボクの挿し木 A2 冬芽

【挿し木A3(9/13に冬芽確認)】
20250918ハナヒョウタンボク鉢植え挿し木A01-c01.jpg
2025年9月18日 軽井沢草花館 ハナヒョウタンボクの挿し木 A3

下写真:9月13日に確認した冬芽です

20250918ハナヒョウタンボク鉢植え挿し木A01-c02.jpg
2025年9月18日 軽井沢草花館 ハナヒョウタンボクの挿し木 A3

【挿し木A4(9/18に冬芽確認)】
20250918ハナヒョウタンボク鉢植え挿し木A01-d01.jpg
2025年9月18日 軽井沢草花館 ハナヒョウタンボクの挿し木 A4

下写真:本日(9/18)確認した冬芽です

20250918ハナヒョウタンボク鉢植え挿し木A01-d02.jpg
2025年9月18日 軽井沢草花館 ハナヒョウタンボクの挿し木 A4

【挿し木A5(9/18に冬芽確認)】
20250918ハナヒョウタンボク鉢植え挿し木A01-e01.jpg
2025年9月18日 軽井沢草花館 ハナヒョウタンボクの挿し木 A5

下写真:本日(9/18)確認した冬芽です

20250918ハナヒョウタンボク鉢植え挿し木A01-e02.jpg
2025年9月18日 軽井沢草花館 ハナヒョウタンボクの挿し木 A5

【挿し木A6(9/18に冬芽確認)】
20250918ハナヒョウタンボク鉢植え挿し木A01-f01.jpg
2025年9月18日 軽井沢草花館 ハナヒョウタンボクの挿し木 A6

下写真:本日(9/18)確認した冬芽です

20250918ハナヒョウタンボク鉢植え挿し木A01-f02.jpg
2025年9月18日 軽井沢草花館 ハナヒョウタンボクの挿し木 A6

【挿し木B1(9/13に冬芽確認)】

もう一つ鉢(B)は4本のうち2本がすでに枯れてしまい、残り2本も成長が止まったままでしたが、前回(9/13)2本のうち1本(B1)で冬芽を確認しました。

20250918ハナヒョウタンボク鉢植え挿し木B01-a01.jpg
2025年9月18日 軽井沢草花館 ハナヒョウタンボクの挿し木 B1

下写真:一番大きな冬芽の大きさは長さ3_ありました。前回(9/13)から大きなに変化はありませんでした。

20250918ハナヒョウタンボク鉢植え挿し木B01-a02.jpg
2025年9月18日 軽井沢草花館 ハナヒョウタンボクの挿し木 B1

【挿し木B29/18に冬芽確認)】

2本の挿し木のうち、2本目(B2)で冬芽を確認しました。

20250918ハナヒョウタンボク鉢植え挿し木B01-b01.jpg
2025年9月18日 軽井沢草花館 ハナヒョウタンボクの挿し木 B2

下写真:本日(9/18)確認した冬芽です。とても小さなものです。

20250918ハナヒョウタンボク鉢植え挿し木B01-b02.jpg
2025年9月18日 軽井沢草花館 ハナヒョウタンボクの挿し木 B2

以下、4月19日からの挿し木の変遷です。

【2025年9月18日(152日目)】
20250918ハナヒョウタンボク鉢植え挿し木.jpg

【2025年8月29日(132日目)】
20250829ハナヒョウタンボク鉢植え挿し木.jpg

【2025年7月20日(92日目)】
20250720ハナヒョウタンボク鉢植え挿し木.jpg

【2025年6月10日(52日目)】
20250610ハナヒョウタンボク鉢植え挿し木.jpg

【2025年5月21日(32日目)】
20250521ハナヒョウタンボク鉢植え挿し木.jpg

【2025年5月2日(13日目)】
20250502ハナヒョウタンボク鉢植え挿し木.jpg

【2025年4月19日 挿し木開始】
20250419ハナヒョウタンボク鉢植え挿し木開始01.jpg

【小さな美術館軽井沢草花館 2025年度展示のご案内】

2025年11月16日(日)まで「石川功一の水彩・油彩展 軽井沢の花と実」を開催中。
火曜日休館(但し、9/23の火曜日はOPEN)
詳しくはこちら 軽井沢草花館 ブログユウスゲ日記より「展示案内
posted by kusabanakan at 16:53| ハナヒョウタンボク日記

2025年09月13日

ハナヒョウタンボク日記(48)挿し木147日目、冬芽の個数急増!(9/13)

2023、2024年とハナヒョウタンボクの挿し木に挑戦し、ともに失敗に終わりましたが、三たび挑戦中です。

4月19日に2つの鉢に挿し木を始めて今日で147日目となりました。
挿し木した10本のうち、すでに2本が枯れていて、残り8本の成長を観察しているところですが、前回(9/8)から今回(9/13)の5日間で、大きな変化が見られました。前回まで8本のうち、冬芽が出ていたのは2本でしたが、今回新たに2本冬芽を確認できました。
ちなみに、9月11日からぐずついた天気が続き、雨量はそれほど多くないものの、雨が良く降りました。

(メモ)

新たな新芽(A1の記録):
6月25日:枝の長さ22_、葉の長さ(最長)15_
6月30日:枝の長さ30_、葉の長さ(最長)20_
7月5日:枝の長さ37_、葉の長さ(最長)22_
7月10日:枝の長さ38_、葉の長さ(最長)24_、枝の先端の葉の長さ18_
7月15日:枝の長さ38_、葉の長さ(最長)25_、枝の先端の葉の長さ20_
7月20日:枝の長さ40_、葉の長さ(最長)25_、枝の先端の葉の長さ21_
 ↓(途中省略)
8月9日:枝の長さ40_、葉の長さ(最長)25_、枝の先端の葉の長さ21_で7/20から変化なし
8月9日:節に冬芽と思われる突起が複数(長さ1ミリ未満)と新芽?と思うような1センチ程度の細長い茎のようなもの1本を確認(A1)
8月14日:冬芽(A1)と新芽と思われる部分に変化なし→その後成長せず。
8月19日:冬芽のサイズがわずかに成長。
8月24日:新たな挿し木(1本)から冬芽確認(A2)
9月13日:新たな挿し木(2本)から冬芽確認(A3、B1)、4本の挿し木からはまだ冬芽確認できず

【挿し木A1(8/9に冬芽確認)】

20250913ハナヒョウタンボク鉢植え挿し木A01-a.jpg
2025年9月13日 軽井沢草花館 ハナヒョウタンボクの挿し木 A1

下写真:8月9日に最初の冬芽を確認してから1か月が過ぎ、新たな冬芽を確認しました。中央の枝だけでなく左右の枝からも冬芽が出てきました。

20250913ハナヒョウタンボク鉢植え挿し木A01-a02.jpg
2025年9月13日 軽井沢草花館 ハナヒョウタンボクの挿し木 A1 冬芽

下写真:8月9日に確認した冬芽の拡大、長さは1_にも満たないので、正確に測れていませんが、目測では前回(9/8)から大きさの変化は見られません。

20250913ハナヒョウタンボク鉢植え挿し木A01-a01.jpg
2025年9月13日 軽井沢草花館 ハナヒョウタンボクの挿し木 A1 冬芽

下写真:前回、9月8日撮影です。

20250908ハナヒョウタンボク鉢植え挿し木A04.jpg
2025年9月8日 軽井沢草花館 ハナヒョウタンボクの挿し木 A1 冬芽

下写真:7月10日撮影です。この時を基準にすると、確実に成長しているといえそうです。

20250710ハナヒョウタンボク鉢植え挿し木A03.jpg
2025年7月10日 軽井沢草花館 ハナヒョウタンボクの挿し木 A 冬芽?

【挿し木A2(8/24に冬芽確認)】

8/24日に冬芽を確認した挿し木です。

20250913ハナヒョウタンボク鉢植え挿し木A01-b.jpg
2025年9月13日 軽井沢草花館 ハナヒョウタンボクの挿し木 A2

下写真:前回(9/8)付いていた冬芽に変化は見られませんでしたが、本日(9/13)新たな冬芽を確認しました。
右端が9月8日に確認した冬芽で、その他は本日(9月13日)確認しました。

20250913ハナヒョウタンボク鉢植え挿し木A01-b01.jpg
2025年9月13日 軽井沢草花館 ハナヒョウタンボクの挿し木 A2 冬芽

下写真:前回(9/8)撮影

20250908ハナヒョウタンボク鉢植え挿し木A05.jpg
2025年9月8日 軽井沢草花館 ハナヒョウタンボクの挿し木 A2 冬芽

【挿し木A3(9/13に冬芽確認)】

本日(9/13)冬芽を確認した挿し木です。挿し木から10個以上の冬芽が出ていました。

20250913ハナヒョウタンボク鉢植え挿し木A01-c.jpg
2025年9月13日 軽井沢草花館 ハナヒョウタンボクの挿し木 A3

下写真:枝の上部と下部に複数の冬芽が付いていました。写真は枝の上の冬芽にピント

20250913ハナヒョウタンボク鉢植え挿し木A01-c01.jpg
2025年9月13日 軽井沢草花館 ハナヒョウタンボクの挿し木 A3

下写真:違う角度からの一枚。枝の下部にピント

20250913ハナヒョウタンボク鉢植え挿し木A01-c02.jpg
2025年9月13日 軽井沢草花館 ハナヒョウタンボクの挿し木 A3

【挿し木B(9/13に冬芽確認)】

もう一つ鉢(B)は4本のうち2本がすでに枯れてしまい、残り2本も成長が止まったままです。長い期間これといった変化がなく、同じような状態が続いていました。
しかし、本日の観察で2本のうちの1本に冬芽が出ているのを確認しました。しかも、大きな冬芽でした。

20250913ハナヒョウタンボク鉢植え挿し木B01.jpg
2025年9月13日 軽井沢草花館 ハナヒョウタンボクの挿し木 B(左上の挿し木に新たな冬芽)

下写真:節の部分に6つほど冬芽が出ていて、一番大きな冬芽の大きさは長さ3_ありました。
現時点で、最も大きな冬芽です。
前回(9/8)すでに出ていて、見落としていたかもしれません。

20250913ハナヒョウタンボク鉢植え挿し木B01-a01.jpg
2025年9月13日 軽井沢草花館 ハナヒョウタンボクの挿し木 B

立派な冬芽が出て、希望が出てきましたが、このまま冬を越し、来春芽が出てきたら挿し木成功と言えるでしょう。
引き続き観察を続けます。

以下、4月19日からの挿し木の変遷です。

【2025年9月13日(147日目)】
20250913ハナヒョウタンボク鉢植え挿し木.jpg

【2025年8月29日(132日目)】
20250829ハナヒョウタンボク鉢植え挿し木.jpg

【2025年7月20日(92日目)】
20250720ハナヒョウタンボク鉢植え挿し木.jpg

【2025年6月10日(52日目)】
20250610ハナヒョウタンボク鉢植え挿し木.jpg

【2025年5月21日(32日目)】
20250521ハナヒョウタンボク鉢植え挿し木.jpg

【2025年5月2日(13日目)】
20250502ハナヒョウタンボク鉢植え挿し木.jpg

【2025年4月19日 挿し木開始】
20250419ハナヒョウタンボク鉢植え挿し木開始01.jpg

【小さな美術館軽井沢草花館 2025年度展示のご案内】

2025年11月16日(日)まで「石川功一の水彩・油彩展 軽井沢の花と実」を開催中。
火曜日休館(但し、9/23の火曜日はOPEN)
詳しくはこちら 軽井沢草花館 ブログユウスゲ日記より「展示案内
posted by kusabanakan at 14:45| ハナヒョウタンボク日記

2025年09月08日

ハナヒョウタンボク日記(47)挿し木142日目、大きな変化みられず(9/8)

2023、2024年とハナヒョウタンボクの挿し木に挑戦し、ともに失敗に終わりましたが、三たび挑戦中です。

4月19日に2つの鉢に挿し木を始めて今日で142日目となりました。
挿し木した10本のうち、すでに2本が枯れていて、残り8本の成長を観察しているところですが、前回(9/3)からこれといった変化は見られませんでした。

8本のうち1本は8月9日に冬芽を確認、さらに8月24日の観察で2本目にも冬芽を確認しました。残りの6本には冬芽が見られません。

(メモ)

新たな新芽:
6月25日:枝の長さ22_、葉の長さ(最長)15_
6月30日:枝の長さ30_、葉の長さ(最長)20_
7月5日:枝の長さ37_、葉の長さ(最長)22_
7月10日:枝の長さ38_、葉の長さ(最長)24_、枝の先端の葉の長さ18_
7月15日:枝の長さ38_、葉の長さ(最長)25_、枝の先端の葉の長さ20_
7月20日:枝の長さ40_、葉の長さ(最長)25_、枝の先端の葉の長さ21_
 ↓(途中省略)
8月9日:枝の長さ40_、葉の長さ(最長)25_、枝の先端の葉の長さ21_で7/20から変化なし
8月9日:節に冬芽と思われる突起が複数(長さ1ミリ未満)と新芽?と思うような1センチ程度の細長い茎のようなもの1本を確認(A1)
8月14日:冬芽と新芽?と思われる部分に変化なし→その後成長せず。
8月19日:冬芽?のサイズがわずかに成長。
8月24日:新たな挿し木(1本)から冬芽確認(A2)
9月8日:冬芽に変化なし

【挿し木A1(8/9に冬芽確認)】

20250908ハナヒョウタンボク鉢植え挿し木A01.jpg
2025年9月8日 軽井沢草花館 ハナヒョウタンボクの挿し木 A1

下写真:葉っぱの大きさと枝の長さの観察です。前回(9/3)から変化はありませんでした。

20250908ハナヒョウタンボク鉢植え挿し木A02.jpg
2025年9月8日 軽井沢草花館 ハナヒョウタンボクの挿し木 A1

下写真:冬芽の拡大、長さは1_にも満たないので、正確に測れていませんが、目測では前回(9/3)から大きさの変化は見られません。

20250908ハナヒョウタンボク鉢植え挿し木A04.jpg
2025年9月8日 軽井沢草花館 ハナヒョウタンボクの挿し木 A1 冬芽

下写真:前回、9月3日撮影です。

20250903ハナヒョウタンボク鉢植え挿し木A04.jpg
2025年9月3日 軽井沢草花館 ハナヒョウタンボクの挿し木 A1 冬芽

下写真:先月7月10日撮影です。この時を基準にすると、確実に成長しているといえそうです。

20250710ハナヒョウタンボク鉢植え挿し木A03.jpg
2025年7月10日 軽井沢草花館 ハナヒョウタンボクの挿し木 A 冬芽?

【挿し木A2(8/24に冬芽確認)】

8/24日に冬芽を確認した挿し木です。

20250908ハナヒョウタンボク鉢植え挿し木A01b.jpg
2025年9月8日 軽井沢草花館 ハナヒョウタンボクの挿し木 A2

下写真:枝の先端に付いた2つの冬芽。大きさは前回(9/3)と変わっていないように見えました。

20250908ハナヒョウタンボク鉢植え挿し木A05.jpg
2025年9月8日 軽井沢草花館 ハナヒョウタンボクの挿し木 A2 冬芽

下写真:前回(9/3)撮影

20250903ハナヒョウタンボク鉢植え挿し木A05.jpg
2025年9月3日 軽井沢草花館 ハナヒョウタンボクの挿し木 A2 冬芽

【挿し木B】

もう一つ鉢(B)は4本のうち2本がすでに枯れてしまい、残り2本も成長が止まったままです。長い期間これといった変化がなく、同じような状態をキープしています。
冬芽が出てくると良いのですが、このまま観察を続けます。

20250908ハナヒョウタンボク鉢植え挿し木B01.jpg
2025年9月8日 軽井沢草花館 ハナヒョウタンボクの挿し木 B 葉長最大24_のまま

以下、4月19日からの挿し木の変遷です。

【2025年9月8日(142日目)】
20250908ハナヒョウタンボク鉢植え挿し木.jpg

【2025年8月29日(132日目)】
20250829ハナヒョウタンボク鉢植え挿し木.jpg

【2025年8月9日(112日目)】
20250809ハナヒョウタンボク鉢植え挿し木.jpg

【2025年7月20日(92日目)】
20250720ハナヒョウタンボク鉢植え挿し木.jpg

【2025年6月30日(72日目)】
20250630ハナヒョウタンボク鉢植え挿し木.jpg

【2025年6月10日(52日目)】
20250610ハナヒョウタンボク鉢植え挿し木.jpg

【2025年5月21日(32日目)】
20250521ハナヒョウタンボク鉢植え挿し木.jpg

【2025年5月2日(13日目)】
20250502ハナヒョウタンボク鉢植え挿し木.jpg

【2025年4月24日(5日目)】
20250424ハナヒョウタンボク鉢植え挿し木.jpg

【2025年4月19日 挿し木開始】
20250419ハナヒョウタンボク鉢植え挿し木開始01.jpg

【小さな美術館軽井沢草花館 2025年度展示のご案内】

2025年11月16日(日)まで「石川功一の水彩・油彩展 軽井沢の花と実」を開催中。
火曜日休館(但し、9/23の火曜日はOPEN)
詳しくはこちら 軽井沢草花館 ブログユウスゲ日記より「展示案内
posted by kusabanakan at 11:53| ハナヒョウタンボク日記

2025年09月03日

ハナヒョウタンボク日記(46)挿し木137日目、今回も動きなく(9/3)

2023、2024年とハナヒョウタンボクの挿し木に挑戦し、ともに失敗に終わりましたが、三たび挑戦中です。

4月19日に2つの鉢に挿し木を始めて今日で137日目となりました。
挿し木した10本のうち、すでに2本が枯れていて、残り8本の成長を観察しているところですが、前回(8/29)からこれといった変化は見られませんでした。

8本のうち1本は8月9日に冬芽を確認、さらに8月24日の観察で2本目にも冬芽を確認しました。残りの6本には冬芽が見られません。

(メモ)

新たな新芽:
6月25日:枝の長さ22_、葉の長さ(最長)15_
6月30日:枝の長さ30_、葉の長さ(最長)20_
7月5日:枝の長さ37_、葉の長さ(最長)22_
7月10日:枝の長さ38_、葉の長さ(最長)24_、枝の先端の葉の長さ18_
7月15日:枝の長さ38_、葉の長さ(最長)25_、枝の先端の葉の長さ20_
7月20日:枝の長さ40_、葉の長さ(最長)25_、枝の先端の葉の長さ21_
 ↓(途中省略)
8月9日:枝の長さ40_、葉の長さ(最長)25_、枝の先端の葉の長さ21_で7/20から変化なし
8月9日:節に冬芽と思われる突起が複数(長さ1ミリ未満)と新芽?と思うような1センチ程度の細長い茎のようなもの1本を確認(A1)
8月14日:冬芽と新芽?と思われる部分に変化なし→その後成長せず。
8月19日:冬芽?のサイズがわずかに成長。
8月24日:新たな挿し木(1本)から冬芽確認(A2)
9月3日:冬芽に変化なし

【挿し木A1(8/9に冬芽確認)】

20250903ハナヒョウタンボク鉢植え挿し木A01.jpg
2025年9月3日 軽井沢草花館 ハナヒョウタンボクの挿し木 A1

下写真:葉っぱの大きさと枝の長さの観察です。前回(8/29)から変化はありませんでした。

20250903ハナヒョウタンボク鉢植え挿し木A02.jpg
2025年9月3日 軽井沢草花館 ハナヒョウタンボクの挿し木 A1
下写真:冬芽の拡大、長さは1_にも満たないので、正確に測れていませんが、目測では前回(8/29)から大きさの変化は見られません。

20250903ハナヒョウタンボク鉢植え挿し木A04.jpg
2025年9月3日 軽井沢草花館 ハナヒョウタンボクの挿し木 A1 冬芽

下写真:前回、8月29日撮影です。

20250829ハナヒョウタンボク鉢植え挿し木A04.jpg
2025年8月29日 軽井沢草花館 ハナヒョウタンボクの挿し木 A1 冬芽

下写真:先月7月10日撮影です。この時を基準にすると、確実に成長しているといえそうです。

20250710ハナヒョウタンボク鉢植え挿し木A03.jpg
2025年7月10日 軽井沢草花館 ハナヒョウタンボクの挿し木 A 冬芽?

【挿し木A2(8/24に冬芽確認)】

8/24日に冬芽を確認した挿し木です。

20250903ハナヒョウタンボク鉢植え挿し木A01b.jpg
2025年9月3日 軽井沢草花館 ハナヒョウタンボクの挿し木 A2

下写真:枝の先端に付いた2つの冬芽。大きさは前回(8/29)と変わっていないように見えました。

20250903ハナヒョウタンボク鉢植え挿し木A05.jpg
2025年9月3日 軽井沢草花館 ハナヒョウタンボクの挿し木 A2 冬芽

下写真:前回(8/29)撮影

20250829ハナヒョウタンボク鉢植え挿し木A05.jpg
2025年8月29日 軽井沢草花館 ハナヒョウタンボクの挿し木 A2 冬芽

【挿し木B】

もう一つ鉢(B)は4本のうち2本がすでに枯れてしまい、残り2本も成長が止まったままです。長い期間これといった変化がなく、同じような状態をキープしています。
冬芽が出てくると良いのですが、このまま観察を続けます。

20250903ハナヒョウタンボク鉢植え挿し木B01.jpg
2025年9月3日 軽井沢草花館 ハナヒョウタンボクの挿し木 B 葉長最大24_のまま

以下、4月19日からの挿し木の変遷です。

【2025年9月3日(137日目)】
20250903ハナヒョウタンボク鉢植え挿し木.jpg

【2025年8月29日(132日目)】
20250829ハナヒョウタンボク鉢植え挿し木.jpg

【2025年8月9日(112日目)】
20250809ハナヒョウタンボク鉢植え挿し木.jpg

【2025年7月20日(92日目)】
20250720ハナヒョウタンボク鉢植え挿し木.jpg

【2025年6月30日(72日目)】
20250630ハナヒョウタンボク鉢植え挿し木.jpg

【2025年6月10日(52日目)】
20250610ハナヒョウタンボク鉢植え挿し木.jpg

【2025年5月21日(32日目)】
20250521ハナヒョウタンボク鉢植え挿し木.jpg

【2025年5月2日(13日目)】
20250502ハナヒョウタンボク鉢植え挿し木.jpg

【2025年4月24日(5日目)】
20250424ハナヒョウタンボク鉢植え挿し木.jpg

【2025年4月19日 挿し木開始】
20250419ハナヒョウタンボク鉢植え挿し木開始01.jpg

【小さな美術館軽井沢草花館 2025年度展示のご案内】

2025年11月16日(日)まで「石川功一の水彩・油彩展 軽井沢の花と実」を開催中。
火曜日休館(但し、9/23の火曜日はOPEN)
詳しくはこちら 軽井沢草花館 ブログユウスゲ日記より「展示案内
posted by kusabanakan at 14:42| ハナヒョウタンボク日記

2025年08月29日

ハナヒョウタンボク日記(45)挿し木132日目、動きなく(8/29)

2023、2024年とハナヒョウタンボクの挿し木に挑戦し、ともに失敗に終わりましたが、三たび挑戦中です。

4月19日に2つの鉢に挿し木を始めて今日で132日目となりました。
挿し木した10本のうち、すでに2本が枯れていて、残り8本の成長を観察しているところです。

8本のうち1本は8月9日に冬芽を確認、さらに前回8月24日の観察で2本目にも冬芽を確認しました。残りの6本には冬芽が見られません。

(メモ)

新たな新芽:
6月25日:枝の長さ22_、葉の長さ(最長)15_
6月30日:枝の長さ30_、葉の長さ(最長)20_
7月5日:枝の長さ37_、葉の長さ(最長)22_
7月10日:枝の長さ38_、葉の長さ(最長)24_、枝の先端の葉の長さ18_
7月15日:枝の長さ38_、葉の長さ(最長)25_、枝の先端の葉の長さ20_
7月20日:枝の長さ40_、葉の長さ(最長)25_、枝の先端の葉の長さ21_
 ↓(途中省略)
8月9日:枝の長さ40_、葉の長さ(最長)25_、枝の先端の葉の長さ21_で7/20から変化なし
8月9日:節に冬芽と思われる突起が複数(長さ1ミリ未満)と新芽?と思うような1センチ程度の細長い茎のようなもの1本を確認(A1)
8月14日:冬芽と新芽?と思われる部分に変化なし→その後成長せず。
8月19日:冬芽?のサイズがわずかに成長。
8月24日:新たな挿し木(1本)から冬芽確認(A2)
8月29日:冬芽に変化なし

【挿し木A1(8/9〜)】

20250829ハナヒョウタンボク鉢植え挿し木A01.jpg
2025年8月29日 軽井沢草花館 ハナヒョウタンボクの挿し木 A1

下写真:葉っぱの大きさと枝の長さの観察です。前回(8/24)から変化はありませんでした。

20250829ハナヒョウタンボク鉢植え挿し木A02.jpg
2025年8月29日 軽井沢草花館 ハナヒョウタンボクの挿し木 A1

下写真:冬芽の拡大、長さは1_にも満たないので、正確に測れていませんが、目測では前回(8/24)から大きさの変化は見られません。

20250829ハナヒョウタンボク鉢植え挿し木A04.jpg
2025年8月29日 軽井沢草花館 ハナヒョウタンボクの挿し木 A1 冬芽

下写真:前回、8月24日撮影です。

20250824ハナヒョウタンボク鉢植え挿し木A04.jpg
2025年8月24日 軽井沢草花館 ハナヒョウタンボクの挿し木 A1 冬芽

下写真:先月7月10日撮影です。この時を基準にすると、確実に成長しているといえそうです。

20250710ハナヒョウタンボク鉢植え挿し木A03.jpg
2025年7月10日 軽井沢草花館 ハナヒョウタンボクの挿し木 A 冬芽?

【挿し木A2(8/24〜)】

前回(8/24)冬芽を確認した挿し木です。

20250829ハナヒョウタンボク鉢植え挿し木A01b.jpg
2025年8月29日 軽井沢草花館 ハナヒョウタンボクの挿し木 A2

下写真:枝の先端に付いた2つの冬芽。大きさは前回(8/24)と変わっていないように見えました。

20250829ハナヒョウタンボク鉢植え挿し木A05.jpg
2025年8月29日 軽井沢草花館 ハナヒョウタンボクの挿し木 A2 冬芽

下写真:前回(8/24)撮影

20250824ハナヒョウタンボク鉢植え挿し木A05.jpg
2025年8月24日 軽井沢草花館 ハナヒョウタンボクの挿し木 A2 冬芽

【挿し木B】

もう一つ鉢(B)は4本のうち2本がすでに枯れてしまい、残り2本も成長が止まったままです。こちらもこれといった変化がなく、残り2本が同じような状態をキープしています。
冬芽が出てくると良いのですが、このまま観察を続けます。

20250829ハナヒョウタンボク鉢植え挿し木B01.jpg
2025年8月29日 軽井沢草花館 ハナヒョウタンボクの挿し木 B 葉長最大24_のまま

以下、4月19日からの挿し木の変遷です。

【2025年8月29日(132日目)】
20250829ハナヒョウタンボク鉢植え挿し木.jpg

【2025年8月9日(112日目)】
20250809ハナヒョウタンボク鉢植え挿し木.jpg

【2025年7月20日(92日目)】
20250720ハナヒョウタンボク鉢植え挿し木.jpg

【2025年6月30日(72日目)】
20250630ハナヒョウタンボク鉢植え挿し木.jpg

【2025年6月10日(52日目)】
20250610ハナヒョウタンボク鉢植え挿し木.jpg

【2025年5月21日(32日目)】
20250521ハナヒョウタンボク鉢植え挿し木.jpg

【2025年5月2日(13日目)】
20250502ハナヒョウタンボク鉢植え挿し木.jpg

【2025年4月24日(5日目)】
20250424ハナヒョウタンボク鉢植え挿し木.jpg

【2025年4月19日 挿し木開始】
20250419ハナヒョウタンボク鉢植え挿し木開始01.jpg

【小さな美術館軽井沢草花館 2025年度展示のご案内】

2025年11月16日(日)まで「石川功一の水彩・油彩展 軽井沢の花と実」を開催中。
火曜日休館(但し、9/23の火曜日はOPEN)
詳しくはこちら 軽井沢草花館 ブログユウスゲ日記より「展示案内
posted by kusabanakan at 22:01| ハナヒョウタンボク日記

2025年08月24日

ハナヒョウタンボク日記(44)挿し木127日目、2本目からも冬芽(8/24)

2023、2024年とハナヒョウタンボクの挿し木に挑戦し、ともに失敗に終わりましたが、三たび挑戦中です。

4月19日に2つの鉢に挿し木を始めて今日で127日目となりました。
挿し木した10本のうち、すでに2本が枯れていて、残り8本の成長を観察しているところです。

8本のうち1本は8月9日に冬芽を確認、さらに本日の観察で2本目にも冬芽を確認しました。残りの6本には冬芽が見られませんが、今後付くかどうか観察していきます。

(メモ)

新たな新芽:
6月25日:枝の長さ22_、葉の長さ(最長)15_
6月30日:枝の長さ30_、葉の長さ(最長)20_
7月5日:枝の長さ37_、葉の長さ(最長)22_
7月10日:枝の長さ38_、葉の長さ(最長)24_、枝の先端の葉の長さ18_
7月15日:枝の長さ38_、葉の長さ(最長)25_、枝の先端の葉の長さ20_
7月20日:枝の長さ40_、葉の長さ(最長)25_、枝の先端の葉の長さ21_
 ↓(途中省略)
8月9日:枝の長さ40_、葉の長さ(最長)25_、枝の先端の葉の長さ21_で7/20から変化なし
8月9日:節に冬芽と思われる突起が複数(長さ1ミリ未満)と新芽?と思うような1センチ程度の細長い茎のようなもの1本を確認(A1)
8月14日:冬芽と新芽?と思われる部分に変化なし→その後成長せず。
8月19日:冬芽?のサイズがわずかに成長。
8月24日:新たな挿し木(1本)から冬芽確認(A2)

【挿し木A1(8/9〜)】

20250824ハナヒョウタンボク鉢植え挿し木A03.jpg
2025年8月24日 軽井沢草花館 ハナヒョウタンボクの挿し木 A1

下写真:冬芽の拡大

20250824ハナヒョウタンボク鉢植え挿し木A04.jpg
2025年8月24日 軽井沢草花館 ハナヒョウタンボクの挿し木 A1 冬芽

下写真:前回、8月19日撮影です。長さは1_にも満たないので、正確に測れていませんが、目測では本日の状態とほぼ同じに見えます。但し、茎の色が緑から茶系の色に変化してきました。

20250819ハナヒョウタンボク鉢植え挿し木A04.jpg
2025年8月19日 軽井沢草花館 ハナヒョウタンボクの挿し木 A1 冬芽?

下写真:先月7月10日撮影です。この時を基準にすると、確実に成長しているといえそうです。

20250710ハナヒョウタンボク鉢植え挿し木A03.jpg
2025年7月10日 軽井沢草花館 ハナヒョウタンボクの挿し木 A 冬芽?

以下、葉っぱの大きさと枝の長さの観察です。前回(8/19)から変化はありませんでした。

20250824ハナヒョウタンボク鉢植え挿し木A02.jpg
2025年8月24日 軽井沢草花館 ハナヒョウタンボクの挿し木 A1

下写真:上の挿し木A1を上からみた様子です。周りの5本はすでに成長が止まっていますが、枯れてしまうわけではなく、同じ状態が長く続いています。中央の挿し木は他よりも葉っぱの色が若々しかったのですが、ここにきて他の5本とほぼ同じになりました。

20250824ハナヒョウタンボク鉢植え挿し木A01.jpg
2025年8月24日 軽井沢草花館 ハナヒョウタンボクの挿し木 A1

【挿し木A2(8/24〜)】

新たに冬芽の出てきた挿し木を確認しました。

20250824ハナヒョウタンボク鉢植え挿し木A01b.jpg
2025年8月24日 軽井沢草花館 ハナヒョウタンボクの挿し木 A2

下写真:枝の先端に冬芽が2つ並んで付いていました。とても小さなもので、長さ1_未満です。
この2か月間ほどは、葉っぱの色が褪せていくこと以外、変化が見られませんでしたが、ここにきて冬芽が確認できてうれしいです。来年につながる冬芽になるかどうか? 観察を続けます。

20250824ハナヒョウタンボク鉢植え挿し木A05.jpg
2025年8月24日 軽井沢草花館 ハナヒョウタンボクの挿し木 A2 冬芽

【挿し木B】

もう一つ鉢(B)は4本のうち2本がすでに枯れてしまい、残り2本も成長が止まったままです。こちらもこれといった変化がなく、残り2本が同じような状態をキープしています。
冬芽が出てくると良いのですが、このまま観察を続けます。

20250824ハナヒョウタンボク鉢植え挿し木B01.jpg
2025年8月24日 軽井沢草花館 ハナヒョウタンボクの挿し木 B 葉長最大24_のまま

以下、4月19日からの挿し木の変遷です。

【2025年8月24日(127日目)】
20250824ハナヒョウタンボク鉢植え挿し木.jpg

【2025年8月9日(112日目)】
20250809ハナヒョウタンボク鉢植え挿し木.jpg

【2025年7月20日(92日目)】
20250720ハナヒョウタンボク鉢植え挿し木.jpg

【2025年6月30日(72日目)】
20250630ハナヒョウタンボク鉢植え挿し木.jpg

【2025年6月10日(52日目)】
20250610ハナヒョウタンボク鉢植え挿し木.jpg

【2025年5月21日(32日目)】
20250521ハナヒョウタンボク鉢植え挿し木.jpg

【2025年5月2日(13日目)】
20250502ハナヒョウタンボク鉢植え挿し木.jpg

【2025年4月24日(5日目)】
20250424ハナヒョウタンボク鉢植え挿し木.jpg

【2025年4月19日 挿し木開始】
20250419ハナヒョウタンボク鉢植え挿し木開始01.jpg

【小さな美術館軽井沢草花館 2025年度展示のご案内】

2025年11月16日(日)まで「石川功一の水彩・油彩展 軽井沢の花と実」を開催中。
火曜日休館(但し、9/23の火曜日はOPEN)
詳しくはこちら 軽井沢草花館 ブログユウスゲ日記より「展示案内
posted by kusabanakan at 15:30| ハナヒョウタンボク日記

2025年08月19日

ハナヒョウタンボク日記(43)挿し木122日目、冬芽わずかに成長(8/19)

2023、2024年とハナヒョウタンボクの挿し木に挑戦し、ともに失敗に終わりましたが、三たび挑戦中です。

4月19日に2つの鉢に挿し木を始めて今日で122日目、約4か月となりました。
挿し木した10本のうち、すでに2本が枯れて、7本も成長が止まっている状態。

しかし、その成長が止まっていると思われた7本のうち1本だけは6月25日に新たな芽吹きがあって7月20日にかけて成長し、以降しばらく変化がありませんでしたが、8月9日の観察で冬芽と新芽のようなものが見られました。
前回(8/14)の観察では、冬芽と新芽と思われるものに大きさに変化は見られませんでしたが、今回(8/19)の観察では、冬芽がわずかながら成長していました。

(メモ)

新たな新芽:
6月25日:枝の長さ22_、葉の長さ(最長)15_
6月30日:枝の長さ30_、葉の長さ(最長)20_
7月5日:枝の長さ37_、葉の長さ(最長)22_
7月10日:枝の長さ38_、葉の長さ(最長)24_、枝の先端の葉の長さ18_
7月15日:枝の長さ38_、葉の長さ(最長)25_、枝の先端の葉の長さ20_
7月20日:枝の長さ40_、葉の長さ(最長)25_、枝の先端の葉の長さ21_
 ↓(途中省略)
8月9日:枝の長さ40_、葉の長さ(最長)25_、枝の先端の葉の長さ21_で7/20から変化なし
8月9日:節に冬芽と思われる突起が複数(長さ1ミリ未満)と新芽?と思うような1センチ程度の細長い茎のようなもの1本を確認
8月14日:冬芽と新芽?と思われる部分に変化なし。
8月19日:冬芽?のサイズがわずかに成長。

20250819ハナヒョウタンボク鉢植え挿し木A03.jpg
2025年8月19日 軽井沢草花館 ハナヒョウタンボクの挿し木 A

下写真:冬芽?の膨らみ(下写真)。枝の先端と、その下の節の拡大です。

20250819ハナヒョウタンボク鉢植え挿し木A04.jpg
2025年8月19日 軽井沢草花館 ハナヒョウタンボクの挿し木 A 冬芽?

下写真:前回、8月14日撮影です。長さは1_にも満たないので、正確に測れていませんが、目測で本日の状態(上写真)の方が大きくなっているように見えます。

20250814ハナヒョウタンボク鉢植え挿し木A04.jpg
2025年8月14日 軽井沢草花館 ハナヒョウタンボクの挿し木 A 冬芽?

下写真:先月7月10日撮影です。この時を基準にすると、確実に成長しているといえそうです。

20250710ハナヒョウタンボク鉢植え挿し木A03.jpg
2025年7月10日 軽井沢草花館 ハナヒョウタンボクの挿し木 A 冬芽?

以下、葉っぱの大きさと枝の長さの観察です。前回(8/14)から変化はありませんでした。

20250819ハナヒョウタンボク鉢植え挿し木A02.jpg
2025年8月19日 軽井沢草花館 ハナヒョウタンボクの挿し木 A

下写真:前回8月14日に観察した時の記録です。

20250814ハナヒョウタンボク鉢植え挿し木A02.jpg
2025年8月14日 軽井沢草花館 ハナヒョウタンボクの挿し木 A

下写真:上の挿し木Aを上からみた様子です。周りの5本はすでに成長が止まっていますが、枯れてしまうわけではなく、同じ状態が長く続いています。中央の挿し木は他よりも葉っぱが若々しいですが、色が他の5本に近づいてきました。

20250819ハナヒョウタンボク鉢植え挿し木A01.jpg
2025年8月19日 軽井沢草花館 ハナヒョウタンボクの挿し木 A

下写真:もう一つ鉢(B)は4本のうち2本がすでに枯れてしまい、残り2本も成長が止まったままです。こちらもこれといった変化がなく、残り2本が同じような状態をキープしています。

2025年8月19日 軽井沢草花館 ハナヒョウタンボクの挿し木 B 葉長最大24_のまま

【2025年8月19日(122日目)】
20250819ハナヒョウタンボク鉢植え挿し木.jpg

【2025年8月9日(112日目)】
20250809ハナヒョウタンボク鉢植え挿し木.jpg

【2025年7月20日(92日目)】
20250720ハナヒョウタンボク鉢植え挿し木.jpg

【2025年6月30日(72日目)】
20250630ハナヒョウタンボク鉢植え挿し木.jpg

【2025年6月10日(52日目)】
20250610ハナヒョウタンボク鉢植え挿し木.jpg

【2025年5月21日(32日目)】
20250521ハナヒョウタンボク鉢植え挿し木.jpg

【2025年5月2日(13日目)】
20250502ハナヒョウタンボク鉢植え挿し木.jpg

【2025年4月24日(5日目)】
20250424ハナヒョウタンボク鉢植え挿し木.jpg

【2025年4月19日 挿し木開始】
20250419ハナヒョウタンボク鉢植え挿し木開始01.jpg

【小さな美術館軽井沢草花館 2025年度展示のご案内】

2025年11月16日(日)まで「石川功一の水彩・油彩展 軽井沢の花と実」を開催中。
火曜日休館(但し、9/23の火曜日はOPEN)
詳しくはこちら 軽井沢草花館 ブログユウスゲ日記より「展示案内
posted by kusabanakan at 22:00| ハナヒョウタンボク日記

2025年08月14日

ハナヒョウタンボク日記(42)挿し木117日目、冬芽&新芽?変化なし(8/14)

2023、2024年とハナヒョウタンボクの挿し木に挑戦し、ともに失敗に終わりましたが、三たび挑戦中です。

4月19日に2つの鉢に挿し木を始めて今日で117日目となりました。
挿し木した10本のうち、すでに2本が枯れて、7本も成長が止まっている状態。

しかし、その成長が止まっていると思われた7本のうち1本だけは6月25日に新たな芽吹きがあって7月20日にかけて成長し、以降しばらく変化がありませんでしたが、前回8月9日の観察で冬芽と新芽のようなものが見られました。
本日(8/14)の観察では、冬芽と新芽と思われるものに大きさに変化は見られませんでした。

(メモ)

新たな新芽:
6月25日:枝の長さ22_、葉の長さ(最長)15_
6月30日:枝の長さ30_、葉の長さ(最長)20_
7月5日:枝の長さ37_、葉の長さ(最長)22_
7月10日:枝の長さ38_、葉の長さ(最長)24_、枝の先端の葉の長さ18_
7月15日:枝の長さ38_、葉の長さ(最長)25_、枝の先端の葉の長さ20_
7月20日:枝の長さ40_、葉の長さ(最長)25_、枝の先端の葉の長さ21_
 ↓(途中省略)
8月9日:枝の長さ40_、葉の長さ(最長)25_、枝の先端の葉の長さ21_で7/20から変化なし
8月9日:節に冬芽と思われる突起が複数(長さ1ミリ未満)と新芽?と思うような1センチ程度の細長い茎のようなもの1本を確認
8月14日:冬芽と新芽?と思われる部分に変化なし。

20250814ハナヒョウタンボク鉢植え挿し木A03.jpg
2025年8月14日 軽井沢草花館 ハナヒョウタンボクの挿し木 A

下写真:冬芽らしき膨らみ(下写真)。枝の先端と、その下の節の拡大です。

20250814ハナヒョウタンボク鉢植え挿し木A04.jpg
2025年8月14日 軽井沢草花館 ハナヒョウタンボクの挿し木 A 冬芽?

下写真:前回、8月9日撮影です。本日の状態(上写真)と比べて、大きさに差は見られません。

20250809ハナヒョウタンボク鉢植え挿し木A04.jpg
2025年8月9日 軽井沢草花館 ハナヒョウタンボクの挿し木 A 冬芽?

下写真:先月7月10日撮影です。この時を基準にすると、8/9や8/14の冬芽は成長しているといえそうです。

20250710ハナヒョウタンボク鉢植え挿し木A03.jpg
2025年7月10日 軽井沢草花館 ハナヒョウタンボクの挿し木 A 冬芽?

以下、葉っぱの大きさと枝の長さの観察です。前回(8/9)から変化はありませんでした。

20250814ハナヒョウタンボク鉢植え挿し木A02.jpg
2025年8月14日 軽井沢草花館 ハナヒョウタンボクの挿し木 A

下写真:前回8月9日に観察した時の記録です。

20250809ハナヒョウタンボク鉢植え挿し木A02.jpg
2025年8月9日 軽井沢草花館 ハナヒョウタンボクの挿し木 A

下写真:上の挿し木Aを上からみた様子です。周りの5本はすでに成長が止まっていますが、枯れてしまうわけではなく、同じ状態が長く続いています。中央の挿し木も前回7月20日以降成長が止まっていますが、他の5本と比べると葉っぱが生き生きとしています。

20250814ハナヒョウタンボク鉢植え挿し木A01.jpg
2025年8月14日 軽井沢草花館 ハナヒョウタンボクの挿し木 A

下写真:もう一つ鉢(B)は4本のうち2本がすでに枯れてしまい、残り2本も成長が止まったままです。こちらもこれといった変化がなく、残り2本が同じような状態をキープしています。

20250814ハナヒョウタンボク鉢植え挿し木B01.jpg
2025年8月14日 軽井沢草花館 ハナヒョウタンボクの挿し木 B 葉長最大24_のまま

【2025年8月14日(117日目)】
20250814ハナヒョウタンボク鉢植え挿し木.jpg

【2025年8月9日(112日目)】
20250809ハナヒョウタンボク鉢植え挿し木.jpg

【2025年7月20日(92日目)】
20250720ハナヒョウタンボク鉢植え挿し木.jpg

【2025年6月30日(72日目)】
20250630ハナヒョウタンボク鉢植え挿し木.jpg

【2025年6月10日(52日目)】
20250610ハナヒョウタンボク鉢植え挿し木.jpg

【2025年5月21日(32日目)】
20250521ハナヒョウタンボク鉢植え挿し木.jpg

【2025年5月2日(13日目)】
20250502ハナヒョウタンボク鉢植え挿し木.jpg

【2025年4月24日(5日目)】
20250424ハナヒョウタンボク鉢植え挿し木.jpg

【2025年4月19日 挿し木開始】
20250419ハナヒョウタンボク鉢植え挿し木開始01.jpg

【小さな美術館軽井沢草花館 2025年度展示のご案内】

2025年11月16日(日)まで「石川功一の水彩・油彩展 軽井沢の花と実」を開催中。
火曜日休館(但し、9/23の火曜日はOPEN)
詳しくはこちら 軽井沢草花館 ブログユウスゲ日記より「展示案内
posted by kusabanakan at 13:29| ハナヒョウタンボク日記

2025年08月09日

ハナヒョウタンボク日記(41)挿し木112日目、冬芽&新芽?(8/9)

2023、2024年とハナヒョウタンボクの挿し木に挑戦し、ともに失敗に終わりましたが、三たび挑戦中です。

4月19日に2つの鉢に挿し木を始めて今日で112日目となりました。
挿し木した10本のうち、すでに2本が枯れて、7本も成長が止まっている状態。
1本だけは6月25日に新たな芽吹きがあって、その後7月20日にかけて成長が見られましたが、それ以降は変化が見らません。

しかし、本日の観察では、7月20日まで成長していた1本から冬芽と新芽?と思われるものが見られました。
その他の7本については前回(8/4)から大きな変化はなく、葉っぱが緑の状態をキープしています。冬芽のようなものも見当たりません。

(メモ)

新たな新芽:
6月25日:枝の長さ22_、葉の長さ(最長)15_
6月30日:枝の長さ30_、葉の長さ(最長)20_
7月5日:枝の長さ37_、葉の長さ(最長)22_
7月10日:枝の長さ38_、葉の長さ(最長)24_、枝の先端の葉の長さ18_
7月15日:枝の長さ38_、葉の長さ(最長)25_、枝の先端の葉の長さ20_
7月20日:枝の長さ40_、葉の長さ(最長)25_、枝の先端の葉の長さ21_
 ↓(途中省略)
8月9日:枝の長さ40_、葉の長さ(最長)25_、枝の先端の葉の長さ21_で7/20から変化なし
 節に冬芽と思われる突起が複数(長さ1ミリ未満)と新芽?と思うような1センチ程度の細長い茎のようなもの1本を確認(下写真)

20250809ハナヒョウタンボク鉢植え挿し木A03.jpg
2025年8月9日 軽井沢草花館 ハナヒョウタンボクの挿し木 A

冬芽のような突起は、現時点で長さ0.5_くらいの、とても小さなもので、今まで気が付きませんでしたが、過去の写真を見ると7月10日には出てきていたようです(下写真)。

20250710ハナヒョウタンボク鉢植え挿し木A03.jpg
2025年7月10日 軽井沢草花館 ハナヒョウタンボクの挿し木 A 冬芽?

7月10日と本日8月9日を比べると、どちらも小さなものですが、約1か月で大きく成長しているようです。
このまま冬芽が成長して、冬を越してくれると、毎春また芽が出てくるのかも知れません!
まだ、勝手に想像しているだけの状況ですが、今後のさらなる観察が楽しみになってきました。

以下、葉っぱの大きさと枝の長さの観察です。前回(8/4)から変化はありませんでした。

20250809ハナヒョウタンボク鉢植え挿し木A02.jpg
2025年8月9日 軽井沢草花館 ハナヒョウタンボクの挿し木 A

下写真:前回8月4日に観察した時の記録です。

20250804ハナヒョウタンボク鉢植え挿し木A02.jpg
2025年8月4日 軽井沢草花館 ハナヒョウタンボクの挿し木 A

下写真:上の挿し木Aを上からみた様子です。周りの5本はすでに成長が止まっていますが、枯れてしまうわけではなく、同じ状態が長く続いています。中央の挿し木も前回7月20日以降成長が止まっていますが、他の5本と比べると葉っぱが生き生きとしています。

20250809ハナヒョウタンボク鉢植え挿し木A01.jpg
2025年8月9日 軽井沢草花館 ハナヒョウタンボクの挿し木 A

下写真:もう一つ鉢(B)は4本のうち2本がすでに枯れてしまい、残り2本も成長が止まったままです。こちらもこれといった変化がなく、残り2本が同じような状態をキープしています。

20250809ハナヒョウタンボク鉢植え挿し木B01.jpg
2025年8月9日 軽井沢草花館 ハナヒョウタンボクの挿し木 B 葉長最大24_のまま

【2025年8月9日(112日目)】
20250809ハナヒョウタンボク鉢植え挿し木.jpg

【2025年8月4日(107日目)】
20250804ハナヒョウタンボク鉢植え挿し木.jpg

【2025年7月20日(92日目)】
20250720ハナヒョウタンボク鉢植え挿し木.jpg

【2025年6月30日(72日目)】
20250630ハナヒョウタンボク鉢植え挿し木.jpg

【2025年6月10日(52日目)】
20250610ハナヒョウタンボク鉢植え挿し木.jpg

【2025年5月21日(32日目)】
20250521ハナヒョウタンボク鉢植え挿し木.jpg

【2025年5月2日(13日目)】
20250502ハナヒョウタンボク鉢植え挿し木.jpg

【2025年4月24日(5日目)】
20250424ハナヒョウタンボク鉢植え挿し木.jpg

【2025年4月19日 挿し木開始】
20250419ハナヒョウタンボク鉢植え挿し木開始01.jpg

【小さな美術館軽井沢草花館 2025年度展示のご案内】

2025年11月16日(日)まで「石川功一の水彩・油彩展 軽井沢の花と実」を開催中。
火曜日休館(但し、9/23の火曜日はOPEN)
詳しくはこちら 軽井沢草花館 ブログユウスゲ日記より「展示案内
posted by kusabanakan at 19:23| ハナヒョウタンボク日記

2025年08月04日

ハナヒョウタンボク日記(40)挿し木107日目、変化なしも劣化もなし(8/4)

2023、2024年とハナヒョウタンボクの挿し木に挑戦し、ともに失敗に終わりましたが、三たび挑戦中です。

4月19日に2つの鉢に挿し木を始めて今日で107日目となりました。
挿し木した10本のうち、すでに2本が枯れて、7本も成長が止まっている状態。
1本だけは6月25日に新たな芽吹きがあって、その後7月20日にかけて成長が見られましたが、それ以降は変化が見らません。
緑の葉っぱがそのままの状態で付いているので、枯れてしまってはいない?
と思っていますが、引き続き観察を続けたいと思います。

ちなみに昨年試してみた、地面への挿し木では、6月20日の時点で全て葉っぱが枯れてしまい、うまくいきませんでした。
今年、うまくいっているのかどうかはまだ分かりませんが、昨年よりも1か月半、葉っぱが緑の状態をキープしています。

(メモ)

新たな新芽:
6月25日:枝の長さ22_、葉の長さ(最長)15_
6月30日:枝の長さ30_、葉の長さ(最長)20_
7月5日:枝の長さ37_、葉の長さ(最長)22_
7月10日:枝の長さ38_、葉の長さ(最長)24_、枝の先端の葉の長さ18_
7月15日:枝の長さ38_、葉の長さ(最長)25_、枝の先端の葉の長さ20_
7月20日:枝の長さ40_、葉の長さ(最長)25_、枝の先端の葉の長さ21_
 ↓(途中省略)
8月4日:枝の長さ40_、葉の長さ(最長)25_、枝の先端の葉の長さ21_

20250804ハナヒョウタンボク鉢植え挿し木A02.jpg
2025年8月4日 軽井沢草花館 ハナヒョウタンボクの挿し木 A

下写真:前回7月30日に観察した時の記録です。

20250730ハナヒョウタンボク鉢植え挿し木A02.jpg
2025年7月30日 軽井沢草花館 ハナヒョウタンボクの挿し木 A

下写真:上の挿し木Aを上からみた様子です。周りの5本はすでに成長が止まっていますが、枯れてしまうわけではなく、同じ状態が長く続いています。中央の挿し木も前回7月20日以降成長が止まっています。

20250804ハナヒョウタンボク鉢植え挿し木A01.jpg
2025年8月4日 軽井沢草花館 ハナヒョウタンボクの挿し木 A

下写真:もう一つ鉢(B)は4本のうち2本がすでに枯れてしまい、残り2本も成長が止まったままです。こちらもこれといった変化がなく、残り2本が同じような状態をキープしています。

20250804ハナヒョウタンボク鉢植え挿し木B01.jpg
2025年8月4日 軽井沢草花館 ハナヒョウタンボクの挿し木 B 葉長最大24_のまま

【2025年8月4日(107日目)】
20250804ハナヒョウタンボク鉢植え挿し木.jpg

【2025年7月30日(102日目)】
20250730ハナヒョウタンボク鉢植え挿し木.jpg

【2025年7月20日(92日目)】
20250720ハナヒョウタンボク鉢植え挿し木.jpg

【2025年7月10日(82日目)】
20250710ハナヒョウタンボク鉢植え挿し木.jpg

【2025年6月30日(72日目)】
20250630ハナヒョウタンボク鉢植え挿し木.jpg


【2025年6月20日(62日目)】
20250620ハナヒョウタンボク鉢植え挿し木.jpg

【2025年6月10日(52日目)】
20250610ハナヒョウタンボク鉢植え挿し木.jpg

【2025年5月31日(42日目)】
20250531ハナヒョウタンボク鉢植え挿し木.jpg

【2025年5月21日(32日目)】
20250521ハナヒョウタンボク鉢植え挿し木.jpg

【2025年5月11日(22日目)】
20250511ハナヒョウタンボク鉢植え挿し木.jpg

【2025年5月2日(13日目)】
20250502ハナヒョウタンボク鉢植え挿し木.jpg

【2025年4月28日(9日目)】
20250428ハナヒョウタンボク鉢植え挿し木.jpg

【2025年4月24日(5日目)】
20250424ハナヒョウタンボク鉢植え挿し木.jpg

【2025年4月19日 挿し木開始】
20250419ハナヒョウタンボク鉢植え挿し木開始01.jpg

【小さな美術館軽井沢草花館 2025年度展示のご案内】

2025年11月16日(日)まで「石川功一の水彩・油彩展 軽井沢の花と実」を開催中。
火曜日休館(但し、9/23の火曜日はOPEN)
詳しくはこちら 軽井沢草花館 ブログユウスゲ日記より「展示案内
posted by kusabanakan at 11:51| ハナヒョウタンボク日記

2025年07月30日

ハナヒョウタンボク日記(39)挿し木102日目、5日間動きなく(7/30)

2023、2024年とハナヒョウタンボクの挿し木に挑戦し、ともに失敗に終わりましたが、三たび挑戦中です。

4月19日に2つの鉢に挿し木を始めて今日で102日目となりました。
挿し木した10本のうち、すでに2本が枯れて、7本も成長が止まっている状態。
1本だけは6月25日に新たな芽吹きがあって、その後7月20日にかけて成長が見られました。
しかし、前回(7/25)、そして今回(7/30)と変化が見られません。
葉っぱの状態は良さそうですが、このまま成長なく枯れてしまうのか?
観察を続けます。

(メモ)

新たな新芽:
6月25日:枝の長さ22_、葉の長さ(最長)15_
6月30日:枝の長さ30_、葉の長さ(最長)20_
7月5日:枝の長さ37_、葉の長さ(最長)22_
7月10日:枝の長さ38_、葉の長さ(最長)24_、枝の先端の葉の長さ18_
7月15日:枝の長さ38_、葉の長さ(最長)25_、枝の先端の葉の長さ20_
7月20日:枝の長さ40_、葉の長さ(最長)25_、枝の先端の葉の長さ21_
7月25日:枝の長さ40_、葉の長さ(最長)25_、枝の先端の葉の長さ21_
7月30日:枝の長さ40_、葉の長さ(最長)25_、枝の先端の葉の長さ21_

20250730ハナヒョウタンボク鉢植え挿し木A02.jpg
2025年7月30日 軽井沢草花館 ハナヒョウタンボクの挿し木 A

下写真:前回7月25日に観察した時の記録です。

20250725ハナヒョウタンボク鉢植え挿し木A02.jpg
2025年7月25日 軽井沢草花館 ハナヒョウタンボクの挿し木 A

下写真:上の挿し木Aを上からみた様子です。周りの5本はすでに成長が止まっていますが、枯れてしまうわけではなく、同じ状態が長く続いています。中央の挿し木も前回7月25日の観察から成長が見られず、これといった変化もなく、真夏をむかえています。

20250730ハナヒョウタンボク鉢植え挿し木A01.jpg
2025年7月30日 軽井沢草花館 ハナヒョウタンボクの挿し木 A

下写真:もう一つ鉢(B)は4本のうち2本がすでに枯れてしまい、残り2本も成長が止まったままです。こちらもこれといった変化がなく、残り2本が同じような状態をキープしています。

20250730ハナヒョウタンボク鉢植え挿し木B01.jpg
2025年7月30日 軽井沢草花館 ハナヒョウタンボクの挿し木 B 葉長最大24_のまま

【2025年7月30日(102日目)】
20250730ハナヒョウタンボク鉢植え挿し木.jpg

【2025年7月25日(97日目)】
20250725ハナヒョウタンボク鉢植え挿し木.jpg

【2025年7月20日(92日目)】
20250720ハナヒョウタンボク鉢植え挿し木.jpg

【2025年7月15日(87日目)】
20250715ハナヒョウタンボク鉢植え挿し木.jpg

【2025年7月10日(82日目)】
20250710ハナヒョウタンボク鉢植え挿し木.jpg

【2025年7月5日(77日目)】
20250705ハナヒョウタンボク鉢植え挿し木.jpg

【2025年6月30日(72日目)】
20250630ハナヒョウタンボク鉢植え挿し木.jpg

【2025年6月25日(67日目)】
20250625ハナヒョウタンボク鉢植え挿し木.jpg

【2025年6月20日(62日目)】
20250620ハナヒョウタンボク鉢植え挿し木.jpg

【2025年6月16日(58日目)】
20250616ハナヒョウタンボク鉢植え挿し木.jpg
【2025年6月10日(52日目)】
20250610ハナヒョウタンボク鉢植え挿し木.jpg

【2025年6月5日(47日目)】
20250605ハナヒョウタンボク鉢植え挿し木.jpg

【2025年5月31日(42日目)】
20250531ハナヒョウタンボク鉢植え挿し木.jpg

【2025年5月26日(37日目)】
20250526ハナヒョウタンボク鉢植え挿し木.jpg

【2025年5月21日(32日目)】
20250521ハナヒョウタンボク鉢植え挿し木.jpg

【2025年5月16日(27日目)】
20250516ハナヒョウタンボク鉢植え挿し木.jpg

【2025年5月11日(22日目)】
20250511ハナヒョウタンボク鉢植え挿し木.jpg

【2025年5月6日(17日目)】
20250506ハナヒョウタンボク鉢植え挿し木.jpg

【2025年5月2日(13日目)】
20250502ハナヒョウタンボク鉢植え挿し木.jpg

【2025年4月28日(9日目)】
20250428ハナヒョウタンボク鉢植え挿し木.jpg

【2025年4月24日(5日目)】
20250424ハナヒョウタンボク鉢植え挿し木.jpg

【2025年4月19日 挿し木開始】
20250419ハナヒョウタンボク鉢植え挿し木開始01.jpg

【小さな美術館軽井沢草花館 2025年度展示のご案内】

2025年11月16日(日)まで「石川功一の水彩・油彩展 軽井沢の花と実」を開催中。
火曜日休館(但し、9/23の火曜日はOPEN)
詳しくはこちら 軽井沢草花館 ブログユウスゲ日記より「展示案内
続きを読む
posted by kusabanakan at 11:41| ハナヒョウタンボク日記

2025年07月25日

ハナヒョウタンボク日記(38)挿し木97日目、成長止まる(7/25)

2023、2024年とハナヒョウタンボクの挿し木に挑戦し、ともに失敗に終わりましたが、三たび挑戦中です。

4月19日に2つの鉢に挿し木を始めて今日で97日目となりました。
挿し木した10本のうち、すでに2本が枯れて、7本も成長が止まっている状態。
1本だけは6月25日に新たな芽吹きがあって、前回(7/20)までわずかながらも成長が続いていました。
しかし、本日の観察では7/20から7/25までの5日間で葉や枝の長さに変化が見られませんでした。
成長が止まってしまったのか?
観察を続けます。

(メモ)

新たな新芽:
6月25日:枝の長さ22_、葉の長さ(最長)15_
6月30日:枝の長さ30_、葉の長さ(最長)20_
7月5日:枝の長さ37_、葉の長さ(最長)22_
7月10日:枝の長さ38_、葉の長さ(最長)24_、枝の先端の葉の長さ18_
7月15日:枝の長さ38_、葉の長さ(最長)25_、枝の先端の葉の長さ20_
7月20日:枝の長さ40_、葉の長さ(最長)25_、枝の先端の葉の長さ21_
7月25日:枝の長さ40_、葉の長さ(最長)25_、枝の先端の葉の長さ21_

20250725ハナヒョウタンボク鉢植え挿し木A02.jpg
2025年7月25日 軽井沢草花館 ハナヒョウタンボクの挿し木 A

下写真:前回7月20日に観察した時の記録です。

20250720ハナヒョウタンボク鉢植え挿し木A02.jpg
2025年7月20日 軽井沢草花館 ハナヒョウタンボクの挿し木 A

下写真:上の挿し木Aを上からみた様子です。周りの5本は成長が止まっていて、今後、新芽が出てこない限り枯れてしまいそうですが、予想以上にこの状態が長く続いていて、まだ枯れていません。ただ、中央の挿し木もこのまま成長が止まってしまうのか心配です。

20250725ハナヒョウタンボク鉢植え挿し木A01.jpg
2025年7月25日 軽井沢草花館 ハナヒョウタンボクの挿し木 A

下写真:もう一つ鉢(B)は4本のうち2本がすでに枯れてしまい。残り2本も成長が止まったままです。しかし、こちらも枯れそうで枯れず、しぶとく状態をキープしています。

20250725ハナヒョウタンボク鉢植え挿し木B01.jpg
2025年7月25日 軽井沢草花館 ハナヒョウタンボクの挿し木 B 葉長最大24_のまま

【2025年7月25日(97日目)】
20250725ハナヒョウタンボク鉢植え挿し木.jpg

【2025年7月20日(92日目)】
20250720ハナヒョウタンボク鉢植え挿し木.jpg

【2025年7月15日(87日目)】
20250715ハナヒョウタンボク鉢植え挿し木.jpg

【2025年7月10日(82日目)】
20250710ハナヒョウタンボク鉢植え挿し木.jpg

【2025年7月5日(77日目)】
20250705ハナヒョウタンボク鉢植え挿し木.jpg

【2025年6月30日(72日目)】
20250630ハナヒョウタンボク鉢植え挿し木.jpg

【2025年6月25日(67日目)】
20250625ハナヒョウタンボク鉢植え挿し木.jpg

【2025年6月20日(62日目)】
20250620ハナヒョウタンボク鉢植え挿し木.jpg

【2025年6月16日(58日目)】
20250616ハナヒョウタンボク鉢植え挿し木.jpg
【2025年6月10日(52日目)】
20250610ハナヒョウタンボク鉢植え挿し木.jpg

【2025年6月5日(47日目)】
20250605ハナヒョウタンボク鉢植え挿し木.jpg

【2025年5月31日(42日目)】
20250531ハナヒョウタンボク鉢植え挿し木.jpg

【2025年5月26日(37日目)】
20250526ハナヒョウタンボク鉢植え挿し木.jpg

【2025年5月21日(32日目)】
20250521ハナヒョウタンボク鉢植え挿し木.jpg

【2025年5月16日(27日目)】
20250516ハナヒョウタンボク鉢植え挿し木.jpg

【2025年5月11日(22日目)】
20250511ハナヒョウタンボク鉢植え挿し木.jpg

【2025年5月6日(17日目)】
20250506ハナヒョウタンボク鉢植え挿し木.jpg

【2025年5月2日(13日目)】
20250502ハナヒョウタンボク鉢植え挿し木.jpg

【2025年4月28日(9日目)】
20250428ハナヒョウタンボク鉢植え挿し木.jpg

【2025年4月24日(5日目)】
20250424ハナヒョウタンボク鉢植え挿し木.jpg

【2025年4月19日 挿し木開始】
20250419ハナヒョウタンボク鉢植え挿し木開始01.jpg

【小さな美術館軽井沢草花館 2025年度展示のご案内】

2025年11月16日(日)まで「石川功一の水彩・油彩展 軽井沢の花と実」を開催中。
火曜日休館(但し、9/23の火曜日はOPEN)
詳しくはこちら 軽井沢草花館 ブログユウスゲ日記より「展示案内
posted by kusabanakan at 16:35| ハナヒョウタンボク日記

2025年07月20日

ハナヒョウタンボク日記(37)挿し木92日目、葉わずかに成長(7/20)

2023、2024年とハナヒョウタンボクの挿し木に挑戦し、ともに失敗に終わりましたが、三たび挑戦中です。

4月19日に2つの鉢に挿し木を始めて今日で92日目、3か月を過ぎました。
挿し木した10本のうち、すでに2本が枯れて、7本も成長が止まっている状態。
しかし、1本だけは6月25日に新たな芽吹きがあって、今後に望みをつないでいます。
前回(7/15)からの5日間でその1本のさらなる成長を確認しました。
わずかですが、葉と枝の長さに変化がありました。

(メモ)

新たな新芽:
6月25日:枝の長さ22_、葉の長さ(最長)15_
6月30日:枝の長さ30_、葉の長さ(最長)20_
7月5日:枝の長さ37_、葉の長さ(最長)22_
7月10日:枝の長さ38_、葉の長さ(最長)24_、枝の先端の葉の長さ18_
7月15日:枝の長さ38_、葉の長さ(最長)25_、枝の先端の葉の長さ20_
7月20日:枝の長さ40_、葉の長さ(最長)25_、枝の先端の葉の長さ21_

20250720ハナヒョウタンボク鉢植え挿し木A02.jpg
2025年7月20日 軽井沢草花館 ハナヒョウタンボクの挿し木 A

下写真:前回7月15日

20250715ハナヒョウタンボク鉢植え挿し木A02.jpg
2025年7月15日 軽井沢草花館 ハナヒョウタンボクの挿し木 A

下写真:上の挿し木Aを上からみた様子です。周りの5本は成長が止まっていて、今後、新芽が出てこない限り枯れてしまいそうですが、予想以上にこの状態が長く続いていて、まだ枯れていません。

20250720ハナヒョウタンボク鉢植え挿し木A01.jpg
2025年7月20日 軽井沢草花館 ハナヒョウタンボクの挿し木 A

下写真:もう一つ鉢(B)は4本のうち2本がすでに枯れてしまい。残り2本も成長が止まったままです。しかし、こちらも枯れそうで枯れず、状態をキープしています。

20250720ハナヒョウタンボク鉢植え挿し木B01re.jpg
2025年7月20日 軽井沢草花館 ハナヒョウタンボクの挿し木 B 葉長最大24_のまま

【2025年7月20日(92日目)】
20250720ハナヒョウタンボク鉢植え挿し木.jpg

【2025年7月15日(87日目)】
20250715ハナヒョウタンボク鉢植え挿し木.jpg

【2025年7月10日(82日目)】
20250710ハナヒョウタンボク鉢植え挿し木.jpg

【2025年7月5日(77日目)】
20250705ハナヒョウタンボク鉢植え挿し木.jpg

【2025年6月30日(72日目)】
20250630ハナヒョウタンボク鉢植え挿し木.jpg

【2025年6月25日(67日目)】
20250625ハナヒョウタンボク鉢植え挿し木.jpg

【2025年6月20日(62日目)】
20250620ハナヒョウタンボク鉢植え挿し木.jpg

【2025年6月16日(58日目)】
20250616ハナヒョウタンボク鉢植え挿し木.jpg
【2025年6月10日(52日目)】
20250610ハナヒョウタンボク鉢植え挿し木.jpg

【2025年6月5日(47日目)】
20250605ハナヒョウタンボク鉢植え挿し木.jpg

【2025年5月31日(42日目)】
20250531ハナヒョウタンボク鉢植え挿し木.jpg

【2025年5月26日(37日目)】
20250526ハナヒョウタンボク鉢植え挿し木.jpg

【2025年5月21日(32日目)】
20250521ハナヒョウタンボク鉢植え挿し木.jpg

【2025年5月16日(27日目)】
20250516ハナヒョウタンボク鉢植え挿し木.jpg

【2025年5月11日(22日目)】
20250511ハナヒョウタンボク鉢植え挿し木.jpg

【2025年5月6日(17日目)】
20250506ハナヒョウタンボク鉢植え挿し木.jpg

【2025年5月2日(13日目)】
20250502ハナヒョウタンボク鉢植え挿し木.jpg

【2025年4月28日(9日目)】
20250428ハナヒョウタンボク鉢植え挿し木.jpg

【2025年4月24日(5日目)】
20250424ハナヒョウタンボク鉢植え挿し木.jpg

【2025年4月19日 挿し木開始】
20250419ハナヒョウタンボク鉢植え挿し木開始01.jpg

【小さな美術館軽井沢草花館 2025年度展示のご案内】

2025年11月16日(日)まで「石川功一の水彩・油彩展 軽井沢の花と実」を開催中。
火曜日休館(但し、9/23の火曜日はOPEN)
詳しくはこちら 軽井沢草花館 ブログユウスゲ日記より「展示案内
posted by kusabanakan at 13:17| ハナヒョウタンボク日記

2025年07月15日

ハナヒョウタンボク日記(36)挿し木87日目、葉わずかに成長(7/15)

2023、2024年とハナヒョウタンボクの挿し木に挑戦し、ともに失敗に終わりましたが、三たび挑戦中です。

4月19日に2つの鉢に挿し木を始めて、今日で87日目です。
挿し木した10本のうち、すでに2本が枯れて、7本も成長が止まっている状態。
しかし、1本だけは6月25日に新たな芽吹きがあって、今後に望みをつないでいます。
前回(7/10)からの5日間でその1本のさらなる成長を確認しました。
わずかですが、葉の長さが大きくなりました。枝の長さには変化がありませんでした。

(メモ)

新たな新芽:
6月25日:枝の長さ22_、葉の長さ(最長)15_
6月30日:枝の長さ30_、葉の長さ(最長)20_
7月5日:枝の長さ37_、葉の長さ(最長)22_
7月10日:枝の長さ38_、葉の長さ(最長)24_、枝の先端の葉の長さ18_
7月15日:枝の長さ38_、葉の長さ(最長)25_、枝の先端の葉の長さ20_

20250715ハナヒョウタンボク鉢植え挿し木A02.jpg
2025年7月15日 軽井沢草花館 ハナヒョウタンボクの挿し木 A

下写真:前回7月10日

20250710ハナヒョウタンボク鉢植え挿し木A02.jpg
2025年7月10日 軽井沢草花館 ハナヒョウタンボクの挿し木 A

下写真:上の挿し木Aを上からみた様子です。周りの5本は成長が止まっていて、今後、新芽が出てこない限り枯れてしまいそうですが、予想以上にこの状態が長く続いていて、まだ枯れていません。

20250715ハナヒョウタンボク鉢植え挿し木A01.jpg
2025年7月15日 軽井沢草花館 ハナヒョウタンボクの挿し木 A

下写真:もう一つ鉢(B)は4本のうち2本がすでに枯れてしまい。残り2本も成長が止まったままです。しかし枯れそうで枯れず、状態をキープしています。

20250715ハナヒョウタンボク鉢植え挿し木B01re.jpg
2025年7月15日 軽井沢草花館 ハナヒョウタンボクの挿し木 B 葉長最大24_のまま

【2025年7月15日(87日目)】
20250715ハナヒョウタンボク鉢植え挿し木.jpg

【2025年7月10日(82日目)】
20250710ハナヒョウタンボク鉢植え挿し木.jpg

【2025年7月5日(77日目)】
20250705ハナヒョウタンボク鉢植え挿し木.jpg

【2025年6月30日(72日目)】
20250630ハナヒョウタンボク鉢植え挿し木.jpg

【2025年6月25日(67日目)】
20250625ハナヒョウタンボク鉢植え挿し木.jpg

【2025年6月20日(62日目)】
20250620ハナヒョウタンボク鉢植え挿し木.jpg

【2025年6月16日(58日目)】
20250616ハナヒョウタンボク鉢植え挿し木.jpg
【2025年6月10日(52日目)】
20250610ハナヒョウタンボク鉢植え挿し木.jpg

【2025年6月5日(47日目)】
20250605ハナヒョウタンボク鉢植え挿し木.jpg

【2025年5月31日(42日目)】
20250531ハナヒョウタンボク鉢植え挿し木.jpg

【2025年5月26日(37日目)】
20250526ハナヒョウタンボク鉢植え挿し木.jpg

【2025年5月21日(32日目)】
20250521ハナヒョウタンボク鉢植え挿し木.jpg

【2025年5月16日(27日目)】
20250516ハナヒョウタンボク鉢植え挿し木.jpg

【2025年5月11日(22日目)】
20250511ハナヒョウタンボク鉢植え挿し木.jpg

【2025年5月6日(17日目)】
20250506ハナヒョウタンボク鉢植え挿し木.jpg

【2025年5月2日(13日目)】
20250502ハナヒョウタンボク鉢植え挿し木.jpg

【2025年4月28日(9日目)】
20250428ハナヒョウタンボク鉢植え挿し木.jpg

【2025年4月24日(5日目)】
20250424ハナヒョウタンボク鉢植え挿し木.jpg

【2025年4月19日 挿し木開始】
20250419ハナヒョウタンボク鉢植え挿し木開始01.jpg

【小さな美術館軽井沢草花館 2025年度展示のご案内】

2025年11月16日(日)まで「石川功一の水彩・油彩展 軽井沢の花と実」を開催中。
火曜日休館(但し、9/23の火曜日はOPEN)
詳しくはこちら 軽井沢草花館 ブログユウスゲ日記より「展示案内
続きを読む
posted by kusabanakan at 20:15| ハナヒョウタンボク日記

2025年07月10日

ハナヒョウタンボク日記(35)挿し木82日目、葉も枝も成長続く(7/10)

2023、2024年とハナヒョウタンボクの挿し木に挑戦し、ともに失敗に終わりましたが、三たび挑戦中です。

4月19日に2つの鉢に挿し木を始めて、今日で82日目です。
挿し木した10本のうち、すでに2本が枯れて、7本も成長が止まっている状態。
しかし、1本だけは前々回(6/25)新たな芽吹きがあって、今後に望みをつないでいます。
前回(7/5)からの5日間でその1本のさらなる成長を確認しました。
わずかですが、葉の長さが大きくなり、枝もわずかに伸びました。

(メモ)

新たな新芽:
6月25日:枝の長さ22_、葉の長さ(最長)15_
6月30日:枝の長さ30_、葉の長さ(最長)20_
7月5日:枝の長さ37_、葉の長さ(最長)22_
7月10日:枝の長さ38_、葉の長さ(最長)24_、枝の先端の葉の長さ18_

20250710ハナヒョウタンボク鉢植え挿し木A02.jpg
2025年7月10日 軽井沢草花館 ハナヒョウタンボクの挿し木 A

下写真:前回7月5日

20250705ハナヒョウタンボク鉢植え挿し木A02re.jpg
2025年7月5日 軽井沢草花館 ハナヒョウタンボクの挿し木 A

下写真:上の挿し木Aを上からみた様子です。周りの5本は成長が止まっていて、今後、新芽が出てこない限り枯れてしまいそうですが、予想以上にこの状態が長く続いていて、まだ枯れていません。

20250710ハナヒョウタンボク鉢植え挿し木A01.jpg
2025年7月10日 軽井沢草花館 ハナヒョウタンボクの挿し木 A

下写真:もう一つ鉢(B)は4本のうち2本がすでに枯れてしまい。残り2本も成長が止まったままです。しかし枯れそうで枯れず、状態をキープしています。

20250710ハナヒョウタンボク鉢植え挿し木B01.jpg
2025年7月10日 軽井沢草花館 ハナヒョウタンボクの挿し木 B 葉長最大24_のまま

【2025年7月10日(82日目)】
20250710ハナヒョウタンボク鉢植え挿し木.jpg

【2025年7月5日(77日目)】
20250705ハナヒョウタンボク鉢植え挿し木.jpg

【2025年6月30日(72日目)】
20250630ハナヒョウタンボク鉢植え挿し木.jpg

【2025年6月25日(67日目)】
20250625ハナヒョウタンボク鉢植え挿し木.jpg

【2025年6月20日(62日目)】
20250620ハナヒョウタンボク鉢植え挿し木.jpg

【2025年6月16日(58日目)】
20250616ハナヒョウタンボク鉢植え挿し木.jpg
【2025年6月10日(52日目)】
20250610ハナヒョウタンボク鉢植え挿し木.jpg

【2025年6月5日(47日目)】
20250605ハナヒョウタンボク鉢植え挿し木.jpg

【2025年5月31日(42日目)】
20250531ハナヒョウタンボク鉢植え挿し木.jpg

【2025年5月26日(37日目)】
20250526ハナヒョウタンボク鉢植え挿し木.jpg

【2025年5月21日(32日目)】
20250521ハナヒョウタンボク鉢植え挿し木.jpg

【2025年5月16日(27日目)】
20250516ハナヒョウタンボク鉢植え挿し木.jpg

【2025年5月11日(22日目)】
20250511ハナヒョウタンボク鉢植え挿し木.jpg

【2025年5月6日(17日目)】
20250506ハナヒョウタンボク鉢植え挿し木.jpg

【2025年5月2日(13日目)】
20250502ハナヒョウタンボク鉢植え挿し木.jpg

【2025年4月28日(9日目)】
20250428ハナヒョウタンボク鉢植え挿し木.jpg

【2025年4月24日(5日目)】
20250424ハナヒョウタンボク鉢植え挿し木.jpg

【2025年4月19日 挿し木開始】
20250419ハナヒョウタンボク鉢植え挿し木開始01.jpg

【小さな美術館軽井沢草花館 2025年度展示のご案内】

2025年11月16日(日)まで「石川功一の水彩・油彩展 軽井沢の花と実」を開催中。
火曜日休館(但し、9/23の火曜日はOPEN)
詳しくはこちら 軽井沢草花館 ブログユウスゲ日記より「展示案内
posted by kusabanakan at 19:53| ハナヒョウタンボク日記

2025年07月05日

ハナヒョウタンボク日記(34)挿し木77日目、新芽成長続く(7/5)

2023、2024年とハナヒョウタンボクの挿し木に挑戦し、ともに失敗に終わりましたが、三たび挑戦中です。

4月19日に2つの鉢に挿し木を始めて、今日で77日目です。
挿し木した10本のうち、すでに2本が枯れて、7本も成長が止まっている状態。
しかし、1本だけは前々回(6/25)新たな芽吹きがあって、今後に望みをつないでいます。
前回(6/30)からの5日間でその1本のさらなる成長を確認しました。

(メモ)

新たな新芽:
6月25日:枝の長さ22_、葉の長さ(最長)15_
6月30日:枝の長さ30_、葉の長さ(最長)20_
7月5日:枝の長さ37_、葉の長さ(最長)22_

20250705ハナヒョウタンボク鉢植え挿し木A02re.jpg
2025年7月5日 軽井沢草花館 ハナヒョウタンボクの挿し木 A

下写真:前回6月30日

20250630ハナヒョウタンボク鉢植え挿し木A02re.jpg
2025年6月30日 軽井沢草花館 ハナヒョウタンボクの挿し木 A

下写真:前々回6月25日

20250625ハナヒョウタンボク鉢植え挿し木A02.jpg
2025年6月25日 軽井沢草花館 ハナヒョウタンボクの挿し木 A

下写真:上の挿し木Aを上からみた様子です。周りの5本は成長が止まっていて、今後、新芽が出てこない限り枯れてしまいそうです。

20250705ハナヒョウタンボク鉢植え挿し木A01re.jpg
2025年7月5日 軽井沢草花館 ハナヒョウタンボクの挿し木 A 新たに芽吹き

下写真:もう一つ鉢(B)は4本のうち2本がすでに枯れてしまい。残り2本も成長が止まったままです。葉っぱの色もくすんできていて、枯れてしまいそうです。

20250705ハナヒョウタンボク鉢植え挿し木B01.jpg
2025年7月5日 軽井沢草花館 ハナヒョウタンボクの挿し木 B 葉長最大24_のまま

【2025年7月5日(77日目)】
20250705ハナヒョウタンボク鉢植え挿し木.jpg

【2025年6月30日(72日目)】
20250630ハナヒョウタンボク鉢植え挿し木.jpg

【2025年6月25日(67日目)】
20250625ハナヒョウタンボク鉢植え挿し木.jpg

【2025年6月20日(62日目)】
20250620ハナヒョウタンボク鉢植え挿し木.jpg

【2025年6月16日(58日目)】
20250616ハナヒョウタンボク鉢植え挿し木.jpg


【2025年6月10日(52日目)】
20250610ハナヒョウタンボク鉢植え挿し木.jpg

【2025年6月5日(47日目)】
20250605ハナヒョウタンボク鉢植え挿し木.jpg

【2025年5月31日(42日目)】
20250531ハナヒョウタンボク鉢植え挿し木.jpg

【2025年5月26日(37日目)】
20250526ハナヒョウタンボク鉢植え挿し木.jpg

【2025年5月21日(32日目)】
20250521ハナヒョウタンボク鉢植え挿し木.jpg

【2025年5月16日(27日目)】
20250516ハナヒョウタンボク鉢植え挿し木.jpg

【2025年5月11日(22日目)】
20250511ハナヒョウタンボク鉢植え挿し木.jpg

【2025年5月6日(17日目)】
20250506ハナヒョウタンボク鉢植え挿し木.jpg

【2025年5月2日(13日目)】
20250502ハナヒョウタンボク鉢植え挿し木.jpg

【2025年4月28日(9日目)】
20250428ハナヒョウタンボク鉢植え挿し木.jpg

【2025年4月24日(5日目)】
20250424ハナヒョウタンボク鉢植え挿し木.jpg

【2025年4月19日 挿し木開始】
20250419ハナヒョウタンボク鉢植え挿し木開始01.jpg

【小さな美術館軽井沢草花館 2025年度展示のご案内】

2025年11月16日(日)まで「石川功一の水彩・油彩展 軽井沢の花と実」を開催中。
火曜日休館(但し、9/23の火曜日はOPEN)
詳しくはこちら 軽井沢草花館 ブログユウスゲ日記より「展示案内
posted by kusabanakan at 20:36| ハナヒョウタンボク日記

2025年06月30日

ハナヒョウタンボク日記(33)挿し木72日目、新芽成長続く(6/30)

2023、2024年とハナヒョウタンボクの挿し木に挑戦し、ともに失敗に終わりましたが、三たび挑戦中です。

4月19日に2つの鉢に挿し木を始めて、今日で72日目です。
挿し木した10本のうち、すでに2本が枯れて、7本も成長が止まっている状態。
しかし、1本だけは前回(6/25)新たな芽吹きがあって、今後の望みをつないでいました。
そして、今回(6/30)、その望みの1本のさらなる成長を確認しました。
挿し木が成功したとまでは言えませんが、さらに観察を続けます。

(メモ)

新たな新芽:
6月25日:枝の長さ22_、葉の長さ(最長)15_
6月30日:枝の長さ30_、葉の長さ(最長)20_

挿し木を始めて67日目(6/25)に出てきた新芽が5日間で枝8_、葉の長さ5_成長していました。
※暑くなってきたことから、鉢植えの置き場を6月半ばより日陰の環境下にした

20250630ハナヒョウタンボク鉢植え挿し木A02re.jpg
2025年6月30日 軽井沢草花館 ハナヒョウタンボクの挿し木 A

下写真:前回6月25日

20250625ハナヒョウタンボク鉢植え挿し木A02.jpg
2025年6月25日 軽井沢草花館 ハナヒョウタンボクの挿し木 A

下写真:中央の挿し木に新芽が出て成長を続けています。周りの5本は成長が止まっていて、今後、新芽が出てこない限り枯れてしまいそう。

20250630ハナヒョウタンボク鉢植え挿し木A01.jpg
2025年6月30日 軽井沢草花館 ハナヒョウタンボクの挿し木 A 新たに芽吹き

下写真:前回6月25日

20250625ハナヒョウタンボク鉢植え挿し木A01.jpg
2025年6月25日 軽井沢草花館 ハナヒョウタンボクの挿し木 A 新たに芽吹き

下写真:もう一つ鉢(B)は4本のうち2本がすでに枯れてしまい。残り2本も成長が止まったままです。葉っぱの色もくすんできていて、枯れてしまいそうです。

20250625ハナヒョウタンボク鉢植え挿し木B01.jpg
2025年6月30日 軽井沢草花館 ハナヒョウタンボクの挿し木 B 葉長最大24_

【2025年6月30日(72日目)】
20250630ハナヒョウタンボク鉢植え挿し木.jpg

【2025年6月25日(67日目)】
20250625ハナヒョウタンボク鉢植え挿し木.jpg

【2025年6月20日(62日目)】
20250620ハナヒョウタンボク鉢植え挿し木.jpg

【2025年6月16日(58日目)】
20250616ハナヒョウタンボク鉢植え挿し木.jpg
【2025年6月10日(52日目)】
20250610ハナヒョウタンボク鉢植え挿し木.jpg

【2025年6月5日(47日目)】
20250605ハナヒョウタンボク鉢植え挿し木.jpg

【2025年5月31日(42日目)】
20250531ハナヒョウタンボク鉢植え挿し木.jpg

【2025年5月26日(37日目)】
20250526ハナヒョウタンボク鉢植え挿し木.jpg

【2025年5月21日(32日目)】
20250521ハナヒョウタンボク鉢植え挿し木.jpg

【2025年5月16日(27日目)】
20250516ハナヒョウタンボク鉢植え挿し木.jpg

【2025年5月11日(22日目)】
20250511ハナヒョウタンボク鉢植え挿し木.jpg

【2025年5月6日(17日目)】
20250506ハナヒョウタンボク鉢植え挿し木.jpg

【2025年5月2日(13日目)】
20250502ハナヒョウタンボク鉢植え挿し木.jpg

【2025年4月28日(9日目)】
20250428ハナヒョウタンボク鉢植え挿し木.jpg

【2025年4月24日(5日目)】
20250424ハナヒョウタンボク鉢植え挿し木.jpg

【2025年4月19日 挿し木開始】
20250419ハナヒョウタンボク鉢植え挿し木開始01.jpg

【小さな美術館軽井沢草花館 2025年度展示のご案内】

2025年11月16日(日)まで「石川功一の水彩・油彩展 軽井沢の花と実」を開催中。
火曜日休館(但し、9/23の火曜日はOPEN)
詳しくはこちら 軽井沢草花館 ブログユウスゲ日記より「展示案内
posted by kusabanakan at 15:05| ハナヒョウタンボク日記

2025年06月25日

ハナヒョウタンボク日記(32)挿し木67日目、新芽出て、望みつながる(6/25)

2023、2024年とハナヒョウタンボクの挿し木に挑戦し、ともに失敗に終わりましたが、三たび挑戦中です。

4月19日に2つの鉢に挿し木を始めて、今日で67日目です。
前回6月20日、2か月を過ぎた時点で、10本のうち1本が枯れてしまい、他の9本にも変化がなかったことから、今年もダメだった… と思っていたのですが、本日、1本の挿し木から新芽が出ていました!
新芽がこれから、どういうふうに成長していくか、挿し木のチャレンジに望みがつながって、良かったです。
ちなみに、この5日間は暑さも幾分和らぎ、雨も適度に降りました。
また、残っていた9本のうち1本が枯れてしまいました。

尚、昨年のチャレンジを振り返ると、地植えでの挿し木だったので、今年とはやり方が異なりますが、6月20日にすべての挿し木が枯れてしまっています。今年も、挿し木が成功する確率は極めて低そうですが、枯れてしまうまでの期間は今年の方が長く、新たに芽吹いた挿し木もあり、可能性を残してくれています。


(メモ)
枝の長さ 最大21_(5/16から変化なし)
葉っぱの長さ 最大30_
 (5/31:24_、6/5:28_、6/10:28_、6/16:30_、6/20:30_、6/25:30_)

新芽:6/20から6/25の間に新芽が出て 枝の長さ22_、葉の長さ(最長)15_

20250625ハナヒョウタンボク鉢植え挿し木A02.jpg
2025年6月25日 軽井沢草花館 ハナヒョウタンボクの挿し木 A

20250625ハナヒョウタンボク鉢植え挿し木A01.jpg
2025年6月25日 軽井沢草花館 ハナヒョウタンボクの挿し木 A 新たに芽吹き

下写真:前回(6/20)

20250620ハナヒョウタンボク鉢植え挿し木A01.jpg
2025年6月20日 軽井沢草花館 ハナヒョウタンボクの挿し木 A 葉長最大30_

下写真:もう一つ鉢も葉長が最大24_で前回(6/16)と同じでした。また、この鉢の中の挿し木4本のうち1本が枯れてしまいました。前回も1本枯れているので、残りは2本です。

20250625ハナヒョウタンボク鉢植え挿し木B01.jpg
2025年6月25日 軽井沢草花館 ハナヒョウタンボクの挿し木 B 葉長最大24_

下写真:前回(6/20)

20250620ハナヒョウタンボク鉢植え挿し木B01.jpg
2025年6月20日 軽井沢草花館 ハナヒョウタンボクの挿し木 B 葉長最大24_

【2025年6月25日(67日目)】
20250625ハナヒョウタンボク鉢植え挿し木.jpg

【2025年6月20日(62日目)】
20250620ハナヒョウタンボク鉢植え挿し木.jpg

【2025年6月16日(58日目)】
20250616ハナヒョウタンボク鉢植え挿し木.jpg


【2025年6月10日(52日目)】
20250610ハナヒョウタンボク鉢植え挿し木.jpg

【2025年6月5日(47日目)】
20250605ハナヒョウタンボク鉢植え挿し木.jpg

【2025年5月31日(42日目)】
20250531ハナヒョウタンボク鉢植え挿し木.jpg

【2025年5月26日(37日目)】
20250526ハナヒョウタンボク鉢植え挿し木.jpg

【2025年5月21日(32日目)】
20250521ハナヒョウタンボク鉢植え挿し木.jpg

【2025年5月16日(27日目)】
20250516ハナヒョウタンボク鉢植え挿し木.jpg

【2025年5月11日(22日目)】
20250511ハナヒョウタンボク鉢植え挿し木.jpg

【2025年5月6日(17日目)】
20250506ハナヒョウタンボク鉢植え挿し木.jpg

【2025年5月2日(13日目)】
20250502ハナヒョウタンボク鉢植え挿し木.jpg

【2025年4月28日(9日目)】
20250428ハナヒョウタンボク鉢植え挿し木.jpg

【2025年4月24日(5日目)】
20250424ハナヒョウタンボク鉢植え挿し木.jpg

【2025年4月19日 挿し木開始】
20250419ハナヒョウタンボク鉢植え挿し木開始01.jpg

【小さな美術館軽井沢草花館 2025年度展示のご案内】

2025年11月16日(日)まで「石川功一の水彩・油彩展 軽井沢の花と実」を開催中。
火曜日休館(但し、9/23の火曜日はOPEN)
詳しくはこちら 軽井沢草花館 ブログユウスゲ日記より「展示案内
posted by kusabanakan at 14:57| ハナヒョウタンボク日記

2025年06月20日

ハナヒョウタンボク日記(31)挿し木62日目、4日間で一本が枯れる(6/20)

2023、2024年とハナヒョウタンボクの挿し木に挑戦し、ともに失敗に終わりましたが、三たび挑戦中です。

4月19日に2つの鉢に挿し木を始めて、今日で62日目、2か月を経過しました。
前回6月16日からの4日間で、10本の挿し木のうち1本が枯れてしまいました。
この4日間は梅雨の中休みで雨が降らず、真夏のような暑さでした。影響があったかもしれません。

(メモ)
枝の長さ 最大21_(5/16から変化なし)
葉っぱの長さ 最大30_
 (5/31:24_、6/5:28_、6/10:28_、6/16:30_、6/20:30_)

20250620ハナヒョウタンボク鉢植え挿し木A01.jpg
2025年6月20日 軽井沢草花館 ハナヒョウタンボクの挿し木 A 葉長最大30_

下写真:前回(6/16)

20250616ハナヒョウタンボク鉢植え挿し木A01.jpg
2025年6月16日 軽井沢草花館 ハナヒョウタンボクの挿し木 A 葉長最大30_

下写真:もう一つ鉢も葉長が最大24_で前回(6/16)と同じでした。またこの鉢の中の挿し木4本のうち1本が枯れてしまいました。

20250620ハナヒョウタンボク鉢植え挿し木B01.jpg
2025年6月20日 軽井沢草花館 ハナヒョウタンボクの挿し木 B 葉長最大24_

下写真:前回(6/16)

20250616ハナヒョウタンボク鉢植え挿し木B01.jpg
2025年6月16日 軽井沢草花館 ハナヒョウタンボクの挿し木 B 葉長最大24_

【2025年6月20日(62日目)】
20250620ハナヒョウタンボク鉢植え挿し木.jpg

【2025年6月16日(58日目)】
20250616ハナヒョウタンボク鉢植え挿し木.jpg
【2025年6月10日(52日目)】
20250610ハナヒョウタンボク鉢植え挿し木.jpg

【2025年6月5日(47日目)】
20250605ハナヒョウタンボク鉢植え挿し木.jpg

【2025年5月31日(42日目)】
20250531ハナヒョウタンボク鉢植え挿し木.jpg

【2025年5月26日(37日目)】
20250526ハナヒョウタンボク鉢植え挿し木.jpg

【2025年5月21日(32日目)】
20250521ハナヒョウタンボク鉢植え挿し木.jpg

【2025年5月16日(27日目)】
20250516ハナヒョウタンボク鉢植え挿し木.jpg

【2025年5月11日(22日目)】
20250511ハナヒョウタンボク鉢植え挿し木.jpg

【2025年5月6日(17日目)】
20250506ハナヒョウタンボク鉢植え挿し木.jpg

【2025年5月2日(13日目)】
20250502ハナヒョウタンボク鉢植え挿し木.jpg

【2025年4月28日(9日目)】
20250428ハナヒョウタンボク鉢植え挿し木.jpg

【2025年4月24日(5日目)】
20250424ハナヒョウタンボク鉢植え挿し木.jpg

【2025年4月19日 挿し木開始】
20250419ハナヒョウタンボク鉢植え挿し木開始01.jpg

【小さな美術館軽井沢草花館 2025年度展示のご案内】

2025年11月16日(日)まで「石川功一の水彩・油彩展 軽井沢の花と実」を開催中。
火曜日休館(但し、9/23の火曜日はOPEN)
詳しくはこちら 軽井沢草花館 ブログユウスゲ日記より「展示案内
posted by kusabanakan at 21:40| ハナヒョウタンボク日記

2025年06月16日

ハナヒョウタンボク日記(30)挿し木58日目、6日間で葉っぱ伸びる(6/16)

2023、2024年とハナヒョウタンボクの挿し木に挑戦し、ともに失敗に終わりましたが、三たび挑戦中です。

4月19日に2つの鉢に挿し木を始めて、今日で58日目、約2か月近くとなりました。
前回6月10日からの6日間で、葉っぱの長さが伸びていました。
前々回6月5日から前回6月10日までの期間では成長が見られなかったので、正直、今回も成長していないと思っていました。
このまま成長が続けばよいですが、どうなることか?
観察を続けます。

(メモ)
枝の長さ 最大21_(5/16から変化なし)
葉っぱの長さ 最大30_
 (5/31:24_、6/5:28_、6/10:28_、6/16:30_)

20250616ハナヒョウタンボク鉢植え挿し木A01.jpg

2025年6月16日 軽井沢草花館 ハナヒョウタンボクの挿し木 A 葉長最大30_

下写真:前回(6/10)

20250610ハナヒョウタンボク鉢植え挿し木A01.jpg
2025年6月10日 軽井沢草花館 ハナヒョウタンボクの挿し木 A 葉長最大28_

下写真:もう一つ鉢も葉長が最大24_で前回(6/10)21_から3_伸びていました。
こちらも成長が観察できました。

20250616ハナヒョウタンボク鉢植え挿し木B01.jpg
2025年6月16日 軽井沢草花館 ハナヒョウタンボクの挿し木 B 葉長最大24_

下写真:前回(6/10)

20250610ハナヒョウタンボク鉢植え挿し木B01.jpg
2025年6月10日 軽井沢草花館 ハナヒョウタンボクの挿し木 B 葉長最大21_

【2025年6月16日(58日目)】
20250616ハナヒョウタンボク鉢植え挿し木.jpg

【2025年6月10日(52日目)】
20250610ハナヒョウタンボク鉢植え挿し木.jpg

【2025年6月5日(47日目)】
20250605ハナヒョウタンボク鉢植え挿し木.jpg

【2025年5月31日(42日目)】
20250531ハナヒョウタンボク鉢植え挿し木.jpg

【2025年5月26日(37日目)】
20250526ハナヒョウタンボク鉢植え挿し木.jpg

【2025年5月21日(32日目)】
20250521ハナヒョウタンボク鉢植え挿し木.jpg

【2025年5月16日(27日目)】
20250516ハナヒョウタンボク鉢植え挿し木.jpg

【2025年5月11日(22日目)】
20250511ハナヒョウタンボク鉢植え挿し木.jpg

【2025年5月6日(17日目)】
20250506ハナヒョウタンボク鉢植え挿し木.jpg

【2025年5月2日(13日目)】
20250502ハナヒョウタンボク鉢植え挿し木.jpg

【2025年4月28日(9日目)】
20250428ハナヒョウタンボク鉢植え挿し木.jpg

【2025年4月24日(5日目)】
20250424ハナヒョウタンボク鉢植え挿し木.jpg

【2025年4月19日 挿し木開始】
20250419ハナヒョウタンボク鉢植え挿し木開始01.jpg

【小さな美術館軽井沢草花館 2025年度展示のご案内】

2025年11月16日(日)まで「石川功一の水彩・油彩展 軽井沢の花と実」を開催中。
火曜日休館(但し、9/23の火曜日はOPEN)
詳しくはこちら 軽井沢草花館 ブログユウスゲ日記より「展示案内
posted by kusabanakan at 15:35| ハナヒョウタンボク日記

2025年06月10日

ハナヒョウタンボク日記(29)挿し木52日目、5日間で変化なく(6/10)

2023、2024年とハナヒョウタンボクの挿し木に挑戦し、ともに失敗に終わりましたが、三たび挑戦中です。

4月19日に2つの鉢に挿し木を始めて、今日で52日目となりました。
前回6月5日からの5日間で、目に見える変化はありませんでした。
ただ、今日は朝から雨となり、葉っぱがぬれている分、色が鮮やかに見えました。

(メモ)
枝の長さ 最大21_(5/16から変化なし)
葉っぱの長さ 最大28_
 (5/31:24_、6/5:28_、6/10:28_)

20250610ハナヒョウタンボク鉢植え挿し木A01.jpg
2025年6月10日 軽井沢草花館 ハナヒョウタンボクの挿し木 A 葉長最大28_

下写真:前回(6/5)

20250605ハナヒョウタンボク鉢植え挿し木A01.jpg
2025年6月5日 軽井沢草花館 ハナヒョウタンボクの挿し木 A 葉長最大28_

下写真:もう一つ鉢も葉長が最大21_で前回(6/5)からの変化は見られませんでした。

20250610ハナヒョウタンボク鉢植え挿し木B01.jpg
2025年6月10日 軽井沢草花館 ハナヒョウタンボクの挿し木 B 葉長最大21_

20250605ハナヒョウタンボク鉢植え挿し木B01.jpg
2025年6月5日 軽井沢草花館 ハナヒョウタンボクの挿し木 B 葉長最大21_

【2025年6月10日(52日目)】
20250610ハナヒョウタンボク鉢植え挿し木.jpg

【2025年6月5日(47日目)】
20250605ハナヒョウタンボク鉢植え挿し木.jpg

【2025年5月31日(42日目)】
20250531ハナヒョウタンボク鉢植え挿し木.jpg

【2025年5月26日(37日目)】
20250526ハナヒョウタンボク鉢植え挿し木.jpg

【2025年5月21日(32日目)】
20250521ハナヒョウタンボク鉢植え挿し木.jpg

【2025年5月16日(27日目)】
20250516ハナヒョウタンボク鉢植え挿し木.jpg

【2025年5月11日(22日目)】
20250511ハナヒョウタンボク鉢植え挿し木.jpg

【2025年5月6日(17日目)】
20250506ハナヒョウタンボク鉢植え挿し木.jpg

【2025年5月2日(13日目)】
20250502ハナヒョウタンボク鉢植え挿し木.jpg

【2025年4月28日(9日目)】
20250428ハナヒョウタンボク鉢植え挿し木.jpg

【2025年4月24日(5日目)】
20250424ハナヒョウタンボク鉢植え挿し木.jpg

【2025年4月19日 挿し木開始】
20250419ハナヒョウタンボク鉢植え挿し木開始01.jpg

【小さな美術館軽井沢草花館 2025年度展示のご案内】

2025年11月16日(日)まで「石川功一の水彩・油彩展 軽井沢の花と実」を開催中。
火曜日休館(但し、9/23の火曜日はOPEN)
詳しくはこちら 軽井沢草花館 ブログユウスゲ日記より「展示案内
posted by kusabanakan at 17:27| ハナヒョウタンボク日記

2025年06月05日

ハナヒョウタンボク日記(28)挿し木47日目、葉っぱの成長再開(6/5)

2023、2024年とハナヒョウタンボクの挿し木に挑戦し、ともに失敗に終わりましたが、三たび挑戦中です。

4月19日に2つの鉢に挿し木を始めて、今日で47日目となりました。
5月16日に測定した枝の長さ、葉っぱの長さから変化のない状態が続いていましたが、今回久しぶりに葉っぱの成長が確認できました。

(メモ)
枝の長さ 最大21_(5/16から変化なし)
葉っぱの長さ 最大28_
 (5/16:24_、5/21:24_、5/26:24_、5/31:24_)

20250605ハナヒョウタンボク鉢植え挿し木A01.jpg
2025年6月5日 軽井沢草花館 ハナヒョウタンボクの挿し木 A 葉長最大28_

下写真:前回(5/31)

20250531ハナヒョウタンボク鉢植え挿し木A01.jpg
2025年5月31日 軽井沢草花館 ハナヒョウタンボクの挿し木 A 葉長最大24_

20250605ハナヒョウタンボク鉢植え挿し木B01.jpg
2025年6月5日 軽井沢草花館 ハナヒョウタンボクの挿し木 B 葉長最大21_

下写真:前回(5/31)

20250531ハナヒョウタンボク鉢植え挿し木B01.jpg
2025年5月31日 軽井沢草花館 ハナヒョウタンボクの挿し木 B

【2025年6月5日(47日目)】
20250605ハナヒョウタンボク鉢植え挿し木.jpg

【2025年5月31日(42日目)】
20250531ハナヒョウタンボク鉢植え挿し木.jpg

【2025年5月26日(37日目)】
20250526ハナヒョウタンボク鉢植え挿し木.jpg

【2025年5月21日(32日目)】
20250521ハナヒョウタンボク鉢植え挿し木.jpg

【2025年5月16日(27日目)】
20250516ハナヒョウタンボク鉢植え挿し木.jpg

【2025年5月11日(22日目)】
20250511ハナヒョウタンボク鉢植え挿し木.jpg

【2025年5月6日(17日目)】
20250506ハナヒョウタンボク鉢植え挿し木.jpg

【2025年5月2日(13日目)】
20250502ハナヒョウタンボク鉢植え挿し木.jpg

【2025年4月28日(9日目)】
20250428ハナヒョウタンボク鉢植え挿し木.jpg

【2025年4月24日(5日目)】
20250424ハナヒョウタンボク鉢植え挿し木.jpg

【2025年4月19日 挿し木開始】
20250419ハナヒョウタンボク鉢植え挿し木開始01.jpg

【小さな美術館軽井沢草花館 2025年度展示のご案内】

2025年11月16日(日)まで「石川功一の水彩・油彩展 軽井沢の花と実」を開催中。
火曜日休館(但し、9/23の火曜日はOPEN)
詳しくはこちら 軽井沢草花館 ブログユウスゲ日記より「展示案内
posted by kusabanakan at 17:47| ハナヒョウタンボク日記

2025年05月31日

ハナヒョウタンボク日記(27)挿し木42日目、現状キープ(5/31)

2023、2024年とハナヒョウタンボクの挿し木に挑戦し、ともに失敗に終わりましたが、三たび挑戦中です。

4月19日に2つの鉢に挿し木を始めて、今日で42日目となりました。
前々回(5/21)、前回(5/26)、そして今回(5/31)と枝の長さ、葉っぱの長さに変化はありません。
成長が鈍化した状態で心配ですが、枯れてしまった感じはなく、もうしばらく様子を観察しようと思います。

(メモ)
枝の長さ 最大21_(5/16から変化なし)
葉っぱの長さ 最大24_(5/16から変化なし)

20250531ハナヒョウタンボク鉢植え挿し木A01.jpg
2025年5月31日 軽井沢草花館 ハナヒョウタンボクの挿し木 A

20250531ハナヒョウタンボク鉢植え挿し木B01.jpg
2025年5月31日 軽井沢草花館 ハナヒョウタンボクの挿し木 B

【2025年5月31日(42日目)】
20250531ハナヒョウタンボク鉢植え挿し木.jpg

【2025年5月26日(37日目)】
20250526ハナヒョウタンボク鉢植え挿し木.jpg

【2025年5月21日(32日目)】
20250521ハナヒョウタンボク鉢植え挿し木.jpg

【2025年5月16日(27日目)】
20250516ハナヒョウタンボク鉢植え挿し木.jpg

【2025年5月11日(22日目)】
20250511ハナヒョウタンボク鉢植え挿し木.jpg

【2025年5月6日(17日目)】
20250506ハナヒョウタンボク鉢植え挿し木.jpg

【2025年5月2日(13日目)】
20250502ハナヒョウタンボク鉢植え挿し木.jpg

【2025年4月28日(9日目)】
20250428ハナヒョウタンボク鉢植え挿し木.jpg

【2025年4月24日(5日目)】
20250424ハナヒョウタンボク鉢植え挿し木.jpg

【2025年4月19日 挿し木開始】
20250419ハナヒョウタンボク鉢植え挿し木開始01.jpg

【小さな美術館軽井沢草花館 2025年度展示のご案内】

2025年11月16日(日)まで「石川功一の水彩・油彩展 軽井沢の花と実」を開催中。
火曜日休館(但し、9/23の火曜日はOPEN)
詳しくはこちら 軽井沢草花館 ブログユウスゲ日記より「展示案内
posted by kusabanakan at 15:36| ハナヒョウタンボク日記

2025年05月26日

ハナヒョウタンボク日記(26)挿し木37日目、成長止まる?(5/26)

2023、2024年とハナヒョウタンボクの挿し木に挑戦し、ともに失敗に終わりましたが、三たび挑戦中です。

4月19日に2つの鉢に挿し木を始めて、今日で37日目となりました。
前回(5/21)からの5日経っていますが、枝の長さ、葉っぱの長さが前回と同じで変化が感じられません。

成長が止まってしまったのか!?
枝を抜いて、根が出ているか確認してみたいところですが、
今日のところは我慢して、もうしばらく様子を観察しようと思います。

(メモ)
枝の長さ 最大21_(5/16から変化なし)
葉っぱの長さ 最大24_(5/16から変化なし)

20250526ハナヒョウタンボク鉢植え挿し木A02.jpg
2025年5月26日 軽井沢草花館 ハナヒョウタンボクの挿し木

【2025年5月26日(37日目)】
20250526ハナヒョウタンボク鉢植え挿し木.jpg

【2025年5月21日(32日目)】
20250521ハナヒョウタンボク鉢植え挿し木.jpg

【2025年5月16日(27日目)】
20250516ハナヒョウタンボク鉢植え挿し木.jpg

【2025年5月11日(22日目)】
20250511ハナヒョウタンボク鉢植え挿し木.jpg

【2025年5月6日(17日目)】
20250506ハナヒョウタンボク鉢植え挿し木.jpg

【2025年5月2日(13日目)】
20250502ハナヒョウタンボク鉢植え挿し木.jpg

【2025年4月28日(9日目)】
20250428ハナヒョウタンボク鉢植え挿し木.jpg

【2025年4月24日(5日目)】
20250424ハナヒョウタンボク鉢植え挿し木.jpg

【2025年4月19日 挿し木開始】
20250419ハナヒョウタンボク鉢植え挿し木開始01.jpg

【小さな美術館軽井沢草花館 2025年度展示のご案内】

2025年11月16日(日)まで「石川功一の水彩・油彩展 軽井沢の花と実」を開催中。
火曜日休館(但し、9/23の火曜日はOPEN)
詳しくはこちら 軽井沢草花館 ブログユウスゲ日記より「展示案内
posted by kusabanakan at 13:10| ハナヒョウタンボク日記

2025年05月21日

ハナヒョウタンボク日記(25)挿し木、1か月を経過(5/21)

2023、2024年とハナヒョウタンボクの挿し木に挑戦し、ともに失敗に終わりましたが、三たび挑戦中です。

4月19日に2つの鉢に挿し木を始めて、今日で32日目。1か月を経過しました。
前回(5/16)からの変化は小さく、成長は続けているものの、すこし心配です。

新たに伸びた枝の長さは最大で21_。葉っぱの長さは最大で24_。
共に、前回(5/16)から変化がありませんでした。
しかし、全体的には葉っぱが大きくなっているようです。

20250521ハナヒョウタンボク鉢植え挿し木A01.jpg
2025年5月21日 軽井沢草花館 ハナヒョウタンボクの挿し木

下写真:前回(5/16)撮影

20250516ハナヒョウタンボク鉢植え挿し木A02.jpg
2025年5月16日 軽井沢草花館 ハナヒョウタンボクの挿し木

【2025年5月21日(32日目)】
20250521ハナヒョウタンボク鉢植え挿し木.jpg

【2025年5月16日(27日目)】
20250516ハナヒョウタンボク鉢植え挿し木.jpg

【2025年5月11日(22日目)】
20250511ハナヒョウタンボク鉢植え挿し木.jpg

【2025年5月6日(17日目)】
20250506ハナヒョウタンボク鉢植え挿し木.jpg
2025年5月6日 軽井沢草花館 ハナヒョウタンボクの挿し木(17日目)

【2025年5月2日(13日目)】
20250502ハナヒョウタンボク鉢植え挿し木.jpg
2025年5月2日 軽井沢草花館 ハナヒョウタンボクの挿し木(13日目)

【2025年4月28日(9日目)】
20250428ハナヒョウタンボク鉢植え挿し木.jpg
2025年4月28日 軽井沢草花館 ハナヒョウタンボクの挿し木(9日目)

【2025年4月24日(5日目)】
20250424ハナヒョウタンボク鉢植え挿し木.jpg
2025年4月24日 軽井沢草花館 ハナヒョウタンボクの挿し木(5日目)

【2025年4月19日 挿し木開始】
20250419ハナヒョウタンボク鉢植え挿し木開始01.jpg
2025年4月19日 軽井沢草花館 ハナヒョウタンボクの挿し木(1日目)

【小さな美術館軽井沢草花館 2025年度展示のご案内】

2025年11月16日(日)まで「石川功一の水彩・油彩展 軽井沢の花と実」を開催中。
火曜日休館(但し、9/23の火曜日はOPEN)
詳しくはこちら 軽井沢草花館 ブログユウスゲ日記より「展示案内
posted by kusabanakan at 16:40| ハナヒョウタンボク日記

2025年05月16日

ハナヒョウタンボク日記(24)挿し木、少しづつ成長(5/16)

2023、2024年とハナヒョウタンボクの挿し木に挑戦し、ともに失敗に終わりましたが、三たび挑戦中です。
4月19日に2つの鉢に挿し木を始めて、今日で27日目。
前回(5/11)から大きな変化はないものの、少しづつ着実に成長を続けています。

新たに伸びた枝の長さは最大で21_。前回(5/11)の16_から5_のびました。
また、葉っぱの長さは最大で24_となり、前回(5/11)の20_から4_長くなっていました。

20250516ハナヒョウタンボク鉢植え挿し木A02.jpg
2025年5月16日 軽井沢草花館 ハナヒョウタンボクの挿し木

下写真:前回(5/11)撮影

20250511ハナヒョウタンボク鉢植え挿し木03.jpg
2025年5月11日 軽井沢草花館 ハナヒョウタンボクの挿し木 鉢植えA

【2025年5月16日(27日目)】
20250516ハナヒョウタンボク鉢植え挿し木.jpg

【2025年5月11日(22日目)】
20250511ハナヒョウタンボク鉢植え挿し木.jpg

【2025年5月6日(17日目)】
20250506ハナヒョウタンボク鉢植え挿し木.jpg
2025年5月6日 軽井沢草花館 ハナヒョウタンボクの挿し木(17日目)

【2025年5月2日(13日目)】
20250502ハナヒョウタンボク鉢植え挿し木.jpg
2025年5月2日 軽井沢草花館 ハナヒョウタンボクの挿し木(13日目)

【2025年4月28日(9日目)】
20250428ハナヒョウタンボク鉢植え挿し木.jpg
2025年4月28日 軽井沢草花館 ハナヒョウタンボクの挿し木(9日目)

【2025年4月24日(5日目)】
20250424ハナヒョウタンボク鉢植え挿し木.jpg
2025年4月24日 軽井沢草花館 ハナヒョウタンボクの挿し木(5日目)

【2025年4月19日 挿し木開始】
20250419ハナヒョウタンボク鉢植え挿し木開始01.jpg
2025年4月19日 軽井沢草花館 ハナヒョウタンボクの挿し木(1日目)

【小さな美術館軽井沢草花館 2025年度展示のご案内】

2025年11月16日(日)まで「石川功一の水彩・油彩展 軽井沢の花と実」を開催中。
火曜日休館(但し、9/23の火曜日はOPEN)
詳しくはこちら 軽井沢草花館 ブログユウスゲ日記より「展示案内
posted by kusabanakan at 15:36| ハナヒョウタンボク日記

2025年05月11日

ハナヒョウタンボク日記(23)挿し木、枝伸びる(5/11)

2023、2024年とハナヒョウタンボクの挿し木に挑戦し、ともに失敗に終わりましたが、三たび挑戦中です。
4月19日に2つの鉢に挿し木を始めて、今日で22日目。
一株だけですが、芽吹いたところから枝が伸びてきました。枝の長さは最大で16_ですが、大きな成長です。

20250511ハナヒョウタンボク鉢植え挿し木03.jpg
2025年5月11日 軽井沢草花館 ハナヒョウタンボクの挿し木 鉢植えA

下写真:葉っぱのサイズは大きなもので長さ20_になりました。

20250511ハナヒョウタンボク鉢植え挿し木02.jpg
2025年5月11日 軽井沢草花館 ハナヒョウタンボクの挿し木 鉢植えA

下写真:もう一つの鉢では葉っぱの長さが最大で16_となりました。

20250511ハナヒョウタンボク鉢植え挿し木04.jpg
2025年5月11日 軽井沢草花館 ハナヒョウタンボクの挿し木 鉢植えB

【2025年5月11日(22日目)】
20250511ハナヒョウタンボク鉢植え挿し木.jpg

【2025年5月6日(17日目)】
20250506ハナヒョウタンボク鉢植え挿し木.jpg
2025年5月6日 軽井沢草花館 ハナヒョウタンボクの挿し木(17日目)

【2025年5月2日(13日目)】
20250502ハナヒョウタンボク鉢植え挿し木.jpg
2025年5月2日 軽井沢草花館 ハナヒョウタンボクの挿し木(13日目)

【2025年4月28日(9日目)】
20250428ハナヒョウタンボク鉢植え挿し木.jpg
2025年4月28日 軽井沢草花館 ハナヒョウタンボクの挿し木(9日目)

【2025年4月24日(5日目)】
20250424ハナヒョウタンボク鉢植え挿し木.jpg
2025年4月24日 軽井沢草花館 ハナヒョウタンボクの挿し木(5日目)

【2025年4月19日 挿し木開始】
20250419ハナヒョウタンボク鉢植え挿し木開始01.jpg
2025年4月19日 軽井沢草花館 ハナヒョウタンボクの挿し木(1日目)

【小さな美術館軽井沢草花館 2025年度展示のご案内】

2025年11月16日(日)まで「石川功一の水彩・油彩展 軽井沢の花と実」を開催中。
火曜日休館(但し、9/23の火曜日はOPEN)
詳しくはこちら 軽井沢草花館 ブログユウスゲ日記より「展示案内
posted by kusabanakan at 17:15| ハナヒョウタンボク日記

2025年05月06日

ハナヒョウタンボク日記(22)挿し木、葉っぱ2a弱に成長(5/6)

2023、2024年とハナヒョウタンボクの挿し木に挑戦し、ともに失敗に終わりましたが、三たび挑戦中です。
4月19日に2つの鉢に挿し木を始めて、今日で17日目。
葉っぱのサイズは大きなもので長さ18_程度、20_に近くまで成長しました。

20250506ハナヒョウタンボク鉢植え挿し木A01.jpg
2025年5月6日 軽井沢草花館 ハナヒョウタンボクの挿し木 鉢植えA

20250506ハナヒョウタンボク鉢植え挿し木A02.jpg
2025年5月6日 軽井沢草花館 ハナヒョウタンボクの挿し木 鉢植えA

20250506ハナヒョウタンボク鉢植え挿し木B.jpg
2025年5月6日 軽井沢草花館 ハナヒョウタンボクの挿し木 鉢植えB

【2025年5月6日(17日目)】
20250506ハナヒョウタンボク鉢植え挿し木.jpg
2025年5月6日 軽井沢草花館 ハナヒョウタンボクの挿し木(17日目)

【2025年5月2日(13日目)】
20250502ハナヒョウタンボク鉢植え挿し木.jpg
2025年5月2日 軽井沢草花館 ハナヒョウタンボクの挿し木(13日目)

【2025年4月28日(9日目)】
20250428ハナヒョウタンボク鉢植え挿し木.jpg
2025年4月28日 軽井沢草花館 ハナヒョウタンボクの挿し木(9日目)

【2025年4月24日(5日目)】
20250424ハナヒョウタンボク鉢植え挿し木.jpg
2025年4月24日 軽井沢草花館 ハナヒョウタンボクの挿し木(5日目)

【2025年4月19日 挿し木開始】
20250419ハナヒョウタンボク鉢植え挿し木開始01.jpg
2025年4月19日 軽井沢草花館 ハナヒョウタンボクの挿し木(1日目)

つづく

【小さな美術館軽井沢草花館 2025年度展示のご案内】

2025年11月16日(日)まで「石川功一の水彩・油彩展 軽井沢の花と実」を開催中。
火曜日休館(但し、5/6、9/23の火曜日はOPEN)
詳しくはこちら 軽井沢草花館 ブログユウスゲ日記より「展示案内
posted by kusabanakan at 17:51| ハナヒョウタンボク日記

2025年05月02日

ハナヒョウタンボク日記(21)挿し木、葉っぱが成長(5/2)

2023、2024年とハナヒョウタンボクの挿し木に挑戦し、ともに失敗に終わりましたが、三たび挑戦中です。
4月19日に2つの鉢に挿し木を始めて、今日で13日目。
少しづつではありますが、芽吹きが進み、葉っぱが開いてきました。
葉っぱのサイズは大きなもので長さ10_程度です。さらなる成長を観察したいと思います。

20250502ハナヒョウタンボク鉢植え挿し木A.jpg
2025年5月2日 軽井沢草花館 ハナヒョウタンボクの挿し木 鉢植えA

20250502ハナヒョウタンボク鉢植え挿し木B.jpg
2025年5月2日 軽井沢草花館 ハナヒョウタンボクの挿し木 鉢植えB

【2025年5月2日(13日目)】

20250502ハナヒョウタンボク鉢植え挿し木.jpg
2025年5月2日 軽井沢草花館 ハナヒョウタンボクの挿し木(13日目)

【2025年4月28日(9日目)】

20250428ハナヒョウタンボク鉢植え挿し木.jpg
2025年4月28日 軽井沢草花館 ハナヒョウタンボクの挿し木(9日目)

【2025年4月24日(5日目)】

20250424ハナヒョウタンボク鉢植え挿し木.jpg
2025年4月24日 軽井沢草花館 ハナヒョウタンボクの挿し木(5日目)

【2025年4月19日 挿し木開始】

20250419ハナヒョウタンボク鉢植え挿し木開始01.jpg
2025年4月19日 軽井沢草花館 ハナヒョウタンボクの挿し木(1日目)

つづく

【小さな美術館軽井沢草花館 2025年度展示のご案内】

2025年11月16日(日)まで「石川功一の水彩・油彩展 軽井沢の花と実」を開催中。
火曜日休館(但し、5/6、9/23の火曜日はOPEN)
詳しくはこちら 軽井沢草花館 ブログユウスゲ日記より「展示案内
続きを読む
posted by kusabanakan at 15:58| ハナヒョウタンボク日記

2025年04月25日

ハナヒョウタンボク日記(20)挿し木、3年目の挑戦(4/25)

2023、2024年とハナヒョウタンボクの挿し木に挑戦し、ともに失敗に終わりましたが、三たび挑戦を始めました。
今年は、地面に挿し木するのではなく、鉢に赤玉を入れて、そこに挿し木するやり方での挑戦です。

ハナヒョウタンボク挿し木に使った枝は2023、2024年の時と同様、知人のお庭に生えているハナヒョウタンボクの枝(ひこ生え)です

2023年と2024年は4月16日に枝をいただいて、挿し木を始めましたが、今年は4月19日からとなりました。
まだ6日目ですが、芽が順調に出てきて葉っぱが開き始めました。

【2025年4月19日 挿し木開始】

20250419ハナヒョウタンボク鉢植え挿し木開始01.jpg
2025年4月19日 軽井沢草花館 ハナヒョウタンボクの挿し木(1日目)

【2025年4月24日 挿し木6日目】

20250424ハナヒョウタンボク鉢植え挿し木.jpg
2025年4月24日 軽井沢草花館 ハナヒョウタンボクの挿し木(5日目)

20250424ハナヒョウタンボク鉢植え挿し木A.jpg
2025年4月24日 軽井沢草花館 ハナヒョウタンボクの挿し木(5日目)

20250424ハナヒョウタンボク鉢植え挿し木B.jpg
2025年4月24日 軽井沢草花館 ハナヒョウタンボクの挿し木(5日目)

つづく
posted by kusabanakan at 21:40| ハナヒョウタンボク日記

2024年06月30日

ハナヒョウタンボク日記(19)今季の挿し木挑戦、観察終了(6/30)

前回(6/20)から10日ぶりの更新です。

前回の時点で、今年試みた挿し木6本すべてが失敗に終わっていました。
内2本には、かろうじて葉っぱを残していましたが、今回それらもほとんどが枯れてしまいました。
今日の状態の観察記録を残し、今年のハナヒョウタンボク日記を締めくくりたいと思います。

今までの経過
・4月16日:ハナヒョウタンボクの枝6本を地面に挿し木
・4月29日:すべての挿し木から芽が出る
・5月5日:順調に芽が大きくなる
・5月15日:葉っぱのサイズ最大で25_、枝の長さ最大38_
・5月23日:AとDが枯れる。
      葉っぱのサイズ最大38_、枝の長さ最大45_
・5月30日:Bが枯れる。
      葉っぱのサイズ最大40_、枝の長さ最大45_
・6月12日:Fが枯れる。残るCとEも元気なく
      葉っぱのサイズ最大40_、枝の長さ最大45_
・6月20日:CとEが枯れる。
以下、C,Eの様子です。

【挿し木C】

前回(6/20)はまだ、しおれた状態の葉っぱが残っていましたが、それらの葉っぱもすべて枯れて、茶褐色化してしまいました。

20240630ハナヒョウタンボク挿し木C01.jpg
2024年6月30日 軽井沢草花館 ハナヒョウタンボク 挿し木C

下写真:幹右側の枝に付いた葉っぱは、しおれた状態とはいえ、緑色をしていました。

20240620ハナヒョウタンボク挿し木C01.jpg
2024年6月20日 軽井沢草花館 ハナヒョウタンボク 挿し木C

【挿し木E】

前回(6/20)、幹右側の枝についていた葉っぱはまだ緑色をしていて、落葉していませんでしたが、今日の観察では、緑色の葉っぱ2枚だけ残して、他はすべて落葉していました。

 葉長:5/9=20_→5/15=25_→5/23= 38_→5/30=40_→6/12=40_→6/20=40_→6/30=40_
 枝の長さ:5/9=23_→5/15=38_→5/23=45_→5/30=45_→6/12=45_→6/20=45_→6/30=45_

20240630ハナヒョウタンボク挿し木E01.jpg
2024年6月30日 軽井沢草花館 ハナヒョウタンボク 挿し木E

20240620ハナヒョウタンボク挿し木E01.jpg
2024年6月20日 軽井沢草花館 ハナヒョウタンボク 挿し木E

【小さな美術館軽井沢草花館 展示のご案内】

「石川功一の水彩・油彩展 和歌に詠まれた草花たち」2024年11月10日まで開催中です
火曜日休館
下の画像をクリックすると詳細ページにリンクします。

2024軽井沢草花館チラシB5表_630.jpg
小さな美術館軽井沢草花館HP https://kusabana.net
posted by kusabanakan at 13:28| ハナヒョウタンボク日記

2024年06月20日

ハナヒョウタンボク日記(18)6本の挿し木、すべて枯れる(6/20)

前回(6/12)から8日ぶりの更新です。

今年の4月16日から始めたハナヒョウタンボクの6本の挿し木ですが、すべて枯れてしまいました。
前回(6/12)まで何とか2本が残っていましたが、その後、新たな芽が出ることはなく、徐々に元気がなくなっていって、ほぼ枯れた状態になりました。
とても楽しみに観察を続けていたのですが、今年の挿し木も根を張ることなく、失敗です…
残念ではありますが、また来年以降チャンスがあれば、チャレンジしたいと思います。

今までの経過
・4月16日:ハナヒョウタンボクの枝6本を地面に挿し木
・4月29日:すべての挿し木から芽が出る
・5月5日:順調に芽が大きくなる
・5月15日:葉っぱのサイズ最大で25_、枝の長さ最大38_
・5月23日:AとDが枯れる。
      葉っぱのサイズ最大38_、枝の長さ最大45_
・5月30日:Bが枯れる。
      葉っぱのサイズ最大40_、枝の長さ最大45_
・6月12日:Fが枯れる。残るCとEも元気なく
      葉っぱのサイズ最大40_、枝の長さ最大45_
・6月20日:CとEが枯れる。

以下、C,E,Fの様子です。

【挿し木C】

葉っぱのサイズも枝の長さも前回と変わらず。
葉っぱは完全に枯れたものと、しおれてしまったものだけになりました。
新たに出てきた芽も確認できませんでした。

20240620ハナヒョウタンボク挿し木C01.jpg
2024年6月20日 軽井沢草花館 ハナヒョウタンボク 挿し木C

20240612ハナヒョウタンボク挿し木C01re.jpg
2024年6月12日 軽井沢草花館 ハナヒョウタンボク 挿し木C

【挿し木E】

幹の左側についていた枝の葉っぱが枯れて落ちてしまいました。
もう一方の右側の枝についた葉っぱは黄ばみが広がって、枯れてしまっているようです。前回から枝葉の大きさは変わりません。

 葉長:5/9=20_→5/15=25_→5/23= 38_→5/30=40_→6/12=40_→6/20=40_
 枝の長さ:5/9=23_→5/15=38_→5/23=45_→5/30=45_→6/12=45_→6/20=45_

20240620ハナヒョウタンボク挿し木E01.jpg
2024年6月20日 軽井沢草花館 ハナヒョウタンボク 挿し木E

20240612ハナヒョウタンボク挿し木E01re.jpg
2024年6月12日 軽井沢草花館 ハナヒョウタンボク 挿し木E

【挿し木F】

前回(6/12)の時点でほぼ枯れてしまっていましたが、その後、新たな芽が出るわけでもなく、葉っぱが茶色くなって、完全に枯れてしまいました。

20240620ハナヒョウタンボク挿し木F01.jpg
2024年6月20日 軽井沢草花館 ハナヒョウタンボク 挿し木F

20240612ハナヒョウタンボク挿し木F01.jpg
2024年6月12日 軽井沢草花館 ハナヒョウタンボク 挿し木F

【小さな美術館軽井沢草花館 展示のご案内】

「石川功一の水彩・油彩展 和歌に詠まれた草花たち」2024年11月10日まで開催中です
火曜日休館
下の画像をクリックすると詳細ページにリンクします。

2024軽井沢草花館チラシB5表_630.jpg
小さな美術館軽井沢草花館HP https://kusabana.net
posted by kusabanakan at 16:29| ハナヒョウタンボク日記

2024年06月12日

ハナヒョウタンボク日記(17)6本の挿し木のうち4本目も枯れる(6/12)

前回(6/3)から9日ぶり、そして成長観察としては5月30日以来、13日ぶりの更新です。

5月30日の観察では、6本のうち3本(C,E,F)が成長を続けていましたが、この13日間でFが枯れてしまい、残りはCとEの2本だけとなってしまいました。しかし、CとEはこの10日間で葉っぱが黄ばんできてしまい、成長がほぼ止まっています。

 ・A、B、D、F:枯れる
 ・C、E:成長止まる

今までの経過
・4月16日:ハナヒョウタンボクの枝6本を地面に挿し木
・4月29日:すべての挿し木から芽が出る
・5月5日:順調に芽が大きくなる
・5月15日:葉っぱのサイズ最大で25_、枝の長さ最大38_
・5月23日:AとDが枯れる。
      葉っぱのサイズ最大38_、枝の長さ最大45_
・5月30日:Bが枯れる。
      葉っぱのサイズ最大40_、枝の長さ最大45_
・6月12日:Fが枯れる。残るCとEも元気なく
      葉っぱのサイズ最大40_、枝の長さ最大45_

以下、C,E,Fの様子です。

【挿し木C】

葉っぱのサイズは最大38_→40_でわずかに成長しましたが、枝の長さは最大40_のまま。
葉っぱの色も黄ばんできてしまい、成長が止まってしまったようです。

20240612ハナヒョウタンボク挿し木C01re.jpg
2024年6月12日 軽井沢草花館 ハナヒョウタンボク 挿し木C

20240530ハナヒョウタンボク挿し木C01.jpg
2024年5月30日 軽井沢草花館 ハナヒョウタンボク 挿し木C

【挿し木E】

この13日間で、枝の長さや葉っぱのサイズに変化がなく、成長が止まってしまったようです。葉っぱの色も黄ばんできました。

 葉長:5/9=20_→5/15=25_→5/23= 38_→5/30=40_→6/12=40_
 枝の長さ:5/9=23_→5/15=38_→5/23=45_→5/30=45_→6/12=45_

20240612ハナヒョウタンボク挿し木E01re.jpg
2024年6月12日 軽井沢草花館 ハナヒョウタンボク 挿し木E

20240530ハナヒョウタンボク挿し木E01.jpg
2024年5月30日 軽井沢草花館 ハナヒョウタンボク 挿し木E

【挿し木F】

前回(5/30)からの13日間で葉っぱがしおれてきてしまい、ほぼ枯れたような状態です。

20240612ハナヒョウタンボク挿し木F01.jpg
2024年6月12日 軽井沢草花館 ハナヒョウタンボク 挿し木F

20240530ハナヒョウタンボク挿し木F01.jpg
2024年5月30日 軽井沢草花館 ハナヒョウタンボク 挿し木F

【小さな美術館軽井沢草花館 展示のご案内】

「石川功一の水彩・油彩展 和歌に詠まれた草花たち」2024年11月10日まで開催中です
火曜日休館
下の画像をクリックすると詳細ページにリンクします。

2024軽井沢草花館チラシB5表_630.jpg
小さな美術館軽井沢草花館HP https://kusabana.net
posted by kusabanakan at 20:44| ハナヒョウタンボク日記

2024年06月03日

ハナヒョウタンボク日記(16)親木の切り花(6/3)

昨日、ハナヒョウタンボクの切り花をいただきました。
現在、挿し木をしているハナヒョウタンボクの親となる木から咲いた花です。

20240603ハナヒョウタンボクY01.jpg
2024年6月3日 軽井沢草花館 ハナヒョウタンボクの生け花(挿し木の枝の親木)

この木の所有者であるYさんが、昨日の雨降る中、剪定して持ってきてくださいました。
親木はとても立派な個体で、ハナヒョウタンボクとしては大木。
樹高を測ったことはありませんが、5〜6bはあるのではないでしょうか。
切り花は花瓶に活けて、キャプションをつけ、お客様に見ていただけるようしています。

20240603ハナヒョウタンボクY02.jpg
2024年6月3日 軽井沢草花館 ハナヒョウタンボクの生け花(挿し木の枝の親木)

下の写真は、現在、挑戦している挿し木のうちの一つで、親木の子として育てようとしているものです。

20240603ハナヒョウタンボク挿し木E01.jpg
2024年6月3日 軽井沢草花館 ハナヒョウタンボク 挿し木E

この挿し木がうまく育っていく可能性はまだまだ低いと思いますが、もしうまく育ってくれて、将来花が咲くようになるとうれしいです。ここ半月位は成長が鈍化しているので、ちょっと心配… でも、希望をもって世話していこうと思います。
posted by kusabanakan at 14:03| ハナヒョウタンボク日記

2024年05月30日

ハナヒョウタンボク日記(15)6本の挿し木のうち3本枯れる(5/30)

前回(5/23)から7日ぶりの更新です。
4月16日に6本(A〜F)の挿し木をして、成長を観察していますが。
5月23日の観察では、うち2本が枯れてしまいましたが、本日の観察で、新たに1本(B)が枯れていました。残りは3本ですが、成長のスピードが緩やかになってきました。

 ・A、B、D:枯れる
 ・F:成長ゆっくり進む
 ・C、E:成長鈍化

今までの経過
・4月16日:ハナヒョウタンボクの枝6本を地面に挿し木
・4月29日:すべての挿し木から芽が出る
・5月5日:順調に芽が大きくなる
・5月15日:葉っぱのサイズ最大で25_、枝の長さ最大38_
・5月23日:AとDが枯れる。
      葉っぱのサイズ最大38_、枝の長さ最大45_
・5月30日:Bが枯れる。
      葉っぱのサイズ最大40_、枝の長さ最大45_

20240530ハナヒョウタンボク挿し木00.jpg
2024年5月30日 軽井沢草花館 ハナヒョウタンボクの挿し木 6本(A-F)

以下、前回枯れてしまったAとDを除く、4本それぞれの様子です。

【挿し木B】

前回(5/23)まで、順調に成長を続けていましたが、この1週間で葉っぱが枯れて茶色くなってしまいました。

20240530ハナヒョウタンボク挿し木B.jpg
2024年5月30日 軽井沢草花館 ハナヒョウタンボク 挿し木B

下写真:前回(5/23)観察した時の挿し木B

20240523ハナヒョウタンボク挿し木B.jpg
2024年5月23日 軽井沢草花館 ハナヒョウタンボク 挿し木B

【挿し木C】

この7日間で成長しました。葉っぱのサイズは最大32_→38_、枝の長さは最大40_→40_へと大きくなりました。

20240530ハナヒョウタンボク挿し木C01.jpg
2024年5月30日 軽井沢草花館 ハナヒョウタンボク 挿し木C

下写真:前回(5/23)の挿し木C

20240523ハナヒョウタンボク挿し木C.jpg
2024年5月23日 軽井沢草花館 ハナヒョウタンボク 挿し木C

【挿し木E】

前回まで最もよく成長していましたが、この7日間で見られた成長はわずか。
成長スピードが鈍化していて心配です。

 葉長:5/9=20_→5/15=25_→5/23= 38_→5/30=40_
 枝の長さ:5/9=23_→5/15=38_→5/23=45_→5/30=45_

20240530ハナヒョウタンボク挿し木E01.jpg
2024年5月30日 軽井沢草花館 ハナヒョウタンボク 挿し木E

下写真:前回(5/23)の挿し木E。本日、葉っぱが少し大きくなったものの、枝の長さが同じであることが分かります。

20240523ハナヒョウタンボク挿し木E01.jpg
2024年5月23日 軽井沢草花館 ハナヒョウタンボク 挿し木E

【挿し木F】

前回(5/23)からの7日間で、葉長が13_から14_に、そして枝が10_から12_へと成長しました。
C、Eほど大きくはありませんが、この7日間でいうと、一番の成長が見られました。

20240530ハナヒョウタンボク挿し木F01.jpg
2024年5月30日 軽井沢草花館 ハナヒョウタンボク 挿し木F

下写真:前回(5/23)の挿し木F

20240523ハナヒョウタンボク挿し木F.jpg
2024年5月23日 軽井沢草花館 ハナヒョウタンボク 挿し木F

【小さな美術館軽井沢草花館 展示のご案内】

「石川功一の水彩・油彩展 和歌に詠まれた草花たち」2024年11月10日まで開催中です
火曜日休館
下の画像をクリックすると詳細ページにリンクします。

2024軽井沢草花館チラシB5表_630.jpg
小さな美術館軽井沢草花館HP https://kusabana.net
posted by kusabanakan at 20:35| ハナヒョウタンボク日記

2024年05月23日

ハナヒョウタンボク日記(14)6本の挿し木のうち2本枯れる(5/23)

前回(5/15)から8日ぶりの更新です。
4月16日に6本(A〜F)の挿し木をして、成長を観察していますが、うち2本が枯れてしまいました。枯れてしまったのは枝の細いAとD。B,C,Eは順調に成長を続け、残るFは成長は遅いものの、何とか葉っぱを付けています。

 ・A、D:枯れる
 ・F:成長鈍化
 ・B、C、E:成長活発

今までの経過
・4月16日:ハナヒョウタンボクの枝6本を地面に挿し木
・4月29日:すべての挿し木から芽が出る
・5月5日:順調に芽が大きくなる
・5月15日:葉っぱのサイズ最大で25_、枝の長さ最大38_
・5月23日:AとDが枯れる。
      葉っぱのサイズ最大38_、枝の長さ最大45_

20240523ハナヒョウタンボク挿し木00.jpg
2024年5月23日 軽井沢草花館 ハナヒョウタンボクの挿し木開始 6本(A-F)

以下、AからFまで6本それぞれの様子です。

【挿し木A】

下写真:挿し木Aはこの8日間で、成長はほとんど見られず、最大葉長は約12_のままです。ただ、枯れているわけではなく、葉っぱ自体、元気です。

20240523ハナヒョウタンボク挿し木Are.jpg
2024年5月23日 軽井沢草花館 ハナヒョウタンボク 挿し木A

下写真:前回(5/15)の挿し木A

20240515ハナヒョウタンボク挿し木A.jpg
2024年5月15日 軽井沢草花館 ハナヒョウタンボク 挿し木A

【挿し木B】

この8日間で葉っぱが大きくなりました。前回(5/15)16_だった葉長は、本日(5/23)20_でした。

20240523ハナヒョウタンボク挿し木B.jpg
2024年5月23日 軽井沢草花館 ハナヒョウタンボク 挿し木B

下写真:前回(5/15)の挿し木B

20240515ハナヒョウタンボク挿し木B.jpg
2024年5月15日 軽井沢草花館 ハナヒョウタンボク 挿し木B

【挿し木C】

この8日間で成長しました。葉っぱのサイズは最大20_→32_、枝の長さは最大30_→40_へと大きくなりました。

20240523ハナヒョウタンボク挿し木C.jpg
2024年5月23日 軽井沢草花館 ハナヒョウタンボク 挿し木C

下写真:前回(5/15)の挿し木C

20240515ハナヒョウタンボク挿し木C.jpg
2024年5月15日 軽井沢草花館 ハナヒョウタンボク 挿し木C

【挿し木D】

挿し木Dは、どうやら枯れてしまったようです。前回(5/15)のときから、葉っぱが下向きに垂れ下がって元気がありませんでしたが、今回(5/23)はその葉っぱが枯れて、無くなってしまいました。

20240523ハナヒョウタンボク挿し木D.jpg
2024年5月23日 軽井沢草花館 ハナヒョウタンボク 挿し木D

下写真:前回(5/15)の挿し木D

20240515ハナヒョウタンボク挿し木D.jpg
2024年5月15日 軽井沢草花館 ハナヒョウタンボク 挿し木D

【挿し木E】

葉っぱ、そして枝も6本の中では一番よく成長しています。
 葉長:5/9=20_→5/15=25_→5/23= 38_
 枝の長さ:5/9=23_→5/15=38_→5/23=45_

葉っぱの長さも、枝の長さも、前々回(5/9)からの2週間で2倍近くにまで大きくなりました。

20240523ハナヒョウタンボク挿し木E01.jpg
2024年5月23日 軽井沢草花館 ハナヒョウタンボク 挿し木E

下:横から見た挿し木E

20240523ハナヒョウタンボク挿し木E02.jpg
2024年5月23日 軽井沢草花館 ハナヒョウタンボク 挿し木E

下写真2枚:前回(5/15)の挿し木E

20240515ハナヒョウタンボク挿し木E01.jpg
2024年5月15日 軽井沢草花館 ハナヒョウタンボク 挿し木E

20240515ハナヒョウタンボク挿し木E02.jpg
2024年5月15日 軽井沢草花館 ハナヒョウタンボク 挿し木E

【挿し木F】

前回(5/15)からの8日間で、葉長が8_から13_に伸びました。
枯れたりはしていませんが、B、C、Eほど活発に成長しているわけでもなく、心配は続きます。

20240523ハナヒョウタンボク挿し木F.jpg
2024年5月23日 軽井沢草花館 ハナヒョウタンボク 挿し木F

下写真:前回(5/15)の挿し木F

20240515ハナヒョウタンボク挿し木F.jpg
2024年5月15日 軽井沢草花館 ハナヒョウタンボク 挿し木F

【小さな美術館軽井沢草花館 展示のご案内】

「石川功一の水彩・油彩展 和歌に詠まれた草花たち」2024年11月10日まで開催中です
火曜日休館
下の画像をクリックすると詳細ページにリンクします。

2024軽井沢草花館チラシB5表_630.jpg
小さな美術館軽井沢草花館HP https://kusabana.net
posted by kusabanakan at 16:14| ハナヒョウタンボク日記

2024年05月15日

ハナヒョウタンボク日記(13)6本の挿し木のうち成長は良3:悪3(5/15)

前回(5/9)から6日ぶりの更新です。
6本(A〜F)の挿し木で、成長に差がありますが、葉っぱのサイズが大きくなり、枝も伸びてきました。
現時点では、成長が良いのと悪いのとで3対3に分かれています。

 ・A、D、F:成長鈍化
 ・B、C、E:成長活発

今までの経過
・4月16日:ハナヒョウタンボクの枝6本を地面に挿し木
・4月29日:すべての挿し木から芽が出る
・5月5日:順調に芽が大きくなる
・5月15日:葉っぱのサイズ最大で25_、枝の長さ最大38_

20240515ハナヒョウタンボク挿し木00.jpg
2024年5月15日 軽井沢草花館 ハナヒョウタンボクの挿し木開始 6本(A-F)

以下、AからFまで6本それぞれの様子です。

【挿し木A】

下写真:挿し木Aはこの6日間で、成長はほとんど見られず、最大葉長は約12_のままです。ただ、枯れているわけではなく、葉っぱ自体、元気です。

20240515ハナヒョウタンボク挿し木A.jpg
2024年5月15日 軽井沢草花館 ハナヒョウタンボク 挿し木A

下写真:前回(5/9)の挿し木A

20240509ハナヒョウタンボク挿し木A.jpg
2024年5月9日 軽井沢草花館 ハナヒョウタンボク 挿し木A

【挿し木B】

この6日間で葉っぱが大きくなりました。前回(5/9)約10_だった葉長は、今回(5/15)16_でした。

20240515ハナヒョウタンボク挿し木B.jpg
2024年5月15日 軽井沢草花館 ハナヒョウタンボク 挿し木B

下写真:前回(5/9)の挿し木B

20240509ハナヒョウタンボク挿し木B.jpg
2024年5月9日 軽井沢草花館 ハナヒョウタンボク 挿し木B

【挿し木C】

この6日間で成長しました。葉っぱのサイズは最大20_で、前回と同じでしたが、前回の20_だった枝が30_へと10_も伸びました。

20240515ハナヒョウタンボク挿し木C.jpg
2024年5月15日 軽井沢草花館 ハナヒョウタンボク 挿し木C

下写真:前回(5/9)の挿し木C

20240509ハナヒョウタンボク挿し木C.jpg
2024年5月9日 軽井沢草花館 ハナヒョウタンボク 挿し木C

【挿し木D】

挿し木Dは前回(5/9)よりも元気がありません。葉っぱのサイズは変わらず、しかも下向きにお辞儀しています。
今後、成長を続けられるかどうか心配です。

20240515ハナヒョウタンボク挿し木D.jpg
2024年5月15日 軽井沢草花館 ハナヒョウタンボク 挿し木D

下写真:前回(5/9)の挿し木D

20240509ハナヒョウタンボク挿し木D.jpg
2024年5月9日 軽井沢草花館 ハナヒョウタンボク 挿し木D

【挿し木E】

葉っぱ、そして枝も6本の中では一番よく成長しています。
 葉長:5/9=20_→5/15=25_
 枝の長さ:5/9=23_→5/15=38_

20240515ハナヒョウタンボク挿し木E01.jpg
2024年5月15日 軽井沢草花館 ハナヒョウタンボク 挿し木E

下写真:前回(5/9)の挿し木E

20240509ハナヒョウタンボク挿し木E.jpg
2024年5月9日 軽井沢草花館 ハナヒョウタンボク 挿し木E

下の写真は上方からの撮影。枝は38_まで伸び、前回(5/9)の23_から15_も伸びました。

20240515ハナヒョウタンボク挿し木E02.jpg
2024年5月15日 軽井沢草花館 ハナヒョウタンボク 挿し木E

下写真:前回(5/9)の挿し木E

20240509ハナヒョウタンボク挿し木E01.jpg
2024年5月9日 軽井沢草花館 ハナヒョウタンボク 挿し木E

【挿し木F】

前回(5/9)からの6日間で、葉長が5_から8_に伸びましたが、成長はわずかでした。

20240515ハナヒョウタンボク挿し木F.jpg
2024年5月15日 軽井沢草花館 ハナヒョウタンボク 挿し木F

下写真:前回(5/9)の挿し木F

20240509ハナヒョウタンボク挿し木F01.jpg
2024年5月9日 軽井沢草花館 ハナヒョウタンボク 挿し木F

【小さな美術館軽井沢草花館 展示のご案内】

「石川功一の水彩・油彩展 和歌に詠まれた草花たち」2024年11月10日まで開催中です
火曜日休館
下の画像をクリックすると詳細ページにリンクします。

2024軽井沢草花館チラシB5表_630.jpg
小さな美術館軽井沢草花館HP https://kusabana.net
posted by kusabanakan at 17:36| ハナヒョウタンボク日記

2024年05月09日

ハナヒョウタンボク日記(12)挿し木から若葉開き始める(5/9)

前回(5/5)から4日ぶりの更新です。
簡単にこれまでの経過
・4月16日:ハナヒョウタンボクの枝6本を地面に挿し木
・4月29日:すべての挿し木から芽が出る
・5月5日:順調に芽が大きくなる
そして、5月9日現在、芽の一部から葉っぱが開き始めました。

20240509ハナヒョウタンボク挿し木00.jpg
2024年5月9日 軽井沢草花館 ハナヒョウタンボクの挿し木開始 6本(A-F)

以下、AからFまで6本それぞれの様子です。

【挿し木A】

下写真:一部の芽から葉っぱが開きました。葉長は約12_。

20240509ハナヒョウタンボク挿し木A.jpg
2024年5月9日 軽井沢草花館 ハナヒョウタンボク 挿し木A

下写真:前回(5/5)の挿し木A

20240505ハナヒョウタンボク挿し木A.jpg
2024年5月5日 軽井沢草花館 ハナヒョウタンボク 挿し木A

【挿し木B】

4日間でだいぶ成長しました。芽の一部から葉っぱが開きました。葉長は約10_。

20240509ハナヒョウタンボク挿し木B.jpg
2024年5月9日 軽井沢草花館 ハナヒョウタンボク 挿し木B

下写真:前回(5/5)の挿し木B

20240505ハナヒョウタンボク挿し木B.jpg
2024年5月5日 軽井沢草花館 ハナヒョウタンボク 挿し木B

【挿し木C】

この4日間で大きく成長しました。葉っぱが開き、枝も伸びてきました。
葉長、枝の長さ共に20_。

20240509ハナヒョウタンボク挿し木C.jpg
2024年5月9日 軽井沢草花館 ハナヒョウタンボク 挿し木C

下写真:前回(5/5)の挿し木C

20240505ハナヒョウタンボク挿し木C.jpg
2024年5月5日 軽井沢草花館 ハナヒョウタンボク 挿し木C

【挿し木D】

成長はゆっくりですが、葉っぱが開きました。長約1.2a。

20240509ハナヒョウタンボク挿し木D.jpg
2024年5月9日 軽井沢草花館 ハナヒョウタンボク 挿し木D

下写真:前回(5/5)の挿し木D

20240505ハナヒョウタンボク挿し木D.jpg
2024年5月5日 軽井沢草花館 ハナヒョウタンボク 挿し木D

【挿し木E】

6本の中で最も成長が活発です。複数枚の葉っぱが開き、枝も伸びてきました。
葉長20_、枝の長さ23_。

20240509ハナヒョウタンボク挿し木E01.jpg
2024年5月9日 軽井沢草花館 ハナヒョウタンボク 挿し木E

20240509ハナヒョウタンボク挿し木E.jpg
2024年5月9日 軽井沢草花館 ハナヒョウタンボク 挿し木E

下写真:前回(5/5)の挿し木E

20240505ハナヒョウタンボク挿し木E.jpg
2024年5月5日 軽井沢草花館 ハナヒョウタンボク 挿し木E

【挿し木F】

6本の中では最も成長が鈍く、前回(5/5)からの4日間で、成長はわずか。
開きかけの葉っぱの長さは5_。

20240509ハナヒョウタンボク挿し木F01.jpg
2024年5月9日 軽井沢草花館 ハナヒョウタンボク 挿し木F

下写真:前回(5/5)の挿し木F

20240505ハナヒョウタンボク挿し木F.jpg
2024年5月5日 軽井沢草花館 ハナヒョウタンボク 挿し木F

【小さな美術館軽井沢草花館 展示のご案内】

「石川功一の水彩・油彩展 和歌に詠まれた草花たち」2024年11月10日まで開催中です
火曜日休館
下の画像をクリックすると詳細ページにリンクします。

2024軽井沢草花館チラシB5表_630.jpg
小さな美術館軽井沢草花館HP https://kusabana.net
posted by kusabanakan at 20:25| ハナヒョウタンボク日記

2024年05月05日

ハナヒョウタンボク日記(11)挿し木の芽×6、順調の成長(5/5)

前回(4/29)から6日ぶりの更新です。
4月16日に始めたハナヒョウタンボクの挿し木6本。
4月29日にはすべての挿し木から芽が出ましたが、その後順調に芽が成長を続けています。
芽の大きさは4/29時には2ミリ前後でしたが、今日(5/5)は5〜15_の大きさとなっています。
まだ、挿し木が成功したとは言えませんが、成長過程を記録します。

※挿し木を始めてから、毎日1〜2回、たっぷりと水を撒いています。

20240505ハナヒョウタンボク挿し木00.jpg
2024年5月5日 軽井沢草花館 ハナヒョウタンボクの挿し木開始 6本(A-F)

以下、AからFまで6本それぞれの様子です。

【挿し木A】

下写真:葉っぱが開き始めていて、葉長は約1.2aでした。

20240505ハナヒョウタンボク挿し木A.jpg
2024年5月5日 軽井沢草花館 ハナヒョウタンボク 挿し木A

下写真:前回(4/29)の挿し木A

20240429ハナヒョウタンボク挿し木A.jpg
2024年4月29日 軽井沢草花館 ハナヒョウタンボク 挿し木A

【挿し木B】

葉っぱは開いていませんが、芽の長さは約5_。前回よりも大きくなっていますが、成長は緩やかです。

20240505ハナヒョウタンボク挿し木B.jpg
2024年5月5日 軽井沢草花館 ハナヒョウタンボク 挿し木B

下写真:前回(4/29)の挿し木B

下写真:枝の右側の芽は、挿し木をする前からついていたものなので、4/29の測定後に取り除きました。左の小さな芽が新しく出てきた芽です。

20240429ハナヒョウタンボク挿し木B.jpg
2024年4月29日 軽井沢草花館 ハナヒョウタンボク 挿し木B

【挿し木C】

葉っぱが開き始めていて、葉長は約1.5a。6本の中で最長です。

20240505ハナヒョウタンボク挿し木C.jpg
2024年5月5日 軽井沢草花館 ハナヒョウタンボク 挿し木C

下写真:前回(4/29)の挿し木C

20240429ハナヒョウタンボク挿し木C.jpg
2024年4月29日 軽井沢草花館 ハナヒョウタンボク 挿し木C

【挿し木D】

葉っぱが開き始めていて、葉長約1.2a。

20240505ハナヒョウタンボク挿し木D.jpg
2024年5月5日 軽井沢草花館 ハナヒョウタンボク 挿し木D

下写真:前回(4/29)の挿し木D

20240429ハナヒョウタンボク挿し木D.jpg
2024年4月29日 軽井沢草花館 ハナヒョウタンボク 挿し木D

【挿し木E】

葉っぱが開き始めていて、葉長1.2a。6本の中で最も葉の枚数が多く、成長が活発に見えます。

20240505ハナヒョウタンボク挿し木E.jpg
2024年5月5日 軽井沢草花館 ハナヒョウタンボク 挿し木E

下写真:前回(4/29)の挿し木E

20240429ハナヒョウタンボク挿し木E.jpg
2024年4月29日 軽井沢草花館 ハナヒョウタンボク 挿し木E

【挿し木F】

葉っぱが開きかけていて、葉長約1a。枝が細く、成長が緩やかです。

20240505ハナヒョウタンボク挿し木F.jpg
2024年5月5日 軽井沢草花館 ハナヒョウタンボク 挿し木F

下写真:前回(4/29)の挿し木F

下写真:枝の右側の芽は、挿し木をする前からついていたものなので、4/29の測定後に取り除きました。左の小さな芽が新しく出てきた芽です。

20240429ハナヒョウタンボク挿し木F.jpg
2024年4月29日 軽井沢草花館 ハナヒョウタンボク 挿し木F

【小さな美術館軽井沢草花館 展示のご案内】

「石川功一の水彩・油彩展 和歌に詠まれた草花たち」2024年11月10日まで開催中です
火曜日休館
下の画像をクリックすると詳細ページにリンクします。

2024軽井沢草花館チラシB5表_630.jpg
小さな美術館軽井沢草花館HP https://kusabana.net
posted by kusabanakan at 14:49| ハナヒョウタンボク日記

2024年04月29日

ハナヒョウタンボク日記(10)昨年は失敗、挿し木再び挑戦(4/29)

昨年(2023)、ハナヒョウタンボクの挿し木を試みましたが、知識と経験のなさから、残念ながら失敗。
今年は昨年失敗した経験を糧に、再び挑戦しました。
4月16日、昨年と同様、ハナヒョウタンボクが自宅にお庭に生えている知人に枝(ひこ生え)を分けてもらい、草花館の庭の地面6か所に挿し木を試みました。

20240416ハナヒョウタンボク挿し木開始01.jpg
2024年4月16日 軽井沢草花館 ハナヒョウタンボクの挿し木開始 6本(A-F)

昨年は枝に葉っぱが付いた状態で10日間くらい挿し木していたのですが、今年は葉っぱの(ほとんど)ない状態で挿し木しました。
また、地面に埋める部分は節2つ分で昨年と変わりませんが、地上に出ている節の部分は昨年2〜4段にしましたが、今年は1段のみとしました。

そうしたところ、2週間もしないうちに6本すべての挿し木から芽が出てきました。芽の大きさは2ミリ前後ですが、今後の成長が楽しみです。

20240429ハナヒョウタンボク挿し木E02.jpg
2024年4月16日 軽井沢草花館 ハナヒョウタンボク 挿し木Eから出てきた芽

20240429ハナヒョウタンボク挿し木01.jpg
2024年4月29日 軽井沢草花館 ハナヒョウタンボクの挿し木 6本(A-F)

以下、A-Fの観察写真です。

20240429ハナヒョウタンボク挿し木A.jpg
2024年4月29日 軽井沢草花館 ハナヒョウタンボク 挿し木A

下写真:枝の右側の芽は、挿し木をする前からついていたもの。左の小さな芽が新しく出てきた芽です。

20240429ハナヒョウタンボク挿し木B.jpg
2024年4月29日 軽井沢草花館 ハナヒョウタンボク 挿し木B

20240429ハナヒョウタンボク挿し木C.jpg
2024年4月29日 軽井沢草花館 ハナヒョウタンボク 挿し木C

20240429ハナヒョウタンボク挿し木D.jpg
2024年4月29日 軽井沢草花館 ハナヒョウタンボク 挿し木D

20240429ハナヒョウタンボク挿し木E.jpg
2024年4月29日 軽井沢草花館 ハナヒョウタンボク 挿し木E

下写真:枝の右側の芽は、挿し木をする前からついていたもの。左の小さな芽が新しく出てきた芽です。

20240429ハナヒョウタンボク挿し木F.jpg
2024年4月29日 軽井沢草花館 ハナヒョウタンボク 挿し木F

【小さな美術館軽井沢草花館 展示のご案内】

「石川功一の水彩・油彩展 和歌に詠まれた草花たち」2024年11月10日まで開催中です
火曜日休館
下の画像をクリックすると詳細ページにリンクします。

2024軽井沢草花館チラシB5表_630.jpg
小さな美術館軽井沢草花館HP https://kusabana.net
posted by kusabanakan at 14:00| ハナヒョウタンボク日記

2023年06月21日

ハナヒョウタンボク日記(9)最後の芽も枯れて、挿し木が失敗に終わる

6/18に続いてのハナヒョウタンボク日記です(6/20の観察)。

わずかに望みをつないでいた最後の芽が枯れてしまいました。
4つの節から4つの芽が出たものの、それからの成長が思わしくなく、最終的にすべて枯れてしまって、挿し木の試みは失敗に終わりました。
今まで挿し木をした経験がなく、わずかな知識と情報をもとに始めたこともあり、やり方そのものが良くなかったのかも知れません。
それでも、4つの芽が出て、うち一つの芽は葉っぱが開いてくれたので、それなりに良いところもありました。
来年以降、チャンスがあれば、再びチャレンジしたいと思います。

以下、昨日のハナヒョウタンボク観察記録となりますが、最後のまとめとしてアップします。

20230620美術館ハナヒョウタンボク01.jpg
2023年6月20日 軽井沢草花館 ハナヒョウタンボク 挿し木

ハナヒョウタンボク観察20230620re.jpg


下写真:最後の一つだった上から3段目に付いた芽です。6月20日朝の時点で枯れていました。

20230620美術館ハナヒョウタンボクC00re.jpg

2023年6月20日 軽井沢草花館 ハナヒョウタンボク 挿し木 上から3段目

下写真:6月18日撮影です。この時はまだ芽の成長を期待したのですが、これ以上の成長はかないませんでした。

20230618美術館ハナヒョウタンボクC00.jpg
2023年6月18日 軽井沢草花館 ハナヒョウタンボク 挿し木 上から3段目 

【参考 ハナヒョウタンボク日記の概要】

下のアドレズが第1回目のハナヒョウタンボク日記、「ハナヒョウタンボク日記(1)始めます」のリンク先です。
ブログを始めるきっかけや概要が書かれています。

posted by kusabanakan at 19:20| ハナヒョウタンボク日記

2023年06月18日

ハナヒョウタンボク日記(8)上から4節目の芽も枯れて、残りの芽が一つに

昨日(6/17)に続いてのハナヒョウタンボク日記です。

ここ数日で挿し木の状態が悪化を続け、昨日は上から2段目の節の芽が枯れ、そして今日は上から4段目の節の芽が枯れてしまいました。残りは上から3段目の節に付いた芽が一つ残るだけ。今後、その一つの芽が成長を続けてくれるかどうか? 
可能性は低いと思われますが、観察を続けます。

20230618美術館ハナヒョウタンボクD00.jpg
2023年6月18日 軽井沢草花館 ハナヒョウタンボク 挿し木 枯れてしまった上から4段目の節の芽

下写真:全部で5節ありますが、芽が出たのは上から1段目から4段目までの4節です。
うち、枯れてしまったのは上から1段目(6/7)、2段目(6/17)、4段目(6/18)で、残った芽は上から3段目の節です。

20230618美術館ハナヒョウタンボク01.jpg
2023年6月18日 軽井沢草花館 ハナヒョウタンボク 挿し木

下の表は、これまでの流れと、4段の節から芽吹いた芽の大きさ(長さ)を観察して記録したものです。

ハナヒョウタンボク観察20230618.jpg


【上から2段目の節:完全に枯れる】

昨日(6/17)までは一部枯れずに残っている葉があるようにも見えましたが、今朝観察すると、すべての葉が枯れていました。この節から再び芽が出てくる可能性はないでしょう。

20230618美術館ハナヒョウタンボクB00.jpg
2023年6月18日 軽井沢草花館 ハナヒョウタンボク 挿し木 上から2段目 枯れる

【上から3段目の節:残り一つになった芽】

下写真:成長が遅く、いつ枯れてもおかしくないような小さな芽です。6月3日に初めて芽(0.5_)を出してから15日間が過ぎましたが、現在の芽の長さは6_しかありません。
他の芽がすべて枯れてしまったため、この芽がこの挿し木の生命線です。
今後の成長を観察していきます。

20230618美術館ハナヒョウタンボクC00.jpg
2023年6月18日 軽井沢草花館 ハナヒョウタンボク 挿し木 上から3段目 

【上から4段目の節:枯れてしまう】

下写真:昨日(6/17)までは何とか芽の状態が保たれていましたが、今朝の観察で枯れているのを確認しました。

20230618美術館ハナヒョウタンボクD00.jpg
2023年6月18日 軽井沢草花館 ハナヒョウタンボク 挿し木 上から4段目 

【余談】今まで挿し木をした経験がなく、わずかな知識と情報をもとに始めたこともあり、この方法が良かったのかどうか、よくわかりません。特に、約半月もの期間、葉っぱをつけたままの状態で挿し木を続けていたことは、もしかすると良くなかったのではないか? と思うところもあります。
しかしながら、”ダメもと”で楽しみながら行っている試みです。この試みをきっかけに、上手な挿し木のやり方を覚えていけたらと思っています。

ハナヒョウタンボク日記の概要

下のアドレズが第1回目のハナヒョウタンボク日記、「ハナヒョウタンボク日記(1)始めます」のリンク先です。
ブログを始めるきっかけや概要が書かれています。

posted by kusabanakan at 14:42| ハナヒョウタンボク日記

2023年06月17日

ハナヒョウタンボク日記(7)開いた葉っぱが一部枯れる

前回(6/15)から2日ぶりの更新です。

6月15日に初めて葉っぱが開き、これからハナヒョウタンボクの挿し木が順調に進むのでは!
と期待が膨らんだのもつかの間、今朝(17日)、観察のため見に行くと、開いたばかり葉っぱがしおれてしまっているではありませんか…
今朝は11.2度台まで気温が下がって、肌寒いくらいでしたが、霜の降りるような冷え込みではなく、寒さで葉っぱがしおれてしまったとは考えにくいです。
では、原因は何だったのでしょうか?
まだ、根が十分に張っていないのかも知れませんが、明確な原因は分かりません。

今日のところは、全ての葉っぱが枯れてしまった訳ではないので、明日以降、希望をもって観察を続けたいと思います。

20230617美術館ハナヒョウタンボクB00.jpg
2023年6月17日 軽井沢草花館 ハナヒョウタンボク 一部枯れてしまった葉っぱ(上から2段目の節) 

下写真:4段の節の状況です。今朝、葉っぱの一部がしおれていたのは上から2段目の節からです。
3段目、4段目の芽は枯れていませんが、成長が遅く、順調といえるかどうか微妙な状況です。

20230617美術館ハナヒョウタンボク01.jpg
2023年6月17日 軽井沢草花館 ハナヒョウタンボク 挿し木

下の表は、これまでの流れと、4段の節から芽吹いた芽の大きさ(長さ)を観察して記録したものです。

ハナヒョウタンボク観察20230617.jpg

【余談】今まで挿し木をした経験がなく、わずかな知識と情報をもとに始めたこともあり、この方法が良かったのかどうか、よくわかりません。特に、約半月もの期間、葉っぱをつけたままの状態で挿し木を続けていたことは、もしかすると良くなかったのではないか? と思うところもあります。
しかしながら、”ダメもと”で楽しみながら行っている試みです。この試みをきっかけに、上手な挿し木のやり方を覚えていけたらと思っています。

以下、今朝一部の葉っぱが枯れてしまったAの詳細です。

【上から2段目の節:一部の葉っぱが枯れる】

下写真:せっかく時間をかけて開いた葉っぱでしたが、2日で一部が枯れてしまいました。

20230617美術館ハナヒョウタンボクB00re.jpg
2023年6月17日 軽井沢草花館 ハナヒョウタンボク 挿し木 上から2段目 一部枯れる

下写真:角度を変えての一枚です。

20230617美術館ハナヒョウタンボクB01re.jpg
2023年6月17日 軽井沢草花館 ハナヒョウタンボク 挿し木 上から2段目 一部枯れる

【参考】

ハナヒョウタンボク日記の概要

下のアドレズが第1回目のハナヒョウタンボク日記、「ハナヒョウタンボク日記(1)始めます」のリンク先です。
ブログを始めるきっかけや概要が書かれています。

posted by kusabanakan at 20:15| ハナヒョウタンボク日記

2023年06月15日

ハナヒョウタンボク日記(6)初めての葉が開く!

前回(6/12)から3日ぶりの更新です。

昨日(6/14)の時点で芽の長さは31_あり、今朝観察しに行くと、葉っぱが開いていました。
挿し木を始めようとして、親木となるハナヒョウタンボクの枝を分けていただいたのが5月8日のこと。
実際に芽が付き始めたのは6月1日なので、芽吹きから葉が開くまでの期間は約2週間でした。

20230615美術館ハナヒョウタンボクB00.jpg
2023年6月15日 軽井沢草花館 ハナヒョウタンボク 挿し木の芽(上から2段目の節)から開いた葉 

ハナヒョウタンボクの挿し木は6/14の時点で4段の節から3つ芽が出ていてましたが、本日(6/15)1つの葉が開きました。
残り2つの芽も少しづつではありますが、成長が続いており、今後のさらなる成長が見逃せません。

20230615美術館ハナヒョウタンボク01re.jpg
2023年6月15日 軽井沢草花館 ハナヒョウタンボク 挿し木

下の表は、これまでの流れと、4段の節から芽吹いた芽の大きさ(長さ)を観察して記録したものです。

ハナヒョウタンボク観察20230615.jpg

【余談】今まで挿し木をした経験がなく、わずかな知識と情報をもとに始めたこともあり、この方法が良かったのかどうか、よくわかりません。特に、約半月もの期間、葉っぱをつけたままの状態で挿し木を続けていたことは、もしかすると良くなかったのではないか? と思うところもあります。
しかしながら、”ダメもと”で楽しみながら行っている試みです。この試みをきっかけに、上手な挿し木のやり方を覚えていけたらと思っています。

以下、枯れてしまった@の芽を除き、AからCの芽の詳細です。

【上から2段目の節:葉っぱが開く】

下写真:挿し木ということでまだ根が十分に張っていないからなのかもしれませんが、芽の成長はとてもゆっくり進んだ印象です。6月1日に出てきた芽が約2週間をかけて、ようやく葉を開かせました。
開いた葉っぱの長さはわずか2aと小さいものです。
これで挿し木が成功したかどうかは、まだ半信半疑。
さらに今後の成長をしっかりと観察していきたいと思います。

20230615美術館ハナヒョウタンボクB01re.jpg
2023年6月15日 軽井沢草花館 ハナヒョウタンボク 挿し木 上から2段目の節の芽

下写真:昨日(6/14)撮影です。葉っぱが開いているようにも見えますが、2枚の葉っぱが貝の殻のように閉じていて完全に開きませんでした。

20230614美術館ハナヒョウタンボクB01.jpg
2023年6月14日 軽井沢草花館 ハナヒョウタンボク 挿し木 上から2段目の節の芽

下写真:前回3日前(6/12)撮影です。

20230612美術館ハナヒョウタンボクB01.jpg
2023年6月12日 軽井沢草花館 ハナヒョウタンボク 挿し木 上から2段目の節の芽

【上から3段目の節:芽の長さ6_に】

下写真:上から3段目の節から出た芽で、長さ6_。
とてもゆっくりですが、成長は続いています。前回6/12の5_から1_長くなっています。

20230615美術館ハナヒョウタンボクC01.jpg
2023年6月15日 軽井沢草花館 ハナヒョウタンボク 挿し木 上から3段目の節の芽

【上から4段目の節:芽の長さ12_に】

下写真:上から4つ目の節から出た芽は、長さ12ミリ。
前回(6/12)の11_から1_長くなっていました。
こちらの芽も成長スピードがゆっくりですが、着実に成長を続けています。

20230615美術館ハナヒョウタンボクD01.jpg
2023年6月15日 軽井沢草花館 ハナヒョウタンボク 挿し木 上から4段目の節の芽

【参考】

ハナヒョウタンボク日記の概要

下のアドレズが第1回目のハナヒョウタンボク日記、「ハナヒョウタンボク日記(1)始めます」のリンク先です。
ブログを始めるきっかけや概要が書かれています。

posted by kusabanakan at 15:35| ハナヒョウタンボク日記

2023年06月12日

ハナヒョウタンボク日記(5)芽の長さ25_、葉が開きそう!

前回(6/9)から3日ぶりの更新です。
ハナヒョウタンボクの挿し木は6/9の時点で4段の節から3つ芽が出ていましたが、今日現在でも引き続き3つの状態をキープしています。
そして、一番大きく成長した芽は長さにして25_となり、もう少しで葉っぱが開いてきそうな状態です!
毎日観察していると3つの芽の成長速度がそれぞれ違うことに気が付きますが、なんとか枯れることなく成長が続いています。

20230612美術館ハナヒョウタンボク01.jpg
2023年6月12日 軽井沢草花館 ハナヒョウタンボク 挿し木

下の表は、これまでの流れと、4段の節から芽吹いた芽の大きさ(長さ)を観察して記録したものです。

ハナヒョウタンボク観察20230612.jpg
【余談】今まで挿し木をした経験がなく、わずかな知識と情報をもとに始めたこともあり、この方法が良かったのかどうか、よくわかりません。特に、約半月もの期間、葉っぱをつけたままの状態で挿し木を続けていたことは、もしかすると良くなかったのではないか? と思うところもあります。
しかしながら、”ダメもと”で楽しみながら行っている試みです。この試みをきっかけに、上手な挿し木のやり方を覚えていけたらと思っています。

以下、枯れてしまった@の芽を除き、AからCの芽の詳細です。

下写真:上から2段目の節から出た芽は長さにして25_。前回(6/9)14_だったので、3日で11_長くなっています。
他の2つの芽よりも一回り大きく、成長スピードが速いです。
芽の先が割れてきていて、明日以降、葉っぱが開いてきそうな状態です。

20230612美術館ハナヒョウタンボクB01.jpg
2023年6月12日 軽井沢草花館 ハナヒョウタンボク 挿し木 上から2段目の節の芽

下写真:上から3段目の節から出た芽で、長さ5_。
6月7日以降、11日までの5日間は芽の長さが4_のまま変化がありませんでした。
このまま成長が止まって、枯れてしまうのではないかと心配していましたが、昨日(11日)は終日雨となり、その影響もあったのでしょうか? 本日、6日ぶりに芽の長さが4_から5_へと変化していました。

20230612美術館ハナヒョウタンボクC01.jpg
2023年6月12日 軽井沢草花館 ハナヒョウタンボク 挿し木 上から3段目の節の芽

20230609美術館ハナヒョウタンボクC01.jpg
2023年6月9日 軽井沢草花館 ハナヒョウタンボク 挿し木 上から3段目の節の芽

下写真:上から4つ目の節から出た芽は、長さ11ミリ。
前回(6/9)の7_から4_長くなっていました。
成長のスピードは遅いものの、着実に成長を続けています。

20230612美術館ハナヒョウタンボクD01.jpg
2023年6月12日 軽井沢草花館 ハナヒョウタンボク 挿し木 上から4段目の節の芽

【参考】

ハナヒョウタンボク日記の概要

下のアドレズが第1回目のハナヒョウタンボク日記、「ハナヒョウタンボク日記(1)始めます」のリンク先です。
ブログを始めるきっかけや概要が書かれています。


posted by kusabanakan at 15:46| ハナヒョウタンボク日記

2023年06月09日

ハナヒョウタンボク日記(4)芽の長さ14_に

前回(6/6)から3日ぶりの更新です。
ハナヒョウタンボクの挿し木は前回4つ芽が出ていましたが、うち1つが枯れてしまい、現在3つの芽が成長しています。
最も大きなもので芽の長さが14_、少しづつですが成長しています。
昨日、関東甲信地域では「梅雨入りしたらしい」との発表があり、雨が続きそうなので、挿し木にはちょうど良いかもしれません。

20230609美術館ハナヒョウタンボク01.jpg
2023年6月9日 軽井沢草花館 ハナヒョウタンボク 挿し木

下の表は、これまでの流れと、4つの節から芽吹いた芽の大きさ(長さ)を観察して記録したものです。

ハナヒョウタンボク観察20230609.jpg

※今まで挿し木をした経験がなく、わずかな知識と情報をもとに始めたこともあり、この方法が良かったのかどうか、よくわかりません。特に、約半月もの期間、葉っぱをつけたままの状態で挿し木を続けていたことは、もしかすると良くなかったのではないか? と思うところもあります。
しかしながら、”ダメもと”で楽しみながら行っている試みです。この試みをきっかけに、上手な挿し木のやり方を覚えていけたらと思っています。

以下、@からCの芽の詳細です。

下写真:6月6日まで確認できていましたが、6月7日には茶色になって枯れている芽を確認。芽の数は4つから3つに減りました。

20230609美術館ハナヒョウタンボクA01.jpg
2023年6月9日 軽井沢草花館 ハナヒョウタンボク 挿し木 一番上の節の芽

下写真:上から2番目の節から出た芽は長さにして14_。
他の2つの芽よりも一回り大きく、成長スピードも速いです。
拡大してみると葉っぱの葉脈のような線が見えるので、あと数日もすると葉っぱが広がるのでしょうか?楽しみです。

20230609美術館ハナヒョウタンボクB01.jpg
2023年6月9日 軽井沢草花館 ハナヒョウタンボク 挿し木 上から2番目の節の芽

下写真:上から3つ目の節から出た芽で、長さ4ミリ。
6月7日以降、3日間芽の大きさに変化がありません。このまま成長が止まってしまうのか?
観察を続けます。

20230609美術館ハナヒョウタンボクC01.jpg
2023年6月9日 軽井沢草花館 ハナヒョウタンボク 挿し木 上から3番目の節の芽

下写真:上から4つ目の節から出た芽は、長さ7ミリ。
少しづつではありますが、成長が見られます。引き続き観察を続けます。

20230609美術館ハナヒョウタンボクD01.jpg
2023年6月9日 軽井沢草花館 ハナヒョウタンボク 挿し木 上から4番目の節の芽

【参考】

ハナヒョウタンボク日記の概要

下のアドレズが第1回目のハナヒョウタンボク日記、「ハナヒョウタンボク日記(1)始めます」のリンク先です。
ブログを始めるきっかけや概要が書かれています。


続きを読む
posted by kusabanakan at 13:54| ハナヒョウタンボク日記

2023年06月06日

ハナヒョウタンボク日記(3)挿し木の1本が枯れる

前回(6/4)のハナヒョウタンボク日記(2)では挿し木から芽が出てきた2例目を観察して記録しましたが、その2例目の挿し木が枯れてしまいました。6月6日現在、挿し木は1本のみ芽が出て成長が続いています。

【挿し木 2本目 → 枯れる】

前回(6/4)、小さいながらも芽吹きの兆候が見られましたが、本日芽の部分が茶色くなって枯れているのを観察しました。

20230606美術館ハナヒョウタンボクB.jpg
2023年6月6日 軽井沢草花館 ハナヒョウタンボク 挿し木(2本目)

20230604美術館ハナヒョウタンボクB.jpg
2023年6月4日 軽井沢草花館 ハナヒョウタンボク 挿し木(2本目)

下写真:上段の節の拡大です。節の両側に3つずつ出ていた芽が茶色くなって枯れていました。

20230606美術館ハナヒョウタンボクB01.jpg
2023年6月6日 軽井沢草花館 ハナヒョウタンボク 挿し木(2本目)@の拡大

下写真:前回(6/4)、芽吹きの兆候が見られた時の節の部分@

20230604美術館ハナヒョウタンボクB01.jpg
2023年6月4日 軽井沢草花館 ハナヒョウタンボク 挿し木(2本目)@の拡大

下写真:下段の節の拡大です。節の両側に3つずつ出ていた芽が茶色くなって枯れていました。

20230606美術館ハナヒョウタンボクB02.jpg
2023年6月6日 軽井沢草花館 ハナヒョウタンボク 挿し木(2本目)Aの拡大

下写真:前回(6/4)、芽吹きの兆候が見られた時の節の部分A

20230604美術館ハナヒョウタンボクB02.jpg
2023年6月4日 軽井沢草花館 ハナヒョウタンボク 挿し木(2本目)Aの拡大

【挿し木 1本目】

6月3日、最初に芽を出した挿し木のハナヒョウタンボクです。
4つの節から一つづつ芽が出てきています。
まだ、葉っぱは広がっていませんが、上から2段目の節から出てきた新芽は長さ8ミリありました。

20230606美術館ハナヒョウタンボク切り枝01.jpg
2023年6月6日 軽井沢草花館 ハナヒョウタンボク 挿し木(1本目)芽の長さ

下写真:4つの芽のうち、一番大きく成長している芽(A)で長さ8.0_でした。

20230606美術館ハナヒョウタンボク切り枝B01.jpg
2023年6月6日 軽井沢草花館 ハナヒョウタンボク 挿し木(1本目)

【参考】

ハナヒョウタンボク日記の概要

下のアドレズが第1回目のハナヒョウタンボク日記、「ハナヒョウタンボク日記(1)始めます」のリンク先です。
ブログを始めるきっかけや概要が書かれています。

posted by kusabanakan at 23:14| ハナヒョウタンボク日記

2023年06月04日

ハナヒョウタンボク日記(2)2本目の挿し木からも芽

昨日から始めたばかりのハナヒョウタンボク日記ですが、新たな展開がありました。
最初に芽の出てきた挿し木(1本目)以外の挿し木からも芽?と思われるものが節の部分に見られました。
1本目で芽が出てきた挿し木は地上部高さ25aの枝でしたが、2本目の挿し木は地上部高さ5aで、節は2段。
芽はまだ1_にも満たない大きさですが、明日以降の成長が楽しみです。

【挿し木 2本目】

20230604美術館ハナヒョウタンボクB.jpg
2023年6月4日 軽井沢草花館 ハナヒョウタンボク 挿し木(2本目)

下写真:上段の節の拡大です。節の両側に3つずつ芽が出ているように見えます。
枝の直径が約2_なので、芽の大きさは1_未満です。

20230604美術館ハナヒョウタンボクB01.jpg
2023年6月4日 軽井沢草花館 ハナヒョウタンボク 挿し木(2本目)@の拡大

下写真:下段の節の拡大です。節の両側に2〜3つずつ芽が出ているように見えます。
枝の直径が約3_なので、芽の大きさは0.5_前後です。

20230604美術館ハナヒョウタンボクB02.jpg
2023年6月4日 軽井沢草花館 ハナヒョウタンボク 挿し木(2本目)Aの拡大

【挿し木 1本目】

前回(6/3)のハナヒョウタンボク日記で紹介した1本目の枝です。
4つの芽が出ている状態は変わらずで、芽の大きさがわずかにきくなっていると感じました。

20230604美術館ハナヒョウタンボクA.jpg
2023年6月4日 軽井沢草花館 ハナヒョウタンボク 挿し木(1本目)

【参考】

ハナヒョウタンボク日記の概要

下のアドレズが第1回目のハナヒョウタンボク日記、「ハナヒョウタンボク日記(1)始めます」のリンク先です。
ブログを始めるきっかけや概要が書かれています。


posted by kusabanakan at 15:06| ハナヒョウタンボク日記

2023年06月03日

ハナヒョウタンボク日記(1)始めます

新しく「ハナヒョウタンボク日記」を始めることにしました。
というのも、ハナヒョウタンボクがご自宅に自生している軽井沢の知人に枝を譲っていただき、挿し木に挑戦しているからです。
もし、挑戦が失敗に終わってしまうと、終了… ということもありますが、うまくいった時の成長過程を記録に残せればと思っています。
挿し木の挑戦は先月5月8日から始まっており、現在、芽が出てきたのかな?!といったところ、詳細は後述します。

詳細の前に、まずハナヒョウタンボクの紹介です。

【ハナヒョウタンボク(花瓢箪木)】
20210522hanahyoutanboku19990609re.jpg
石川功一 《ハナヒョウタンボクの花》 1999年6月9日 水彩スケッチ

スイカズラ科の落葉小高木。5月下旬から6月上旬に花を咲かせ、9月から10月にかけて赤い実を付けます。

軽井沢に自生する植物の中でもとりわけ希少な植物の一つで、日本が大陸と陸続きであったことを証明する木といわれ、氷河期に日本が寒冷であった頃には、東北、関東、中部各地に広く分布していたと考えられています。
現在では気候が清涼な軽井沢を含む青森、岩手、群馬、長野の限られた地域で自生が確認されていますが、さらなる温暖化と共に絶滅が心配されている植物です。
現在(2023)のレッドリストでは環境省、長野県共に絶悦危惧U類。軽井沢の長倉ハナヒョウタンボク群落は長野県の天然記念物に指定され保護されています(現在一般には非公開)。

20210522hanahyoutanboku20100612.jpg
軽井沢 自生地のハナヒョウタンボク 2010年6月12日

【ハナヒョウタンボクの挿し木の現状】

6月3日現在、枝の節4か所から4つの芽が出始めたところです!

20230603美術館ハナヒョウタンボク切り枝01.jpg
2023年6月3日 軽井沢草花館 ハナヒョウタンボク 挿し木

以下、挿し木を始めた時から遡ってから挿し木の過程を振り返ります。
尚、挿し木をするにあたっては、知識も経験もなかったので、事前に植物園の園長先生にアドバイスを求めました。
先生からは「5月に入ってから花が咲くまでの間の時期が良さそう」「少なくても2節分は地面に植えた方が良い」ということでした。

【20230508:枝をいただく】

軽井沢の知人宅でハナヒョウタンボクの枝をいただきました。
いただいたのは、長さにして50a程度の枝を2本と40a程度に伸びたひこばえの枝先2本の計4本。
この日は夕方だったので、帰ってからすぐに花瓶に活けておきました。
※挿し木をするときには、自分の庭の植物を使うか、他人の所有する土地の植物を利用したい場合、必ず所有者に承諾を得てから行わなければなりません。他人の所有の土地から無許可で枝を持ち帰ることはしてはいけません。

【20230509:花瓶に活ける】

譲っていただいたハナヒョウタンボクの枝は下の写真のように花瓶に活け、このままの5月10日まで活けました。

20230509ハナヒョウタンボク切り枝.jpg
2023年5月9日 軽井沢草花館 花瓶に活けておいたハナヒョウタンボク

【20230510:地面に挿し木始める】

5月10日の朝、5月8日の夕方から花瓶に活けておいたハナヒョウタンボクを地面に挿してみました。
スコップで地面を30aほど掘り、活けておいたハナヒョウタンボクの枝を、節が2〜3つ埋まるようにして挿して、再び土を埋め戻しておきました。ただ、この時は、葉っぱが付いたままの状態の枝をそのまま挿していました。

終わってからたっぷりの水をまきました(以降、1日3〜4回たっぷりの水を与えています)。
下の写真は地面に挿した後に撮影したものです。
そして白い線で囲った箇所が、6月3日現在芽吹きの始まっている枝となります。

20230510美術館ハナヒョウタンボク.jpg
2023年5月10日 軽井沢草花館 挿し木したハナヒョウタンボク

【20230516:葉っぱを一部間引く】

5月10日に挿し木した枝にこれといった変化もなく、葉っぱも元気な状態でした。
しかし、葉っぱがたくさんついた状態の枝では良くないのではないか?
と思って、大半の小枝を切り取りました。全体的に葉っぱが3分の1くらいになってすっきりしました。
葉っぱはまだ元気な状態ですが、地上部分の節から芽が出てくるような兆候は見られません。

20230516美術館ハナヒョウタンボク.jpg
2023年5月16日 軽井沢草花館 枝の一部を剪定したハナヒョウタンボクの挿し木

下写真:切り取った小枝も地面に植えて挿し木にしました(全部で27本分)

20230516美術館ハナヒョウタンボク02.jpg
2023年5月16日 軽井沢草花館 新たに植えこんだハナヒョウタンボクの挿し木

【20230521:枝の葉っぱをすべて取る】

葉っぱの元気がなくなってきました。芽が出てくる気配もありません…
そこで、思い切って葉っぱをすべて取り除くことにしました。

20230521美術館ハナヒョウタンボク01.jpg
2023年5月21日 軽井沢草花館 葉っぱを付けた状態のハナヒョウタンボクの挿し木

下写真:葉っぱを取り除いたハナヒョウタンボク挿し木

20230521美術館ハナヒョウタンボク02.jpg
2023年5月21日 軽井沢草花館 全ての葉っぱを取り除いた状態のハナヒョウタンボクの挿し木

【20230529:花が1輪だけ咲く】

5月8日に枝をいただいてから3週間。
1本の挿し木から一輪花が咲きました!

まさか、花が咲くとは思っていなかったので、驚きです。
しかし、次の日の朝には花びらが地面に落ちてしまっていました。

20230529美術館ハナヒョウタンボク.jpg
2023年5月21日 軽井沢草花館 挿し木で咲いたハナヒョウタンボクの花

【20230601:節から芽が2つ出る】

枝をいただいてから24日目。
挿し木をしてから22日目。
初めて”芽”と思われるものを2つ観察しました。
節のところから長さ0.5_から1.0_程度の小さな芽が出てきていました(下写真)。

20230601美術館ハナヒョウタンボク01re.jpg
2023年6月1日 軽井沢草花館 ハナヒョウタンボクの新芽

下写真:全体の姿

20230601美術館ハナヒョウタンボク.jpg
2023年6月1日 軽井沢草花館 ハナヒョウタンボクの挿し木

【20230603:節から芽が4つに増える】

本日の朝、いつものように観察しに行くと、昨日は2つ出ていた芽が4つに増えていました。

20230603美術館ハナヒョウタンボク切り枝01.jpg
2023年6月3日 軽井沢草花館 ハナヒョウタンボク 挿し木

以下、@からCまでの拡大写真です。
芽の長さは0.5_から2.0_ととても小さく感じます・

20230603美術館ハナヒョウタンボク切り枝A01.jpg
2023年6月3日 軽井沢草花館 ハナヒョウタンボク 新芽@

20230603美術館ハナヒョウタンボク切り枝B01.jpg
2023年6月3日 軽井沢草花館 ハナヒョウタンボク 新芽A

20230603美術館ハナヒョウタンボク切り枝C01.jpg
2023年6月3日 軽井沢草花館 ハナヒョウタンボク 新芽B

20230603美術館ハナヒョウタンボク切り枝D01.jpg
2023年6月3日 軽井沢草花館 ハナヒョウタンボク 新芽C

以上
posted by kusabanakan at 17:59| ハナヒョウタンボク日記